Property Record
1702 Sequoia Ave, Burlingame, CA 94010
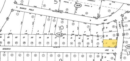
Property Detail
1702 Sequoia Ave
025-142-100
LOT 11 BLOCK 10 MILLS ESTATE NO 3 RSM 39/13 14 15 CITY OF BURLINGAME
Multifamilydwelling
San Mateo
R30000
California
B and X Area of moderate flood hazard, usually the area between the limits of the 100-year and 500-year floods.
11
2024
0.20 AC
2025
Ray Park
605000
San Francisco
7,592 SF
San Francisco-San Mateo-Redwood City, CA
NEARBY LISTINGS FOR SALE OR LEASE
DEMOGRAPHICS near 1702 Sequoia Ave
1 mile
3 mile
5 mile
2025 Total Population
20,245
84,385
187,167
2030 Population
20,413
85,260
188,845
Pop Growth 2025-2030
+ 0.83%
+ 1.04%
+ 0.90%
Average Age
43
43
43
2025 Total Households
7,199
31,442
68,573
HH Growth 2025-2030
+ 0.71%
+ 1.01%
+ 0.88%
Median Household Inc
$177,962
$157,503
$147,042
Avg Household Size
2.70
2.60
2.60
2025 Avg HH Vehicles
2.00
2.00
2.00
Median Home Value
$1,138,921
$1,123,359
$1,105,655
Median Year Built
1957
1959
1961
Nearby Places
Map Layers
Listings with unknown addresses are not visible on the map
- Restaurants
- Banks
- Shops
- Fitness
- Groceries
PUBLIC TRANSPORTATION
TRANSIT/SUBWAY
Millbrae (Caltrain Transfer Platform) (Antioch to SFIA/Millbrae - Bay Area Rapid Transit (BART), Millbrae/SFIA to Antioch - Bay Area Rapid Transit (BART), Millbrae/SFO to Richmond - Bay Area Rapid Transit (BART), Richmond to SFO/Millbrae - Bay Area Rapid Transit (BART))
Drive
Walk
Distance
Millbrae (Caltrain Transfer Platform) (Antioch to SFIA/Millbrae - Bay Area Rapid Transit (BART), Millbrae/SFIA to Antioch - Bay Area Rapid Transit (BART), Millbrae/SFO to Richmond - Bay Area Rapid Transit (BART), Richmond to SFO/Millbrae - Bay Area Rapid Transit (BART))
3 min
20 min
1.1 mi
COMMUTER RAIL
Millbrae Caltrain Station Southbound (Express - Caltrain (Caltrain), Limited - Caltrain (Caltrain), Local Weekday - Caltrain (Caltrain), Local Weekend - Caltrain (Caltrain))
Drive
Walk
Distance
Millbrae Caltrain Station Southbound (Express - Caltrain (Caltrain), Limited - Caltrain (Caltrain), Local Weekday - Caltrain (Caltrain), Local Weekend - Caltrain (Caltrain))
3 min
19 min
1.0 mi
Broadway Caltrain Station Southbound (Local Weekend - Caltrain (Caltrain))
Drive
Walk
Distance
Broadway Caltrain Station Southbound (Local Weekend - Caltrain (Caltrain))
4 min
2.1 mi
AIRPORT
San Francisco International
Drive
Walk
Distance
San Francisco International
8 min
3.5 mi
Metro Oakland International
Drive
Walk
Distance
Metro Oakland International
40 min
30.7 mi
Norman Y Mineta San Jose International
Drive
Walk
Distance
Norman Y Mineta San Jose International
41 min
32.1 mi
Freight Ports
Port of Redwood City
Drive
Walk
Distance
Port of Redwood City
22 min
14.9 mi
SALE & LEASE HISTORY
LISTING DATE
SALE/LEASE
Nearby Properties
Address
Land Use
TOTAL SIZE
Lot Size
Zoning
Address
Land Use
TOTAL SIZE
Lot Size
Zoning
8.65 AC
Address
Land Use
TOTAL SIZE
Lot Size
Zoning
5.73 AC
Address
Land Use
TOTAL SIZE
Lot Size
Zoning
10,000 SF
0.48 AC
ML00M1
Address
Land Use
TOTAL SIZE
Lot Size
Zoning
277,784 SF
10.85 AC
Address
Land Use
TOTAL SIZE
Lot Size
Zoning
634,000 SF
8.62 AC
M10000
Address
Land Use
TOTAL SIZE
Lot Size
Zoning
5.02 AC
Address
Land Use
TOTAL SIZE
Lot Size
Zoning
19,657 SF
0.69 AC
Address
Land Use
TOTAL SIZE
Lot Size
Zoning
2.83 AC
Address
Land Use
TOTAL SIZE
Lot Size
Zoning
547,306 SF
3.93 AC
Address
Land Use
TOTAL SIZE
Lot Size
Zoning
55,000 SF
1.64 AC
ML00M1
Address
Land Use
TOTAL SIZE
Lot Size
Zoning
403,363 SF
11.26 AC
PD0000
Address
Land Use
TOTAL SIZE
Lot Size
Zoning
85,500 SF
2.20 AC
Address
Land Use
TOTAL SIZE
Lot Size
Zoning
2.57 AC
Address
Land Use
TOTAL SIZE
Lot Size
Zoning
589,128 SF
11.23 AC
Address
Land Use
TOTAL SIZE
Lot Size
Zoning
1.27 AC
Address
Land Use
TOTAL SIZE
Lot Size
Zoning
426,540 SF
9.36 AC
C40000
Address
Land Use
TOTAL SIZE
Lot Size
Zoning
294,000 SF
6.34 AC
PD0000
Address
Land Use
TOTAL SIZE
Lot Size
Zoning
20.86 AC
Address
Land Use
TOTAL SIZE
Lot Size
Zoning
32,625 SF
1.70 AC
CL00C1
Address
Land Use
TOTAL SIZE
Lot Size
Zoning
40.92 AC
Address
Land Use
TOTAL SIZE
Lot Size
Zoning
1.08 AC
RM00R4
Address
Land Use
TOTAL SIZE
Lot Size
Zoning
220,008 SF
4.64 AC
C40000
Address
Land Use
TOTAL SIZE
Lot Size
Zoning
255,185 SF
13.63 AC
ML0000
Address
Land Use
TOTAL SIZE
Lot Size
Zoning
1.48 AC
Address
Land Use
TOTAL SIZE
Lot Size
Zoning
200,068 SF
3.08 AC
Address
Land Use
TOTAL SIZE
Lot Size
Zoning
130,160 SF
1.24 AC
Address
Land Use
TOTAL SIZE
Lot Size
Zoning
1.84 AC
Address
Land Use
TOTAL SIZE
Lot Size
Zoning
106,018 SF
3.75 AC
CL00C1
Address
Land Use
TOTAL SIZE
Lot Size
Zoning
231,800 SF
3.38 AC
R10000
Address
Land Use
TOTAL SIZE
Lot Size
Zoning
140,065 SF
0.95 AC








