Property Record
1903 E Jericho Tpke, Commack, NY 11725
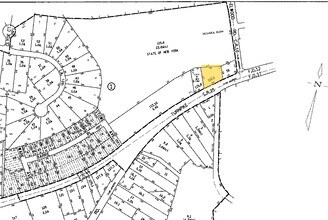
Property Detail
1903 E Jericho Tpke
Nassau County-Suffolk County, NY
BLK LOT
0400-214-00-01-00-115-001
SUFFOLK
Restaurantdrivein
New York
C6
115
B and X Area of moderate flood hazard, usually the area between the limits of the 100-year and 500-year floods.
0.76 AC
2024
Western Suffolk
2025
Long Island (New York)
135102
NEARBY LISTINGS FOR SALE OR LEASE
-
-
-
No Photo
-
-
-
-
View all Commack listings for sale on LoopNet.com
DEMOGRAPHICS near 1903 E Jericho Tpke
1 mile
3 mile
5 mile
2025 Total Population
5,863
69,717
207,684
2030 Population
5,827
68,996
205,223
Pop Growth 2025-2030
(0.61%)
(1.03%)
(1.18%)
Average Age
43
43
42
2025 Total Households
1,873
22,520
67,300
HH Growth 2025-2030
(0.96%)
(1.43%)
(1.45%)
Median Household Inc
$168,395
$168,734
$155,097
Avg Household Size
3.00
3.00
2.90
2025 Avg HH Vehicles
3.00
2.00
2.00
Median Home Value
$766,586
$751,115
$729,674
Median Year Built
1963
1963
1963
Nearby Places
Map Layers
Listings with unknown addresses are not visible on the map
- Restaurants
- Banks
- Shops
- Fitness
- Groceries
PUBLIC TRANSPORTATION
COMMUTER RAIL
Greenlawn Station (Port Jefferson Branch - Long Island Rail Road)
Drive
Walk
Distance
Greenlawn Station (Port Jefferson Branch - Long Island Rail Road)
8 min
3.5 mi
Northport Station (Port Jefferson Branch - Long Island Rail Road)
Drive
Walk
Distance
Northport Station (Port Jefferson Branch - Long Island Rail Road)
10 min
4.1 mi
AIRPORT
Long Island MacArthur
Drive
Walk
Distance
Long Island MacArthur
25 min
14.3 mi
John F Kennedy International
Drive
Walk
Distance
John F Kennedy International
51 min
35.3 mi
Freight Ports
NY - Red Hook Container Terminal
Drive
Walk
Distance
NY - Red Hook Container Terminal
62 min
41.7 mi
Nearby Properties
Address
Land Use
TOTAL SIZE
Lot Size
Zoning
Address
Land Use
TOTAL SIZE
Lot Size
Zoning
0.41 AC
VILLA
Address
Land Use
TOTAL SIZE
Lot Size
Zoning
1.50 AC
CR80
Address
Land Use
TOTAL SIZE
Lot Size
Zoning
21.50 AC
Address
Land Use
TOTAL SIZE
Lot Size
Zoning
82 AC
R40
Address
Land Use
TOTAL SIZE
Lot Size
Zoning
22.80 AC
Address
Land Use
TOTAL SIZE
Lot Size
Zoning
14.13 AC
Address
Land Use
TOTAL SIZE
Lot Size
Zoning
Address
Land Use
TOTAL SIZE
Lot Size
Zoning
12.30 AC
Address
Land Use
TOTAL SIZE
Lot Size
Zoning
17.20 AC
Address
Land Use
TOTAL SIZE
Lot Size
Zoning
88,200 SF
11.20 AC
Address
Land Use
TOTAL SIZE
Lot Size
Zoning
8.80 AC
R10
Address
Land Use
TOTAL SIZE
Lot Size
Zoning
6.50 AC
R40
Address
Land Use
TOTAL SIZE
Lot Size
Zoning
148.70 AC
R40
Address
Land Use
TOTAL SIZE
Lot Size
Zoning
0.59 AC
R20
Address
Land Use
TOTAL SIZE
Lot Size
Zoning
42.20 AC
I1
Address
Land Use
TOTAL SIZE
Lot Size
Zoning
142,732 SF
16.90 AC
Address
Land Use
TOTAL SIZE
Lot Size
Zoning
9.30 AC
Address
Land Use
TOTAL SIZE
Lot Size
Zoning
44.90 AC
R40
Address
Land Use
TOTAL SIZE
Lot Size
Zoning
10.14 AC
RRM
Address
Land Use
TOTAL SIZE
Lot Size
Zoning
12.80 AC
Address
Land Use
TOTAL SIZE
Lot Size
Zoning
0.46 AC
R20
Address
Land Use
TOTAL SIZE
Lot Size
Zoning
44.70 AC
G
Address
Land Use
TOTAL SIZE
Lot Size
Zoning
12 AC
RRM
Address
Land Use
TOTAL SIZE
Lot Size
Zoning
19.56 AC
C5
Address
Land Use
TOTAL SIZE
Lot Size
Zoning
7.60 AC
Address
Land Use
TOTAL SIZE
Lot Size
Zoning
Address
Land Use
TOTAL SIZE
Lot Size
Zoning
180,224 SF
8.70 AC
GA
Address
Land Use
TOTAL SIZE
Lot Size
Zoning
9.80 AC
Address
Land Use
TOTAL SIZE
Lot Size
Zoning
48.76 AC
R40
Address
Land Use
TOTAL SIZE
Lot Size
Zoning
16.10 AC
C5








