Property Record
1909 Unknown, Cocoa, FL 32926
Property Detail
1909 Unknown
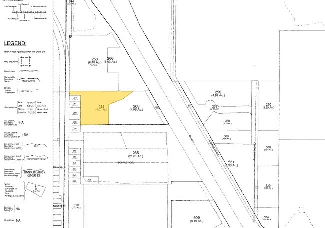
24-35-26-00-00255.0-0000.00
PART OF SW 1/4 OF NW 1/4 AS DESC IN ORB 752 PG 276, 3125 PG 1451 EXC ORB 3125 PG 1452, 3705 PG 3939,PARCEL NO 105 IN ORB 5694 PG 2979, ALSO EXC THAT PART LYING E OF SAID PARCEL NO 105 PAR 262
Commercialacreage
BREVARD
RM3
Florida
A Areas with a 1% annual chance of flooding and a 26% chance of flooding over the life of a 30-year mortgage.
5.40 AC
2024
Brevard County
2025
Orlando
0625001026
Palm Bay-Melbourne-Titusville, FL
NEARBY LISTINGS FOR SALE OR LEASE
DEMOGRAPHICS near 1909 Unknown
1 mile
3 mile
5 mile
2025 Total Population
3,185
18,902
49,812
2030 Population
3,450
20,374
53,597
Pop Growth 2025-2030
+ 8.32%
+ 7.79%
+ 7.60%
Average Age
47
44
43
2025 Total Households
1,380
7,696
20,427
HH Growth 2025-2030
+ 8.26%
+ 7.55%
+ 7.33%
Median Household Inc
$74,147
$53,591
$60,798
Avg Household Size
2.30
2.40
2.40
2025 Avg HH Vehicles
2.00
2.00
2.00
Median Home Value
$296,933
$257,564
$280,916
Median Year Built
1994
1985
1982
Nearby Places
Map Layers
Listings with unknown addresses are not visible on the map
- Restaurants
- Banks
- Shops
- Fitness
- Groceries
PUBLIC TRANSPORTATION
AIRPORT
Melbourne Orlando International
Drive
Walk
Distance
Melbourne Orlando International
36 min
25.7 mi
Freight Ports
Port Canaveral
Drive
Walk
Distance
Port Canaveral
20 min
13.1 mi
Nearby Properties
Address
Land Use
TOTAL SIZE
Lot Size
Zoning
Address
Land Use
TOTAL SIZE
Lot Size
Zoning
658,069 SF
268.45 AC
RU17
Address
Land Use
TOTAL SIZE
Lot Size
Zoning
825,903 SF
94.80 AC
RU17
Address
Land Use
TOTAL SIZE
Lot Size
Zoning
497,135 SF
34.13 AC
CW
Address
Land Use
TOTAL SIZE
Lot Size
Zoning
307,934 SF
13.66 AC
RU215
Address
Land Use
TOTAL SIZE
Lot Size
Zoning
264,679 SF
59.90 AC
RU17
Address
Land Use
TOTAL SIZE
Lot Size
Zoning
102,141 SF
47.88 AC
BU1
Address
Land Use
TOTAL SIZE
Lot Size
Zoning
212.10 AC
PUD
Address
Land Use
TOTAL SIZE
Lot Size
Zoning
101,945 SF
11.15 AC
CG
Address
Land Use
TOTAL SIZE
Lot Size
Zoning
174,500 SF
13.34 AC
RU-2-10
Address
Land Use
TOTAL SIZE
Lot Size
Zoning
141,592 SF
20.22 AC
CG
Address
Land Use
TOTAL SIZE
Lot Size
Zoning
96,878 SF
17.47 AC
CN
Address
Land Use
TOTAL SIZE
Lot Size
Zoning
49,208 SF
18.28 AC
Address
Land Use
TOTAL SIZE
Lot Size
Zoning
86,391 SF
12.02 AC
GU
Address
Land Use
TOTAL SIZE
Lot Size
Zoning
109,153 SF
20 AC
RU17
Address
Land Use
TOTAL SIZE
Lot Size
Zoning
77,885 SF
11.54 AC
BU2
Address
Land Use
TOTAL SIZE
Lot Size
Zoning
65,316 SF
956.57 AC
GML(H)
Address
Land Use
TOTAL SIZE
Lot Size
Zoning
38,033 SF
10.72 AC
Address
Land Use
TOTAL SIZE
Lot Size
Zoning
66,210 SF
12.22 AC
M2
Address
Land Use
TOTAL SIZE
Lot Size
Zoning
62,439 SF
14.19 AC
TU-2
Address
Land Use
TOTAL SIZE
Lot Size
Zoning
76,142 SF
8.26 AC
BU-2
Address
Land Use
TOTAL SIZE
Lot Size
Zoning
78,343 SF
8.50 AC
CG
Address
Land Use
TOTAL SIZE
Lot Size
Zoning
33,221 SF
6.31 AC
Address
Land Use
TOTAL SIZE
Lot Size
Zoning
13,616 SF
12.92 AC
Address
Land Use
TOTAL SIZE
Lot Size
Zoning
69,352 SF
3.81 AC
BU-2
Address
Land Use
TOTAL SIZE
Lot Size
Zoning
42,612 SF
7.41 AC
CW
Address
Land Use
TOTAL SIZE
Lot Size
Zoning
49,460 SF
5 AC
CG
Address
Land Use
TOTAL SIZE
Lot Size
Zoning
23,864 SF
3.89 AC
BU-2
Address
Land Use
TOTAL SIZE
Lot Size
Zoning
66,216 SF
16.04 AC
AU
Address
Land Use
TOTAL SIZE
Lot Size
Zoning
40,102 SF
11.51 AC
CW
Address
Land Use
TOTAL SIZE
Lot Size
Zoning
31,351 SF
30.22 AC
RU17







