Property Record
2 Highland Dr, Chalfont, PA 18914
NEARBY LISTINGS FOR SALE OR LEASE
Property Detail
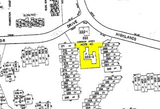
2 Highland Dr
26-007-222-002
Highlands
Daycare
0.4907AC HIGHLANDS DIV-OP CONDO UNIT #2
X
Bucks
42017C0288K
Pennsylvania
2024
0.49 AC
2025
Upper Bucks County
102004
Philadelphia
5,468 SF
Philadelphia-Camden-Wilmington, PA-NJ-DE-MD
DEMOGRAPHICS near 2 Highland Dr
1 Mile
3 Mile
5 Mile
2024 Total Population
8,672
49,070
137,705
2029 Population
8,626
49,358
139,358
Pop Growth 2024-2029
(0.53%)
+ 0.59%
+ 1.20%
Average Age
42
42
42
2024 Total Households
3,306
17,826
50,811
HH Growth 2024-2029
(0.60%)
+ 0.58%
+ 1.16%
Median Household Inc
$115,084
$124,212
$109,117
Avg Household Size
2.60
2.70
2.60
2024 Avg HH Vehicles
2.00
2.00
2.00
Median Home Value
$390,962
$419,779
$413,422
Median Year Built
1982
1985
1981
Nearby Places
Map Layers
- Restaurants
- Banks
- Shops
- Fitness
- Groceries
PUBLIC TRANSPORTATION
COMMUTER RAIL
Chalfont (R5 - Southeastern Pennsylvania Transportation Authority Regional Rail (SEPTA Regional Rail))
DRIVE
WALK
Distance
Chalfont (R5 - Southeastern Pennsylvania Transportation Authority Regional Rail (SEPTA Regional Rail))
4 min
1.6 mi
Link Belt (R5 - Southeastern Pennsylvania Transportation Authority Regional Rail (SEPTA Regional Rail))
DRIVE
WALK
Distance
Link Belt (R5 - Southeastern Pennsylvania Transportation Authority Regional Rail (SEPTA Regional Rail))
4 min
1.9 mi
AIRPORT
Trenton Mercer
DRIVE
WALK
Distance
Trenton Mercer
49 min
28.9 mi
Lehigh Valley International
DRIVE
WALK
Distance
Lehigh Valley International
57 min
34.8 mi
Philadelphia International
DRIVE
WALK
Distance
Philadelphia International
62 min
36.5 mi
Freight Ports
Port of Philadelphia
DRIVE
WALK
Distance
Port of Philadelphia
41 min
24.9 mi
Nearby Properties
Address
Land Use
TOTAL SIZE
Lot Size
Zoning
Address
Land Use
TOTAL SIZE
Lot Size
Zoning
1,127,663 SF
14.16 AC
RS
Address
Land Use
TOTAL SIZE
Lot Size
Zoning
301,431 SF
41.90 AC
S
Address
Land Use
TOTAL SIZE
Lot Size
Zoning
517,834 SF
31.33 AC
GA
Address
Land Use
TOTAL SIZE
Lot Size
Zoning
245,104 SF
31.21 AC
C
Address
Land Use
TOTAL SIZE
Lot Size
Zoning
334,450 SF
18.86 AC
GA
Address
Land Use
TOTAL SIZE
Lot Size
Zoning
142,336 SF
3.17 AC
RS
Address
Land Use
TOTAL SIZE
Lot Size
Zoning
333,600 SF
24.72 AC
LI
Address
Land Use
TOTAL SIZE
Lot Size
Zoning
89,349 SF
18.11 AC
R1
Address
Land Use
TOTAL SIZE
Lot Size
Zoning
87,819 SF
1.82 AC
S
Address
Land Use
TOTAL SIZE
Lot Size
Zoning
119,740 SF
9.80 AC
BP
Address
Land Use
TOTAL SIZE
Lot Size
Zoning
136,473 SF
9.44 AC
LI
Address
Land Use
TOTAL SIZE
Lot Size
Zoning
88,060 SF
20.74 AC
R1
Address
Land Use
TOTAL SIZE
Lot Size
Zoning
77,805 SF
21.18 AC
R2
Address
Land Use
TOTAL SIZE
Lot Size
Zoning
148,670 SF
4.63 AC
C
Address
Land Use
TOTAL SIZE
Lot Size
Zoning
134,272 SF
3.11 AC
S
Address
Land Use
TOTAL SIZE
Lot Size
Zoning
38,713 SF
12.89 AC
LI
Address
Land Use
TOTAL SIZE
Lot Size
Zoning
164,376 SF
12.87 AC
LI
Address
Land Use
TOTAL SIZE
Lot Size
Zoning
57,420 SF
2 AC
IN
Address
Land Use
TOTAL SIZE
Lot Size
Zoning
65,890 SF
5.01 AC
LI
Address
Land Use
TOTAL SIZE
Lot Size
Zoning
183,600 SF
18.26 AC
LI
Address
Land Use
TOTAL SIZE
Lot Size
Zoning
9.43 AC
LI
Address
Land Use
TOTAL SIZE
Lot Size
Zoning
380,875 SF
40.10 AC
LI
Address
Land Use
TOTAL SIZE
Lot Size
Zoning
63,646 SF
6.05 AC
RSA
Address
Land Use
TOTAL SIZE
Lot Size
Zoning
36,451 SF
22.94 AC
R2
Address
Land Use
TOTAL SIZE
Lot Size
Zoning
72,093 SF
9.07 AC
R1
Address
Land Use
TOTAL SIZE
Lot Size
Zoning
45,457 SF
6.32 AC
C
Address
Land Use
TOTAL SIZE
Lot Size
Zoning
56,522 SF
5.01 AC
C
Address
Land Use
TOTAL SIZE
Lot Size
Zoning
79,335 SF
11.50 AC
LI
Address
Land Use
TOTAL SIZE
Lot Size
Zoning
361,858 SF
27.82 AC
LI
Address
Land Use
TOTAL SIZE
Lot Size
Zoning
22,936 SF
2.82 AC
RS





