Property Record
2000 Main St, Julian, CA 92036
Property Detail
2000 Main St
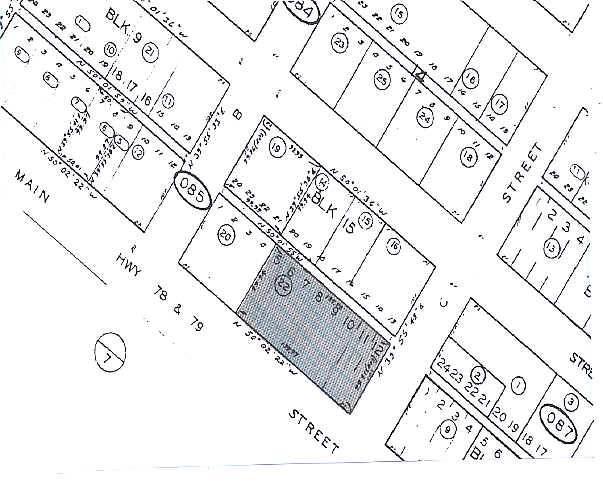
291-085-22
BLK 15 LOTS 5 THRU 12& TR 000566
Storesoffices
San Diego
C34
California
D Areas with possible but undetermined flood hazards.
5-12
2024
0.47 AC
2025
Outlying SD County N
020904
San Diego
8,856 SF
San Diego-Chula Vista-Carlsbad, CA
NEARBY LISTINGS FOR SALE OR LEASE
DEMOGRAPHICS near 2000 Main St
1 mile
3 mile
5 mile
2025 Total Population
460
1,696
2,492
2030 Population
418
1,544
2,331
Pop Growth 2025-2030
(9.13%)
(8.96%)
(6.46%)
Average Age
47
48
48
2025 Total Households
202
721
1,059
HH Growth 2025-2030
(9.41%)
(9.15%)
(6.70%)
Median Household Inc
$81,085
$84,864
$85,801
Avg Household Size
2.20
2.20
2.20
2025 Avg HH Vehicles
2.00
2.00
2.00
Median Home Value
$771,844
$734,982
$715,558
Median Year Built
1975
1976
1977
Nearby Places
Map Layers
Listings with unknown addresses are not visible on the map
- Restaurants
- Banks
- Shops
- Fitness
- Groceries
Nearby Properties
Address
Land Use
TOTAL SIZE
Lot Size
Zoning
Address
Land Use
TOTAL SIZE
Lot Size
Zoning
11,810 SF
2.79 AC
RC
Address
Land Use
TOTAL SIZE
Lot Size
Zoning
22.19 AC
A70
Address
Land Use
TOTAL SIZE
Lot Size
Zoning
5,464 SF
336.53 AC
A72
Address
Land Use
TOTAL SIZE
Lot Size
Zoning
118.67 AC
A72
Address
Land Use
TOTAL SIZE
Lot Size
Zoning
46.32 AC
A70
Address
Land Use
TOTAL SIZE
Lot Size
Zoning
7,256 SF
5.54 AC
C36
Address
Land Use
TOTAL SIZE
Lot Size
Zoning
11,950 SF
4.63 AC
C36
Address
Land Use
TOTAL SIZE
Lot Size
Zoning
5.96 AC
A70
Address
Land Use
TOTAL SIZE
Lot Size
Zoning
1,892 SF
32.82 AC
A70
Address
Land Use
TOTAL SIZE
Lot Size
Zoning
41.44 AC
A70
Address
Land Use
TOTAL SIZE
Lot Size
Zoning
3,808 SF
62.31 AC
A70
Address
Land Use
TOTAL SIZE
Lot Size
Zoning
5,677 SF
38.16 AC
A72
Address
Land Use
TOTAL SIZE
Lot Size
Zoning
280.92 AC
A70
Address
Land Use
TOTAL SIZE
Lot Size
Zoning
4,166 SF
2.02 AC
C34
Address
Land Use
TOTAL SIZE
Lot Size
Zoning
40.24 AC
A72
Address
Land Use
TOTAL SIZE
Lot Size
Zoning
19,220 SF
8.23 AC
M54
Address
Land Use
TOTAL SIZE
Lot Size
Zoning
2,100 SF
33.95 AC
A72
Address
Land Use
TOTAL SIZE
Lot Size
Zoning
5,279 SF
10.49 AC
A70
Address
Land Use
TOTAL SIZE
Lot Size
Zoning
8,861 SF
1.38 AC
RR
Address
Land Use
TOTAL SIZE
Lot Size
Zoning
7.43 AC
RMH7
Address
Land Use
TOTAL SIZE
Lot Size
Zoning
49.50 AC
A70
Address
Land Use
TOTAL SIZE
Lot Size
Zoning
1,715 SF
32.27 AC
A70
Address
Land Use
TOTAL SIZE
Lot Size
Zoning
3,662 SF
0.11 AC
C34
Address
Land Use
TOTAL SIZE
Lot Size
Zoning
39.04 AC
A72
Address
Land Use
TOTAL SIZE
Lot Size
Zoning
3,738 SF
0.28 AC
C34
Address
Land Use
TOTAL SIZE
Lot Size
Zoning
3,820 SF
0.85 AC
C34
Address
Land Use
TOTAL SIZE
Lot Size
Zoning
4,997 SF
5 AC
A70
Address
Land Use
TOTAL SIZE
Lot Size
Zoning
99.74 AC
A70
Address
Land Use
TOTAL SIZE
Lot Size
Zoning
1,224 SF
0.63 AC
C34







