Property Record
2001 E Battaglia Rd, , AZ
Property Detail
2001 E Battaglia Rd
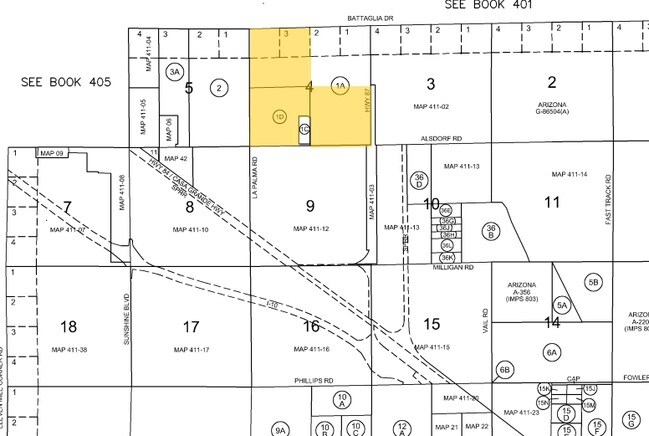
411-01-001H
ALL OF SEC 4-8S-8E EXC NE OF SAID SEC AND EXC A POR OF SE SW OF S AID SEC DESCRIBED AS COM @ S 1/4 COR OF SAID SEC 4 TH N-78.09 TH W-7.66 TO POB TH CONT W-491.76 TH N-1229.15 TH E-411.94 TH S-51D E-77.41 TH S-84D E-23.85 TH S-1177.74 TO POB; AKA PARC
Farms
PINAL
GR
Arizona
B and X Area of moderate flood hazard, usually the area between the limits of the 100-year and 500-year floods.
466.39 AC
2024
Pinal County
2025
Phoenix
002004
Phoenix-Mesa-Chandler, AZ
NEARBY LISTINGS FOR SALE OR LEASE
DEMOGRAPHICS near 2001 E Battaglia Rd
1 mile
3 mile
5 mile
2025 Total Population
818
6,954
8,287
2030 Population
964
8,199
9,780
Pop Growth 2025-2030
+ 17.85%
+ 17.90%
+ 18.02%
Average Age
36
36
36
2025 Total Households
267
2,186
2,631
HH Growth 2025-2030
+ 17.98%
+ 17.66%
+ 17.79%
Median Household Inc
$48,749
$41,180
$43,395
Avg Household Size
3.10
3.20
3.10
2025 Avg HH Vehicles
2.00
2.00
2.00
Median Home Value
$121,951
$135,055
$158,647
Median Year Built
1979
1979
1983
Nearby Places
Map Layers
Listings with unknown addresses are not visible on the map
- Restaurants
- Banks
- Shops
- Fitness
- Groceries
Nearby Properties
Address
Land Use
TOTAL SIZE
Lot Size
Zoning
Address
Land Use
TOTAL SIZE
Lot Size
Zoning
679,306 SF
39.47 AC
Address
Land Use
TOTAL SIZE
Lot Size
Zoning
22.79 AC
Address
Land Use
TOTAL SIZE
Lot Size
Zoning
350,596 SF
27.45 AC
CI2
Address
Land Use
TOTAL SIZE
Lot Size
Zoning
178.50 AC
Address
Land Use
TOTAL SIZE
Lot Size
Zoning
17,880 SF
4.11 AC
UNDESIGNAT
Address
Land Use
TOTAL SIZE
Lot Size
Zoning
5,352 SF
31.28 AC
Address
Land Use
TOTAL SIZE
Lot Size
Zoning
19,209 SF
20 AC
UNDESIGNAT
Address
Land Use
TOTAL SIZE
Lot Size
Zoning
9,372 SF
73.06 AC
Address
Land Use
TOTAL SIZE
Lot Size
Zoning
5.97 AC
UNDESIGNAT
Address
Land Use
TOTAL SIZE
Lot Size
Zoning
11,950 SF
2.28 AC
UNDESIGNAT
Address
Land Use
TOTAL SIZE
Lot Size
Zoning
62,607 SF
13.87 AC
CI1
Address
Land Use
TOTAL SIZE
Lot Size
Zoning
17.79 AC
Address
Land Use
TOTAL SIZE
Lot Size
Zoning
4.12 AC
Address
Land Use
TOTAL SIZE
Lot Size
Zoning
21,800 SF
17.27 AC
UNDESIGNAT
Address
Land Use
TOTAL SIZE
Lot Size
Zoning
21.54 AC
Address
Land Use
TOTAL SIZE
Lot Size
Zoning
11,852 SF
1.22 AC
Address
Land Use
TOTAL SIZE
Lot Size
Zoning
8,303 SF
0.69 AC
Address
Land Use
TOTAL SIZE
Lot Size
Zoning
14,008 SF
8.10 AC
UNDESIGNAT
Address
Land Use
TOTAL SIZE
Lot Size
Zoning
20,196 SF
80 AC
GR
Address
Land Use
TOTAL SIZE
Lot Size
Zoning
5,136 SF
0.13 AC
Address
Land Use
TOTAL SIZE
Lot Size
Zoning
13,384 SF
23.96 AC
Address
Land Use
TOTAL SIZE
Lot Size
Zoning
7,200 SF
1.32 AC
UNDESIGNAT
Address
Land Use
TOTAL SIZE
Lot Size
Zoning
15,447 SF
4.10 AC
Address
Land Use
TOTAL SIZE
Lot Size
Zoning
21,468 SF
1.73 AC
UNDESIGNAT
Address
Land Use
TOTAL SIZE
Lot Size
Zoning
51,320 SF
15.60 AC
Address
Land Use
TOTAL SIZE
Lot Size
Zoning
11.31 AC
Address
Land Use
TOTAL SIZE
Lot Size
Zoning
9,074 SF
0.98 AC
UNDESIGNAT
Address
Land Use
TOTAL SIZE
Lot Size
Zoning
14,784 SF
5 AC
Address
Land Use
TOTAL SIZE
Lot Size
Zoning
9,311 SF
2.75 AC
UNDESIGNAT






