Property Record
201 E State St, Redlands, CA 92373
Property Detail
201 E State St
Riverside-San Bernardino-Ontario, CA
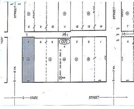
REDLANDS TOWN PLAT LOT 7 BLK 14
0171-071-14
San Bernardino
Storebuilding
California
AO River or stream flood hazard areas, and areas with a 1% or greater chance of shallow flooding each year. These areas have a 26% chance of flooding over the life of a 30-year mortgage.
7
2025
0.11 AC
2025
Redlands/Loma Linda
008100
Inland Empire (California)
4,420 SF
NEARBY LISTINGS FOR SALE OR LEASE
DEMOGRAPHICS near 201 E State St
1 mile
3 mile
5 mile
2025 Total Population
18,769
79,860
148,393
2030 Population
18,959
81,216
150,490
Pop Growth 2025-2030
+ 1.01%
+ 1.70%
+ 1.41%
Average Age
37
39
39
2025 Total Households
6,897
28,703
51,401
HH Growth 2025-2030
+ 1.17%
+ 1.78%
+ 1.49%
Median Household Inc
$76,533
$99,808
$100,282
Avg Household Size
2.50
2.60
2.80
2025 Avg HH Vehicles
2.00
2.00
2.00
Median Home Value
$595,158
$655,193
$631,361
Median Year Built
1965
1977
1980
Nearby Places
Map Layers
Listings with unknown addresses are not visible on the map
- Restaurants
- Banks
- Shops
- Fitness
- Groceries
PUBLIC TRANSPORTATION
AIRPORT
Ontario International
Drive
Walk
Distance
Ontario International
32 min
25.5 mi
SALE & LEASE HISTORY
LISTING DATE
SALE/LEASE
Nearby Properties
Address
Land Use
TOTAL SIZE
Lot Size
Zoning
Address
Land Use
TOTAL SIZE
Lot Size
Zoning
1,079,236 SF
54.70 AC
EVIR
Address
Land Use
TOTAL SIZE
Lot Size
Zoning
393,088 SF
25.98 AC
Address
Land Use
TOTAL SIZE
Lot Size
Zoning
445,160 SF
24.11 AC
Address
Land Use
TOTAL SIZE
Lot Size
Zoning
460,038 SF
22.70 AC
Address
Land Use
TOTAL SIZE
Lot Size
Zoning
105,803 SF
10.86 AC
Address
Land Use
TOTAL SIZE
Lot Size
Zoning
329,075 SF
10.93 AC
Address
Land Use
TOTAL SIZE
Lot Size
Zoning
614,292 SF
27.84 AC
Address
Land Use
TOTAL SIZE
Lot Size
Zoning
771,907 SF
35.59 AC
Address
Land Use
TOTAL SIZE
Lot Size
Zoning
69,495 SF
3.04 AC
RM
Address
Land Use
TOTAL SIZE
Lot Size
Zoning
606,450 SF
27.91 AC
EVSDCOM
Address
Land Use
TOTAL SIZE
Lot Size
Zoning
56.83 AC
Address
Land Use
TOTAL SIZE
Lot Size
Zoning
777,580 SF
23.13 AC
Address
Land Use
TOTAL SIZE
Lot Size
Zoning
801,126 SF
36.03 AC
Address
Land Use
TOTAL SIZE
Lot Size
Zoning
291,560 SF
7.19 AC
Address
Land Use
TOTAL SIZE
Lot Size
Zoning
593,615 SF
27.54 AC
EVCG
Address
Land Use
TOTAL SIZE
Lot Size
Zoning
542,519 SF
27.07 AC
Address
Land Use
TOTAL SIZE
Lot Size
Zoning
121,035 SF
36.62 AC
Address
Land Use
TOTAL SIZE
Lot Size
Zoning
205,555 SF
6.39 AC
Address
Land Use
TOTAL SIZE
Lot Size
Zoning
714,538 SF
56.66 AC
Address
Land Use
TOTAL SIZE
Lot Size
Zoning
166,788 SF
11.74 AC
Address
Land Use
TOTAL SIZE
Lot Size
Zoning
9.50 AC
Address
Land Use
TOTAL SIZE
Lot Size
Zoning
16.03 AC
Address
Land Use
TOTAL SIZE
Lot Size
Zoning
585,064 SF
26.64 AC
EVSDCOM
Address
Land Use
TOTAL SIZE
Lot Size
Zoning
17.69 AC
Address
Land Use
TOTAL SIZE
Lot Size
Zoning
557,388 SF
25.36 AC
Address
Land Use
TOTAL SIZE
Lot Size
Zoning
501,719 SF
23.09 AC
Address
Land Use
TOTAL SIZE
Lot Size
Zoning
600,306 SF
27.46 AC
EVSDCOM
Address
Land Use
TOTAL SIZE
Lot Size
Zoning
274,883 SF
11.24 AC
Address
Land Use
TOTAL SIZE
Lot Size
Zoning
313,470 SF
14.82 AC
Address
Land Use
TOTAL SIZE
Lot Size
Zoning
419,432 SF
18.65 AC








