Property Record
206 Logan Ln, Fernley, NV 89408
Property Detail
206 Logan Ln
Fernley, NV
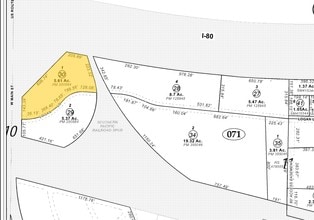
Parcel Logan Lumber Co Ma
021-071-30
11-20-24 FRSW4 PAR 1 CREATED FROM SPLIT OF PARCEL # 021-071-24
Casino
Lyon
A
Nevada
32031C3135G
1
2026
5.05 AC
2025
Lyon County
960103
Reno/Sparks
13,128 SF
DEMOGRAPHICS near 206 Logan Ln
1 Mile
3 Mile
5 Mile
2024 Total Population
1,464
15,098
21,051
2029 Population
1,615
16,572
23,146
Pop Growth 2024-2029
+ 10.31%
+ 9.76%
+ 9.95%
Average Age
40
39
38
2024 Total Households
552
5,569
7,540
HH Growth 2024-2029
+ 10.51%
+ 9.80%
+ 9.95%
Median Household Inc
$70,170
$82,024
$81,889
Avg Household Size
2.60
2.70
2.80
2024 Avg HH Vehicles
2.00
2.00
2.00
Median Home Value
$316,463
$294,907
$320,946
Median Year Built
1987
1998
2000
Nearby Places
Map Layers
- Restaurants
- Banks
- Shops
- Fitness
- Groceries
PUBLIC TRANSPORTATION
AIRPORT
Reno/Tahoe International
DRIVE
WALK
Distance
Reno/Tahoe International
58 min
37.6 mi
Freight Ports
Port of Stockton
DRIVE
WALK
Distance
Port of Stockton
243 min
211.9 mi
Nearby Properties
Address
Land Use
TOTAL SIZE
Lot Size
Zoning
Address
Land Use
TOTAL SIZE
Lot Size
Zoning
267.40 AC
M1
Address
Land Use
TOTAL SIZE
Lot Size
Zoning
28.88 AC
RR1
Address
Land Use
TOTAL SIZE
Lot Size
Zoning
465,120 SF
24.16 AC
I
Address
Land Use
TOTAL SIZE
Lot Size
Zoning
8,799 SF
11.67 AC
MF30
Address
Land Use
TOTAL SIZE
Lot Size
Zoning
588,560 SF
34.94 AC
MULT
Address
Land Use
TOTAL SIZE
Lot Size
Zoning
112,125 SF
57.15 AC
GR20
Address
Land Use
TOTAL SIZE
Lot Size
Zoning
259,500 SF
37.26 AC
I
Address
Land Use
TOTAL SIZE
Lot Size
Zoning
157,615 SF
16.36 AC
C2
Address
Land Use
TOTAL SIZE
Lot Size
Zoning
128,409 SF
13.14 AC
C2
Address
Land Use
TOTAL SIZE
Lot Size
Zoning
4,000 SF
34.40 AC
I
Address
Land Use
TOTAL SIZE
Lot Size
Zoning
20,935 SF
29.04 AC
MULT
Address
Land Use
TOTAL SIZE
Lot Size
Zoning
54,726 SF
10 AC
RR1
Address
Land Use
TOTAL SIZE
Lot Size
Zoning
4,474 SF
6.23 AC
PF
Address
Land Use
TOTAL SIZE
Lot Size
Zoning
52,100 SF
4.91 AC
C2
Address
Land Use
TOTAL SIZE
Lot Size
Zoning
115,200 SF
6.18 AC
I
Address
Land Use
TOTAL SIZE
Lot Size
Zoning
20,357 SF
74.69 AC
A
Address
Land Use
TOTAL SIZE
Lot Size
Zoning
111,142 SF
19.32 AC
I
Address
Land Use
TOTAL SIZE
Lot Size
Zoning
19,714 SF
6.98 AC
TC
Address
Land Use
TOTAL SIZE
Lot Size
Zoning
45,666 SF
5.92 AC
C2
Address
Land Use
TOTAL SIZE
Lot Size
Zoning
29,972 SF
4.76 AC
PF
Address
Land Use
TOTAL SIZE
Lot Size
Zoning
44,589 SF
1.95 AC
C2
Address
Land Use
TOTAL SIZE
Lot Size
Zoning
9,360 SF
3.48 AC
I
Address
Land Use
TOTAL SIZE
Lot Size
Zoning
33,840 SF
11.98 AC
I
Address
Land Use
TOTAL SIZE
Lot Size
Zoning
1,992 SF
6.01 AC
MULT
Address
Land Use
TOTAL SIZE
Lot Size
Zoning
25,624 SF
2.81 AC
MULT
Address
Land Use
TOTAL SIZE
Lot Size
Zoning
10,645 SF
10.03 AC
C2
Address
Land Use
TOTAL SIZE
Lot Size
Zoning
6,476 SF
3.44 AC
MF30
Address
Land Use
TOTAL SIZE
Lot Size
Zoning
18,694 SF
2.55 AC
PF
Address
Land Use
TOTAL SIZE
Lot Size
Zoning
13,851 SF
3.30 AC
C2
Address
Land Use
TOTAL SIZE
Lot Size
Zoning
10,308 SF
9.07 AC
C2




