Property Record
20687 Tracy Ave, Buttonwillow, CA 93206
Property Detail
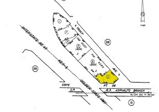
20687 Tracy Ave
103-300-05-00-2
PARCEL MAP 6286 , LOT 1
Restaurantbuilding
Kern
C2
California
B and X Area of moderate flood hazard, usually the area between the limits of the 100-year and 500-year floods.
1
2024
0.85 AC
2025
NW Outlying Kern County
006600
Bakersfield
5,952 SF
Bakersfield-Delano, CA
DEMOGRAPHICS near 20687 Tracy Ave
1 mile
3 mile
5 mile
2025 Total Population
3
46
2,617
2030 Population
3
46
2,615
Pop Growth 2025-2030
0.00%
0.00%
(0.08%)
Average Age
0
36
34
2025 Total Households
1
13
695
HH Growth 2025-2030
0.00%
0.00%
(0.29%)
Median Household Inc
$0
$71,249
$70,615
Avg Household Size
.00
3.40
3.60
2025 Avg HH Vehicles
.00
2.00
3.00
Median Home Value
$0
$416,667
$317,073
Median Year Built
0
1969
1982
Nearby Places
Map Layers
Listings with unknown addresses are not visible on the map
- Restaurants
- Banks
- Shops
- Fitness
- Groceries
PUBLIC TRANSPORTATION
AIRPORT
Meadows Field
Drive
Walk
Distance
Meadows Field
41 min
23.3 mi
Nearby Properties
Address
Land Use
TOTAL SIZE
Lot Size
Zoning
Address
Land Use
TOTAL SIZE
Lot Size
Zoning
1,080 SF
153.30 AC
A
Address
Land Use
TOTAL SIZE
Lot Size
Zoning
14,863 SF
13.07 AC
M2PD
Address
Land Use
TOTAL SIZE
Lot Size
Zoning
1,050 SF
129.07 AC
A
Address
Land Use
TOTAL SIZE
Lot Size
Zoning
613.63 AC
A
Address
Land Use
TOTAL SIZE
Lot Size
Zoning
5,154 SF
158.34 AC
A
Address
Land Use
TOTAL SIZE
Lot Size
Zoning
54.22 AC
A
Address
Land Use
TOTAL SIZE
Lot Size
Zoning
33,412 SF
1.72 AC
C-2 PD
Address
Land Use
TOTAL SIZE
Lot Size
Zoning
23,980 SF
3.22 AC
C-2
Address
Land Use
TOTAL SIZE
Lot Size
Zoning
5,239 SF
1.15 AC
C2
Address
Land Use
TOTAL SIZE
Lot Size
Zoning
318.18 AC
A
Address
Land Use
TOTAL SIZE
Lot Size
Zoning
29,312 SF
1.84 AC
C-2, PD
Address
Land Use
TOTAL SIZE
Lot Size
Zoning
3,500 SF
1.94 AC
C2
Address
Land Use
TOTAL SIZE
Lot Size
Zoning
80.18 AC
A
Address
Land Use
TOTAL SIZE
Lot Size
Zoning
4,187 SF
1.05 AC
C2
Address
Land Use
TOTAL SIZE
Lot Size
Zoning
2,064 SF
1.02 AC
C2
Address
Land Use
TOTAL SIZE
Lot Size
Zoning
4,107 SF
1.40 AC
C2
Address
Land Use
TOTAL SIZE
Lot Size
Zoning
300.08 AC
A
Address
Land Use
TOTAL SIZE
Lot Size
Zoning
7,062 SF
2.76 AC
C2PD
Address
Land Use
TOTAL SIZE
Lot Size
Zoning
627.86 AC
Address
Land Use
TOTAL SIZE
Lot Size
Zoning
1,971 SF
0.84 AC
C2
Address
Land Use
TOTAL SIZE
Lot Size
Zoning
231.45 AC
Address
Land Use
TOTAL SIZE
Lot Size
Zoning
3,543 SF
0.85 AC
C-2
Address
Land Use
TOTAL SIZE
Lot Size
Zoning
3,380 SF
29.60 AC
A
Address
Land Use
TOTAL SIZE
Lot Size
Zoning
118.27 AC
A
Address
Land Use
TOTAL SIZE
Lot Size
Zoning
10.87 AC
C-2
Address
Land Use
TOTAL SIZE
Lot Size
Zoning
3,681 SF
1.70 AC
C2
Address
Land Use
TOTAL SIZE
Lot Size
Zoning
4,001 SF
8.15 AC
C2PD
Address
Land Use
TOTAL SIZE
Lot Size
Zoning
1,716 SF
40 AC
A
Address
Land Use
TOTAL SIZE
Lot Size
Zoning
80.23 AC
A






