Property Record
208 E Second St, Winslow, AZ 86047
Property Detail
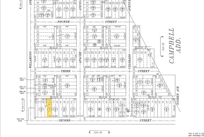
208 E Second St
103-17-075A
A & P ADDN:E 8 & N 50 OF W 17 LOT 9& ALL LOT 8, BLOCK 8
Apartment
Navajo
MUNICIPAL
Arizona
B and X Area of moderate flood hazard, usually the area between the limits of the 100-year and 500-year floods.
9,8
2024
0.11 AC
2026
Arizona Northeast & Holbrook Area
960600
Other Market Areas
13,212 SF
Show Low, AZ
NEARBY LISTINGS FOR SALE OR LEASE
-
-
View all Winslow listings for sale on LoopNet.com
DEMOGRAPHICS near 208 E Second St
1 mile
3 mile
5 mile
2025 Total Population
5,246
8,361
9,577
2030 Population
5,346
8,530
9,848
Pop Growth 2025-2030
+ 1.91%
+ 2.02%
+ 2.83%
Average Age
37
37
37
2025 Total Households
1,838
2,823
3,236
HH Growth 2025-2030
+ 1.25%
+ 1.52%
+ 2.44%
Median Household Inc
$47,757
$50,101
$52,876
Avg Household Size
2.60
2.70
2.70
2025 Avg HH Vehicles
2.00
2.00
2.00
Median Home Value
$130,473
$151,599
$156,185
Median Year Built
1964
1970
1972
Nearby Places
Map Layers
Listings with unknown addresses are not visible on the map
- Restaurants
- Banks
- Shops
- Fitness
- Groceries
Nearby Properties
Address
Land Use
TOTAL SIZE
Lot Size
Zoning
Address
Land Use
TOTAL SIZE
Lot Size
Zoning
50,145 SF
3.55 AC
MUNICIPAL
Address
Land Use
TOTAL SIZE
Lot Size
Zoning
43,652 SF
4.71 AC
MUNICIPAL
Address
Land Use
TOTAL SIZE
Lot Size
Zoning
185,434 SF
7.56 AC
MUNICIPAL
Address
Land Use
TOTAL SIZE
Lot Size
Zoning
15,533 SF
12.69 AC
MUNICIPAL
Address
Land Use
TOTAL SIZE
Lot Size
Zoning
46,793 SF
5.18 AC
MUNICIPAL
Address
Land Use
TOTAL SIZE
Lot Size
Zoning
28,741 SF
6.05 AC
MUNICIPAL
Address
Land Use
TOTAL SIZE
Lot Size
Zoning
44,270 SF
4.47 AC
MUNICIPAL
Address
Land Use
TOTAL SIZE
Lot Size
Zoning
11,323 SF
7.47 AC
MUNICIPAL
Address
Land Use
TOTAL SIZE
Lot Size
Zoning
69,675 SF
18.48 AC
MUNICIPAL
Address
Land Use
TOTAL SIZE
Lot Size
Zoning
11,772 SF
3.60 AC
MUNICIPAL
Address
Land Use
TOTAL SIZE
Lot Size
Zoning
28,866 SF
2.93 AC
MUNICIPAL
Address
Land Use
TOTAL SIZE
Lot Size
Zoning
33,500 SF
6.49 AC
MUNICIPAL
Address
Land Use
TOTAL SIZE
Lot Size
Zoning
37,975 SF
1.07 AC
MUNICIPAL
Address
Land Use
TOTAL SIZE
Lot Size
Zoning
41,459 SF
1.93 AC
MUNICIPAL
Address
Land Use
TOTAL SIZE
Lot Size
Zoning
30,366 SF
0.98 AC
MUNICIPAL
Address
Land Use
TOTAL SIZE
Lot Size
Zoning
28,066 SF
1.17 AC
MUNICIPAL
Address
Land Use
TOTAL SIZE
Lot Size
Zoning
24,864 SF
2.03 AC
MUNICIPAL
Address
Land Use
TOTAL SIZE
Lot Size
Zoning
14,700 SF
20.22 AC
MUNICIPAL
Address
Land Use
TOTAL SIZE
Lot Size
Zoning
11,337 SF
1.04 AC
MUNICIPAL
Address
Land Use
TOTAL SIZE
Lot Size
Zoning
11,840 SF
10 AC
MUNICIPAL
Address
Land Use
TOTAL SIZE
Lot Size
Zoning
22,056 SF
2.57 AC
MUNICIPAL
Address
Land Use
TOTAL SIZE
Lot Size
Zoning
27,841 SF
1.29 AC
MUNICIPAL
Address
Land Use
TOTAL SIZE
Lot Size
Zoning
8,687 SF
1.23 AC
MUNICIPAL
Address
Land Use
TOTAL SIZE
Lot Size
Zoning
45,423 SF
0.47 AC
MUNICIPAL
Address
Land Use
TOTAL SIZE
Lot Size
Zoning
26,727 SF
3.15 AC
MUNICIPAL
Address
Land Use
TOTAL SIZE
Lot Size
Zoning
16,927 SF
13.43 AC
MUNICIPAL
Address
Land Use
TOTAL SIZE
Lot Size
Zoning
10,395 SF
9.80 AC
MUNICIPAL
Address
Land Use
TOTAL SIZE
Lot Size
Zoning
22,047 SF
1.10 AC
MUNICIPAL
Address
Land Use
TOTAL SIZE
Lot Size
Zoning
45,423 SF
0.68 AC
MUNICIPAL







