Property Record
21 Florida Ave, Plattsburgh, NY 12903
Property Detail
21 Florida Ave
094200-233-000-0005-073-000-0000
LOT 38 PARC SUB III 2002 BLDG 2884
Storesoffices
CLINTON
A2
New York
B and X Area of moderate flood hazard, usually the area between the limits of the 100-year and 500-year floods.
73.000
2025
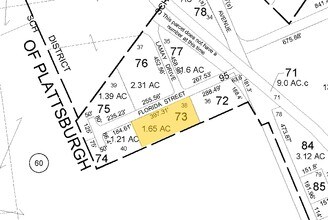
1.65 AC
2025
Plattsburgh
102100
Other Market Areas
6,357 SF
Plattsburgh, NY
NEARBY LISTINGS FOR SALE OR LEASE
DEMOGRAPHICS near 21 Florida Ave
1 mile
3 mile
5 mile
2025 Total Population
2,358
20,941
29,209
2030 Population
2,320
20,663
28,848
Pop Growth 2025-2030
(1.61%)
(1.33%)
(1.24%)
Average Age
43
42
42
2025 Total Households
1,119
9,975
13,488
HH Growth 2025-2030
(1.52%)
(1.36%)
(1.28%)
Median Household Inc
$50,340
$52,889
$55,745
Avg Household Size
2.00
2.00
2.10
2025 Avg HH Vehicles
1.00
1.00
2.00
Median Home Value
$144,820
$186,345
$186,590
Median Year Built
1970
1968
1971
Nearby Places
Map Layers
Listings with unknown addresses are not visible on the map
- Restaurants
- Banks
- Shops
- Fitness
- Groceries
PUBLIC TRANSPORTATION
COMMUTER RAIL
Drive
Walk
Distance
6 min
2.8 mi
AIRPORT
Plattsburgh International
Drive
Walk
Distance
Plattsburgh International
3 min
1.0 mi
Patrick Leahy Burlington International
Drive
Walk
Distance
Patrick Leahy Burlington International
71 min
33.4 mi
Nearby Properties
Address
Land Use
TOTAL SIZE
Lot Size
Zoning
Address
Land Use
TOTAL SIZE
Lot Size
Zoning
103.84 AC
Address
Land Use
TOTAL SIZE
Lot Size
Zoning
404,903 SF
40.60 AC
03 - MULTI
Address
Land Use
TOTAL SIZE
Lot Size
Zoning
800 SF
776.23 AC
A1
Address
Land Use
TOTAL SIZE
Lot Size
Zoning
131,558 SF
53.50 AC
T5
Address
Land Use
TOTAL SIZE
Lot Size
Zoning
3,545 SF
17.30 AC
06 - INDUS
Address
Land Use
TOTAL SIZE
Lot Size
Zoning
15.80 AC
Address
Land Use
TOTAL SIZE
Lot Size
Zoning
121,465 SF
92 AC
R-2
Address
Land Use
TOTAL SIZE
Lot Size
Zoning
87,442 SF
5.32 AC
02 - SINGL
Address
Land Use
TOTAL SIZE
Lot Size
Zoning
564.20 AC
A1
Address
Land Use
TOTAL SIZE
Lot Size
Zoning
35,562 SF
204.40 AC
LC_OS
Address
Land Use
TOTAL SIZE
Lot Size
Zoning
83,261 SF
24.35 AC
T5
Address
Land Use
TOTAL SIZE
Lot Size
Zoning
73,095 SF
6.28 AC
T4
Address
Land Use
TOTAL SIZE
Lot Size
Zoning
167 AC
02 - SINGL
Address
Land Use
TOTAL SIZE
Lot Size
Zoning
101,758 SF
5.64 AC
T5
Address
Land Use
TOTAL SIZE
Lot Size
Zoning
117,847 SF
47.30 AC
00
Address
Land Use
TOTAL SIZE
Lot Size
Zoning
148,340 SF
5.67 AC
03 - MULTI
Address
Land Use
TOTAL SIZE
Lot Size
Zoning
243,951 SF
21 AC
06 - INDUS
Address
Land Use
TOTAL SIZE
Lot Size
Zoning
218,230 SF
38.92 AC
I
Address
Land Use
TOTAL SIZE
Lot Size
Zoning
578,793 SF
75.50 AC
T5
Address
Land Use
TOTAL SIZE
Lot Size
Zoning
87,939 SF
8.20 AC
T5
Address
Land Use
TOTAL SIZE
Lot Size
Zoning
64,343 SF
2.30 AC
C
Address
Land Use
TOTAL SIZE
Lot Size
Zoning
21,396 SF
3.40 AC
03 - MULTI
Address
Land Use
TOTAL SIZE
Lot Size
Zoning
4,992 SF
13.20 AC
03 - MULTI
Address
Land Use
TOTAL SIZE
Lot Size
Zoning
11,910 SF
3.70 AC
05 - COMME
Address
Land Use
TOTAL SIZE
Lot Size
Zoning
62,148 SF
2.66 AC
T4
Address
Land Use
TOTAL SIZE
Lot Size
Zoning
126,842 SF
10 AC
T5
Address
Land Use
TOTAL SIZE
Lot Size
Zoning
84,193 SF
10.60 AC
03 - MULTI
Address
Land Use
TOTAL SIZE
Lot Size
Zoning
59,670 SF
0.50 AC
03 - MULTI
Address
Land Use
TOTAL SIZE
Lot Size
Zoning
210,800 SF
2.42 AC
I
Address
Land Use
TOTAL SIZE
Lot Size
Zoning
229,741 SF
10.90 AC
06 - INDUS








