Property Record
211 Pine St, Rogue River, OR 97537
This Property Is For Sale
Property Detail
211 Pine St
Commercialbuilding
JACKSON
C-1
Oregon
B and X Area of moderate flood hazard, usually the area between the limits of the 100-year and 500-year floods.
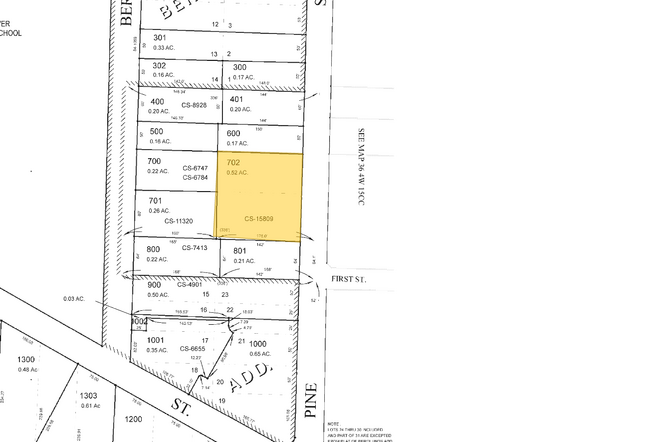
0.52 AC
2025
Medford/Grants Pass
2026
Other Market Areas
002901
Medford, OR
9,784 SF
10283771
NEARBY LISTINGS FOR SALE OR LEASE
DEMOGRAPHICS near 211 Pine St
1 mile
3 mile
5 mile
2025 Total Population
3,125
5,586
8,241
2030 Population
3,053
5,446
8,044
Pop Growth 2025-2030
(2.30%)
(2.51%)
(2.39%)
Average Age
48
48
49
2025 Total Households
1,421
2,508
3,667
HH Growth 2025-2030
(2.39%)
(2.59%)
(2.45%)
Median Household Inc
$54,052
$55,883
$56,989
Avg Household Size
2.20
2.20
2.20
2025 Avg HH Vehicles
2.00
2.00
2.00
Median Home Value
$377,829
$396,935
$416,513
Median Year Built
1980
1978
1977
Nearby Places
Map Layers
Listings with unknown addresses are not visible on the map
- Restaurants
- Banks
- Shops
- Fitness
- Groceries
PUBLIC TRANSPORTATION
AIRPORT
Rogue Valley International - Medford
Drive
Walk
Distance
Rogue Valley International - Medford
24 min
18.4 mi
Freight Ports
Port of Coos Bay, OR
Drive
Walk
Distance
Port of Coos Bay, OR
192 min
144.8 mi
Nearby Properties
Address
Land Use
TOTAL SIZE
Lot Size
Zoning
Address
Land Use
TOTAL SIZE
Lot Size
Zoning
Address
Land Use
TOTAL SIZE
Lot Size
Zoning
70,403 SF
9.57 AC
C-1
Address
Land Use
TOTAL SIZE
Lot Size
Zoning
76.11 AC
EFU
Address
Land Use
TOTAL SIZE
Lot Size
Zoning
31,045 SF
1.93 AC
P
Address
Land Use
TOTAL SIZE
Lot Size
Zoning
2.20 AC
C-1
Address
Land Use
TOTAL SIZE
Lot Size
Zoning
23,206 SF
3.06 AC
R-2
Address
Land Use
TOTAL SIZE
Lot Size
Zoning
26,700 SF
4.98 AC
R-2
Address
Land Use
TOTAL SIZE
Lot Size
Zoning
26,304 SF
1.23 AC
C-1
Address
Land Use
TOTAL SIZE
Lot Size
Zoning
6.78 AC
M-1
Address
Land Use
TOTAL SIZE
Lot Size
Zoning
27,363 SF
2.25 AC
R-2
Address
Land Use
TOTAL SIZE
Lot Size
Zoning
1.26 AC
C-1
Address
Land Use
TOTAL SIZE
Lot Size
Zoning
6.84 AC
M-1
Address
Land Use
TOTAL SIZE
Lot Size
Zoning
6,777 SF
2.64 AC
P
Address
Land Use
TOTAL SIZE
Lot Size
Zoning
38,241 SF
2.39 AC
R-2
Address
Land Use
TOTAL SIZE
Lot Size
Zoning
12,136 SF
2.37 AC
P
Address
Land Use
TOTAL SIZE
Lot Size
Zoning
33.73 AC
RR-2.5
Address
Land Use
TOTAL SIZE
Lot Size
Zoning
3.07 AC
M-1
Address
Land Use
TOTAL SIZE
Lot Size
Zoning
35 SF
7.56 AC
R 1-8
Address
Land Use
TOTAL SIZE
Lot Size
Zoning
782 SF
1.70 AC
C-1
Address
Land Use
TOTAL SIZE
Lot Size
Zoning
655.22 AC
FR
Address
Land Use
TOTAL SIZE
Lot Size
Zoning
8,286 SF
8.07 AC
RR-5
Address
Land Use
TOTAL SIZE
Lot Size
Zoning
440 AC
FR
Address
Land Use
TOTAL SIZE
Lot Size
Zoning
440 AC
FR
Address
Land Use
TOTAL SIZE
Lot Size
Zoning
434.39 AC
FR
Address
Land Use
TOTAL SIZE
Lot Size
Zoning
3.51 AC
RR-5
Address
Land Use
TOTAL SIZE
Lot Size
Zoning
13,200 SF
0.73 AC
P
Address
Land Use
TOTAL SIZE
Lot Size
Zoning
15,128 SF
0.74 AC
R-2
Address
Land Use
TOTAL SIZE
Lot Size
Zoning
351.49 AC
FR
Address
Land Use
TOTAL SIZE
Lot Size
Zoning
45 SF
7.81 AC
RR-5
Address
Land Use
TOTAL SIZE
Lot Size
Zoning
31,430 SF
2.43 AC
M-1








