Property Record
2117 Bishop Cir E, Dexter, MI 48130
Property Detail
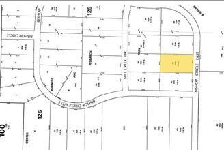
2117 Bishop Cir E
08-07-125-040
LOT 40 OF DEXTER BUSINESS & RESEARCH PARK #2. PT NE 1/4 SEC 7, T2S-R5E, 1.60 AC.
Industrialgeneral
Washtenaw
RD
Michigan
B and X Area of moderate flood hazard, usually the area between the limits of the 100-year and 500-year floods.
40
2025
1.60 AC
2025
Washtenaw W of 23
454002
Detroit
9,974 SF
Ann Arbor, MI
NEARBY LISTINGS FOR SALE OR LEASE
DEMOGRAPHICS near 2117 Bishop Cir E
1 mile
3 mile
5 mile
2025 Total Population
2,994
12,913
26,909
2030 Population
3,007
13,008
27,121
Pop Growth 2025-2030
+ 0.43%
+ 0.74%
+ 0.79%
Average Age
41
42
42
2025 Total Households
1,225
5,019
10,209
HH Growth 2025-2030
+ 0.57%
+ 0.84%
+ 0.90%
Median Household Inc
$100,934
$107,319
$125,406
Avg Household Size
2.40
2.50
2.60
2025 Avg HH Vehicles
2.00
2.00
2.00
Median Home Value
$388,043
$401,623
$459,762
Median Year Built
1994
1991
1991
Nearby Places
Map Layers
Listings with unknown addresses are not visible on the map
- Restaurants
- Banks
- Shops
- Fitness
- Groceries
PUBLIC TRANSPORTATION
COMMUTER RAIL
Drive
Walk
Distance
18 min
8.7 mi
AIRPORT
Detroit Metro Wayne County
Drive
Walk
Distance
Detroit Metro Wayne County
49 min
36.8 mi
Freight Ports
Drive
Walk
Distance
88 min
68.2 mi
Nearby Properties
Address
Land Use
TOTAL SIZE
Lot Size
Zoning
Address
Land Use
TOTAL SIZE
Lot Size
Zoning
1,760 SF
178.76 AC
MHP
Address
Land Use
TOTAL SIZE
Lot Size
Zoning
591,625 SF
80.39 AC
PUD
Address
Land Use
TOTAL SIZE
Lot Size
Zoning
177,474 SF
58.03 AC
C-2
Address
Land Use
TOTAL SIZE
Lot Size
Zoning
95,831 SF
26.98 AC
I-1
Address
Land Use
TOTAL SIZE
Lot Size
Zoning
132,280 SF
10.29 AC
I-1
Address
Land Use
TOTAL SIZE
Lot Size
Zoning
460,082 SF
42.24 AC
RD
Address
Land Use
TOTAL SIZE
Lot Size
Zoning
147,400 SF
34.07 AC
SEVERAL
Address
Land Use
TOTAL SIZE
Lot Size
Zoning
148,595 SF
13.28 AC
I-1
Address
Land Use
TOTAL SIZE
Lot Size
Zoning
443,838 SF
47.01 AC
I-1
Address
Land Use
TOTAL SIZE
Lot Size
Zoning
24.06 AC
R-3
Address
Land Use
TOTAL SIZE
Lot Size
Zoning
2,913 SF
25.61 AC
C-3
Address
Land Use
TOTAL SIZE
Lot Size
Zoning
61,760 SF
18.06 AC
II
Address
Land Use
TOTAL SIZE
Lot Size
Zoning
102,200 SF
10.02 AC
C-2
Address
Land Use
TOTAL SIZE
Lot Size
Zoning
52,990 SF
20.49 AC
I-1
Address
Land Use
TOTAL SIZE
Lot Size
Zoning
Address
Land Use
TOTAL SIZE
Lot Size
Zoning
13.36 AC
R-3
Address
Land Use
TOTAL SIZE
Lot Size
Zoning
Address
Land Use
TOTAL SIZE
Lot Size
Zoning
4,154 SF
2.99 AC
C-2
Address
Land Use
TOTAL SIZE
Lot Size
Zoning
70,320 SF
2.79 AC
C-3
Address
Land Use
TOTAL SIZE
Lot Size
Zoning
49,707 SF
4.50 AC
C-1
Address
Land Use
TOTAL SIZE
Lot Size
Zoning
31,970 SF
8.34 AC
C-1
Address
Land Use
TOTAL SIZE
Lot Size
Zoning
54,150 SF
20.19 AC
I-1
Address
Land Use
TOTAL SIZE
Lot Size
Zoning
88,590 SF
9.80 AC
RD
Address
Land Use
TOTAL SIZE
Lot Size
Zoning
129,600 SF
10.27 AC
I-1
Address
Land Use
TOTAL SIZE
Lot Size
Zoning
11.82 AC
SEVERAL
Address
Land Use
TOTAL SIZE
Lot Size
Zoning
89,881 SF
12.25 AC
I-1
Address
Land Use
TOTAL SIZE
Lot Size
Zoning
150,000 SF
18.24 AC
I-1
Address
Land Use
TOTAL SIZE
Lot Size
Zoning
61,382 SF
19.65 AC
I-1
Address
Land Use
TOTAL SIZE
Lot Size
Zoning
68,000 SF
11.61 AC
RD
Address
Land Use
TOTAL SIZE
Lot Size
Zoning
7.31 AC
C-2








