Property Record
213 Spring Creek Rd, Gypsum, CO 81637
Property Detail
213 Spring Creek Rd
Edwards, CO
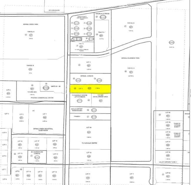
SUBDIVISION: FLY-N-EAGLE CENTRE LOT: 5
R054072
EAGLE
Warehouse
Colorado
B and X Area of moderate flood hazard, usually the area between the limits of the 100-year and 500-year floods.
5
2024
1.74 AC
2025
Colorado Northwest Area
000200
Other Market Areas
5,640 SF
NEARBY LISTINGS FOR SALE OR LEASE
DEMOGRAPHICS near 213 Spring Creek Rd
1 mile
3 mile
5 mile
2025 Total Population
756
6,933
10,520
2030 Population
699
6,552
9,807
Pop Growth 2025-2030
(7.54%)
(5.50%)
(6.78%)
Average Age
35
35
36
2025 Total Households
217
2,118
3,285
HH Growth 2025-2030
(8.76%)
(6.52%)
(7.95%)
Median Household Inc
$75,987
$104,929
$108,182
Avg Household Size
3.10
3.10
3.10
2025 Avg HH Vehicles
2.00
2.00
2.00
Median Home Value
$1,115,772
$671,686
$731,319
Median Year Built
2002
1997
1998
Nearby Places
Map Layers
Listings with unknown addresses are not visible on the map
- Restaurants
- Banks
- Shops
- Fitness
- Groceries
PUBLIC TRANSPORTATION
AIRPORT
Eagle County Regional
Drive
Walk
Distance
Eagle County Regional
10 min
3.1 mi
SALE & LEASE HISTORY
LISTING DATE
SALE/LEASE
Nearby Properties
Address
Land Use
TOTAL SIZE
Lot Size
Zoning
Address
Land Use
TOTAL SIZE
Lot Size
Zoning
313,632 SF
4.45 AC
Address
Land Use
TOTAL SIZE
Lot Size
Zoning
163,839 SF
18.42 AC
Address
Land Use
TOTAL SIZE
Lot Size
Zoning
21.40 AC
Address
Land Use
TOTAL SIZE
Lot Size
Zoning
351,535 SF
76.06 AC
Address
Land Use
TOTAL SIZE
Lot Size
Zoning
110,035 SF
20 AC
Address
Land Use
TOTAL SIZE
Lot Size
Zoning
80,005 SF
4.06 AC
Address
Land Use
TOTAL SIZE
Lot Size
Zoning
62,400 SF
5.36 AC
Address
Land Use
TOTAL SIZE
Lot Size
Zoning
35,298 SF
3.88 AC
Address
Land Use
TOTAL SIZE
Lot Size
Zoning
40,050 SF
2.62 AC
Address
Land Use
TOTAL SIZE
Lot Size
Zoning
26,008 SF
10 AC
Address
Land Use
TOTAL SIZE
Lot Size
Zoning
3,120 SF
4.86 AC
Address
Land Use
TOTAL SIZE
Lot Size
Zoning
45,635 SF
2.22 AC
Address
Land Use
TOTAL SIZE
Lot Size
Zoning
55,995 SF
94.35 AC
Address
Land Use
TOTAL SIZE
Lot Size
Zoning
19,588 SF
439.36 AC
Address
Land Use
TOTAL SIZE
Lot Size
Zoning
30,795 SF
1.61 AC
Address
Land Use
TOTAL SIZE
Lot Size
Zoning
63,339 SF
7.22 AC
Address
Land Use
TOTAL SIZE
Lot Size
Zoning
121,154 SF
11.05 AC
Address
Land Use
TOTAL SIZE
Lot Size
Zoning
14,264 SF
10.50 AC
Address
Land Use
TOTAL SIZE
Lot Size
Zoning
22,775 SF
1.47 AC
Address
Land Use
TOTAL SIZE
Lot Size
Zoning
10,000 SF
12.59 AC
Address
Land Use
TOTAL SIZE
Lot Size
Zoning
89,757 SF
3.57 AC
Address
Land Use
TOTAL SIZE
Lot Size
Zoning
23,141 SF
3.54 AC
Address
Land Use
TOTAL SIZE
Lot Size
Zoning
20,080 SF
2.06 AC
Address
Land Use
TOTAL SIZE
Lot Size
Zoning
25,310 SF
14.46 AC
Address
Land Use
TOTAL SIZE
Lot Size
Zoning
4.14 AC
Address
Land Use
TOTAL SIZE
Lot Size
Zoning
35,800 SF
2.92 AC
Address
Land Use
TOTAL SIZE
Lot Size
Zoning
14,400 SF
5.97 AC
Address
Land Use
TOTAL SIZE
Lot Size
Zoning
24,000 SF
1.57 AC
Address
Land Use
TOTAL SIZE
Lot Size
Zoning
24,605 SF
1.99 AC
Address
Land Use
TOTAL SIZE
Lot Size
Zoning
7.44 AC







