Property Record
7921 Canoga Ave, Canoga Park, CA 91304
NEARBY LISTINGS FOR SALE OR LEASE
Property Detail
7921 Canoga Ave
Los Angeles-Long Beach-Glendale, CA
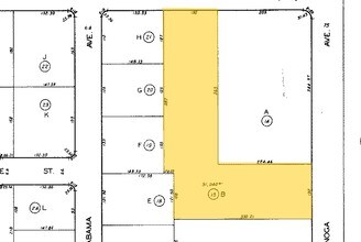
Parcel Map L A No 3727
2110-005-015
*TR=PARCEL MAP AS PER BK 88 P 44-45 OF P M LOT B
Lightindustrial
Los Angeles
X
California
06037C1280F
b
2024
2.09 AC
2025
West San Fernando Valley
134306
Los Angeles
81,988 SF
DEMOGRAPHICS near 7921 Canoga Ave
1 Mile
3 Mile
5 Mile
2024 Total Population
40,551
222,123
438,951
2029 Population
39,528
217,411
428,135
Pop Growth 2024-2029
(2.52%)
(2.12%)
(2.46%)
Average Age
37
40
41
2024 Total Households
12,036
77,305
152,509
HH Growth 2024-2029
(2.73%)
(2.14%)
(2.59%)
Median Household Inc
$66,068
$84,440
$90,418
Avg Household Size
3.20
2.80
2.80
2024 Avg HH Vehicles
2.00
2.00
2.00
Median Home Value
$685,609
$730,740
$793,140
Median Year Built
1971
1973
1971
Nearby Places
- Restaurants
- Banks
- Shops
- Fitness
- Groceries
PUBLIC TRANSPORTATION
COMMUTER RAIL
Chatsworth (Ventura County Line - Southern California Regional Rail Authority (Metrolink))
DRIVE
WALK
Distance
Chatsworth (Ventura County Line - Southern California Regional Rail Authority (Metrolink))
8 min
3.0 mi
Northridge (Ventura County Line - Southern California Regional Rail Authority (Metrolink))
DRIVE
WALK
Distance
Northridge (Ventura County Line - Southern California Regional Rail Authority (Metrolink))
10 min
4.2 mi
AIRPORT
Bob Hope
DRIVE
WALK
Distance
Bob Hope
30 min
14.6 mi
Los Angeles International
DRIVE
WALK
Distance
Los Angeles International
42 min
28.5 mi
Freight Ports
The Port of Hueneme
DRIVE
WALK
Distance
The Port of Hueneme
60 min
42.4 mi
SALE & LEASE HISTORY
LISTING DATE
SALE/LEASE
Nearby Properties
Address
Land Use
TOTAL SIZE
Lot Size
Zoning
Address
Land Use
TOTAL SIZE
Lot Size
Zoning
515,900 SF
30.43 AC
LAWC
Address
Land Use
TOTAL SIZE
Lot Size
Zoning
928,124 SF
19.98 AC
LAWC
Address
Land Use
TOTAL SIZE
Lot Size
Zoning
628,282 SF
2.86 AC
LAWC
Address
Land Use
TOTAL SIZE
Lot Size
Zoning
1,595,158 SF
7.95 AC
LAWC
Address
Land Use
TOTAL SIZE
Lot Size
Zoning
441,265 SF
4.56 AC
LAWC
Address
Land Use
TOTAL SIZE
Lot Size
Zoning
273,849 SF
22.90 AC
LAC4
Address
Land Use
TOTAL SIZE
Lot Size
Zoning
532,580 SF
6.94 AC
LAWC
Address
Land Use
TOTAL SIZE
Lot Size
Zoning
967,368 SF
7.87 AC
LAWC
Address
Land Use
TOTAL SIZE
Lot Size
Zoning
254,527 SF
10.14 AC
LAWC
Address
Land Use
TOTAL SIZE
Lot Size
Zoning
508,314 SF
10.05 AC
LAWC
Address
Land Use
TOTAL SIZE
Lot Size
Zoning
484,354 SF
5.94 AC
LAWC
Address
Land Use
TOTAL SIZE
Lot Size
Zoning
546,652 SF
4.27 AC
LAC2
Address
Land Use
TOTAL SIZE
Lot Size
Zoning
426,935 SF
2.74 AC
LAWC
Address
Land Use
TOTAL SIZE
Lot Size
Zoning
726,146 SF
7.66 AC
LAWC
Address
Land Use
TOTAL SIZE
Lot Size
Zoning
394,137 SF
2.73 AC
LAWC
Address
Land Use
TOTAL SIZE
Lot Size
Zoning
143,806 SF
23.03 AC
LACM
Address
Land Use
TOTAL SIZE
Lot Size
Zoning
771,791 SF
9.19 AC
LAWC
Address
Land Use
TOTAL SIZE
Lot Size
Zoning
365,572 SF
8.95 AC
LAR3
Address
Land Use
TOTAL SIZE
Lot Size
Zoning
292,739 SF
1.88 AC
LAWC
Address
Land Use
TOTAL SIZE
Lot Size
Zoning
623,899 SF
1.25 AC
LAWC
Address
Land Use
TOTAL SIZE
Lot Size
Zoning
334,174 SF
3.84 AC
LAWC
Address
Land Use
TOTAL SIZE
Lot Size
Zoning
354,762 SF
5.05 AC
LAC2
Address
Land Use
TOTAL SIZE
Lot Size
Zoning
805,833 SF
9.02 AC
LAC4
Address
Land Use
TOTAL SIZE
Lot Size
Zoning
539,022 SF
35.67 AC
LAMR2
Address
Land Use
TOTAL SIZE
Lot Size
Zoning
308,951 SF
3.19 AC
LAWC
Address
Land Use
TOTAL SIZE
Lot Size
Zoning
302,865 SF
5.80 AC
LAWC
Address
Land Use
TOTAL SIZE
Lot Size
Zoning
313,962 SF
3 AC
LAWC
Address
Land Use
TOTAL SIZE
Lot Size
Zoning
528,264 SF
4.10 AC
LAWC
Address
Land Use
TOTAL SIZE
Lot Size
Zoning
219,083 SF
23.03 AC
LACM



