Property Record
219 E Mckellips Rd, Mesa, AZ 85201
Property Detail
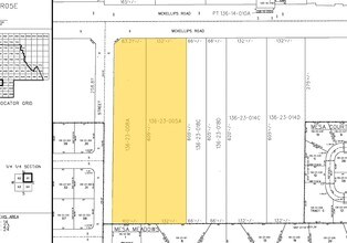
219 E Mckellips Rd
136-23-005C
W2 OF W2 OF E 32 RODS OF NW4 NE4 NE4 SEC 10 EX N 55F RD TOG-WI TH POR SD NW4 NE4 NE4 SEC 10 LY WLY OF W LN OF TH E 32 RODS EX W 30F RD EX N 55F RD EX RD P/F 97-411472 & EX 10F ROW LOC WI-IN PT NW4 NE4 NE4 SEC 10 DAF COM NE 1/16 COR SD SEC TH E 397.13
Publicstorage
MARICOPA
ID2
Arizona
C and X Area of minimal flood hazard, usually depicted on FIRMs as above the 500-year flood level.
3.23 AC
2025
Mesa East
2025
Phoenix
420505
Phoenix-Mesa-Chandler, AZ
68,944 SF
NEARBY LISTINGS FOR SALE OR LEASE
DEMOGRAPHICS near 219 E Mckellips Rd
1 mile
3 mile
5 mile
2024 Total Population
16,875
93,952
263,728
2029 Population
18,205
101,597
285,263
Pop Growth 2024-2029
+ 7.88%
+ 8.14%
+ 8.17%
Average Age
35
36
37
2024 Total Households
6,206
33,552
99,189
HH Growth 2024-2029
+ 7.88%
+ 8.27%
+ 8.46%
Median Household Inc
$58,447
$57,577
$56,865
Avg Household Size
2.60
2.70
2.50
2024 Avg HH Vehicles
2.00
2.00
2.00
Median Home Value
$318,987
$350,375
$315,893
Median Year Built
1985
1980
1980
Nearby Places
Map Layers
Listings with unknown addresses are not visible on the map
- Restaurants
- Banks
- Shops
- Fitness
- Groceries
PUBLIC TRANSPORTATION
AIRPORT
Phoenix Sky Harbor International
Drive
Walk
Distance
Phoenix Sky Harbor International
17 min
11.1 mi
Phoenix-Mesa Gateway
Drive
Walk
Distance
Phoenix-Mesa Gateway
31 min
19.2 mi
Freight Ports
Port of San Diego
Drive
Walk
Distance
Port of San Diego
413 min
370.4 mi
Nearby Properties
Address
Land Use
TOTAL SIZE
Lot Size
Zoning
Address
Land Use
TOTAL SIZE
Lot Size
Zoning
377,442 SF
0.21 AC
C-DT
Address
Land Use
TOTAL SIZE
Lot Size
Zoning
267,023 SF
19.58 AC
PEP
Address
Land Use
TOTAL SIZE
Lot Size
Zoning
579,506 SF
17.78 AC
PF
Address
Land Use
TOTAL SIZE
Lot Size
Zoning
407,570 SF
6.22 AC
PEP
Address
Land Use
TOTAL SIZE
Lot Size
Zoning
454,015 SF
10.03 AC
DB1
Address
Land Use
TOTAL SIZE
Lot Size
Zoning
1.46 AC
C-G
Address
Land Use
TOTAL SIZE
Lot Size
Zoning
478,411 SF
4.07 AC
CDT
Address
Land Use
TOTAL SIZE
Lot Size
Zoning
199,472 SF
4.79 AC
C-DT
Address
Land Use
TOTAL SIZE
Lot Size
Zoning
152,199 SF
21.96 AC
C-G
Address
Land Use
TOTAL SIZE
Lot Size
Zoning
79,452 SF
37.59 AC
PF
Address
Land Use
TOTAL SIZE
Lot Size
Zoning
107,519 SF
9.96 AC
M-H
Address
Land Use
TOTAL SIZE
Lot Size
Zoning
169,128 SF
27.30 AC
R-9
Address
Land Use
TOTAL SIZE
Lot Size
Zoning
536,470 SF
28.81 AC
M-H
Address
Land Use
TOTAL SIZE
Lot Size
Zoning
205,331 SF
20.73 AC
C-G
Address
Land Use
TOTAL SIZE
Lot Size
Zoning
142,260 SF
17.92 AC
PF
Address
Land Use
TOTAL SIZE
Lot Size
Zoning
305,624 SF
18.53 AC
Address
Land Use
TOTAL SIZE
Lot Size
Zoning
126,164 SF
25.41 AC
C-G
Address
Land Use
TOTAL SIZE
Lot Size
Zoning
108,672 SF
1.59 AC
CDT
Address
Land Use
TOTAL SIZE
Lot Size
Zoning
65,192 SF
11.36 AC
C-G
Address
Land Use
TOTAL SIZE
Lot Size
Zoning
403,809 SF
9.68 AC
C-DT
Address
Land Use
TOTAL SIZE
Lot Size
Zoning
203,299 SF
3.63 AC
C-DT
Address
Land Use
TOTAL SIZE
Lot Size
Zoning
167,497 SF
12.08 AC
C-G
Address
Land Use
TOTAL SIZE
Lot Size
Zoning
103,086 SF
31.49 AC
PF
Address
Land Use
TOTAL SIZE
Lot Size
Zoning
113,276 SF
1.25 AC
C-DT
Address
Land Use
TOTAL SIZE
Lot Size
Zoning
180,910 SF
11.85 AC
M-H
Address
Land Use
TOTAL SIZE
Lot Size
Zoning
93,685 SF
2.60 AC
PEP
Address
Land Use
TOTAL SIZE
Lot Size
Zoning
918 SF
2.22 AC
R-TC
Address
Land Use
TOTAL SIZE
Lot Size
Zoning
89,043 SF
1.97 AC
M-H
Address
Land Use
TOTAL SIZE
Lot Size
Zoning
108,184 SF
11.95 AC
C-G
Address
Land Use
TOTAL SIZE
Lot Size
Zoning
189,043 SF
2.99 AC
M-H








