Property Record
2211 W White St, Anna, TX 75409
Property Detail
2211 W White St
Dallas-Fort Worth-Arlington, TX
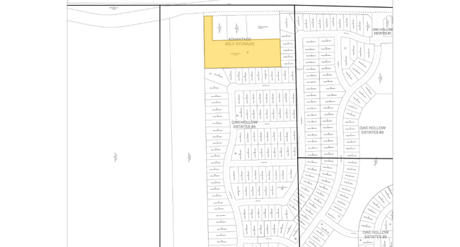
ADVANTAGE SELF STORAGE ADDITION, BLK A, LOT 2
R-9827-00A-0020-1
COLLIN
Commercialnec
Texas
B and X Area of moderate flood hazard, usually the area between the limits of the 100-year and 500-year floods.
2
2025
3.11 AC
2025
Outlying Collin County
030205
Dallas/Ft Worth
71,506 SF
DEMOGRAPHICS near 2211 W White St
1 mile
3 mile
5 mile
2025 Total Population
8,052
30,630
61,252
2030 Population
9,384
36,181
72,504
Pop Growth 2025-2030
+ 16.54%
+ 18.12%
+ 18.37%
Average Age
34
36
36
2025 Total Households
2,529
9,806
19,687
HH Growth 2025-2030
+ 16.81%
+ 18.46%
+ 18.66%
Median Household Inc
$108,324
$103,921
$116,838
Avg Household Size
3.10
3.10
3.10
2025 Avg HH Vehicles
2.00
2.00
2.00
Median Home Value
$360,698
$388,437
$445,768
Median Year Built
2010
2010
2010
Nearby Places
Map Layers
Listings with unknown addresses are not visible on the map
- Restaurants
- Banks
- Shops
- Fitness
- Groceries
Nearby Properties
Address
Land Use
TOTAL SIZE
Lot Size
Zoning
Address
Land Use
TOTAL SIZE
Lot Size
Zoning
475,965 SF
54.15 AC
Address
Land Use
TOTAL SIZE
Lot Size
Zoning
244,746 SF
34.90 AC
Address
Land Use
TOTAL SIZE
Lot Size
Zoning
346,948 SF
8.98 AC
Address
Land Use
TOTAL SIZE
Lot Size
Zoning
298,586 SF
13.37 AC
PD
Address
Land Use
TOTAL SIZE
Lot Size
Zoning
387,677 SF
19.54 AC
PD
Address
Land Use
TOTAL SIZE
Lot Size
Zoning
290,873 SF
49.62 AC
Address
Land Use
TOTAL SIZE
Lot Size
Zoning
285,566 SF
8.26 AC
PD
Address
Land Use
TOTAL SIZE
Lot Size
Zoning
92,004 SF
20 AC
Address
Land Use
TOTAL SIZE
Lot Size
Zoning
88,746 SF
11.62 AC
Address
Land Use
TOTAL SIZE
Lot Size
Zoning
201,496 SF
9.93 AC
PD
Address
Land Use
TOTAL SIZE
Lot Size
Zoning
55,025 SF
3.53 AC
C-1
Address
Land Use
TOTAL SIZE
Lot Size
Zoning
191,604 SF
18.53 AC
Address
Land Use
TOTAL SIZE
Lot Size
Zoning
81,220 SF
11.57 AC
EX
Address
Land Use
TOTAL SIZE
Lot Size
Zoning
86,757 SF
12 AC
Address
Land Use
TOTAL SIZE
Lot Size
Zoning
2,208 SF
215.93 AC
Address
Land Use
TOTAL SIZE
Lot Size
Zoning
106,270 SF
13.52 AC
Address
Land Use
TOTAL SIZE
Lot Size
Zoning
97,080 SF
15.78 AC
Address
Land Use
TOTAL SIZE
Lot Size
Zoning
129,946 SF
3.96 AC
Address
Land Use
TOTAL SIZE
Lot Size
Zoning
23,320 SF
3 AC
Address
Land Use
TOTAL SIZE
Lot Size
Zoning
84,055 SF
81.98 AC
COMM
Address
Land Use
TOTAL SIZE
Lot Size
Zoning
89.23 AC
PD
Address
Land Use
TOTAL SIZE
Lot Size
Zoning
193,645 SF
9.48 AC
MF-L
Address
Land Use
TOTAL SIZE
Lot Size
Zoning
44,113 SF
4.60 AC
Address
Land Use
TOTAL SIZE
Lot Size
Zoning
30,003 SF
2.87 AC
Address
Land Use
TOTAL SIZE
Lot Size
Zoning
137,056 SF
8.37 AC
Address
Land Use
TOTAL SIZE
Lot Size
Zoning
97.68 AC
Address
Land Use
TOTAL SIZE
Lot Size
Zoning
121.20 AC
AG
Address
Land Use
TOTAL SIZE
Lot Size
Zoning
13,886 SF
14.90 AC
Address
Land Use
TOTAL SIZE
Lot Size
Zoning
108.33 AC
PD







