Property Record
225 E Buena Vista Blvd, Washington, UT 84780
NEARBY LISTINGS FOR SALE OR LEASE
Property Detail
225 E Buena Vista Blvd
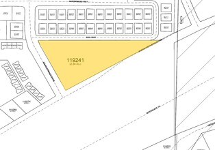
0119241
S: 11 T: 42S R: 15W BEG N0*3815 W 661.50 FT ALG 40 LN & N88*4415 E 537.32 FT FM SW COR S1/2 SE1/4 SW1/4 SEC 11 T42S R15W BEING ON ELY LN WARM SPRINGS DR: TH N88*4415 E 705.06 FT TO PT ON ARC 11659.20 FT RAD CUR (RAD BEARS S27*3528 E); TH SWLY 617.96
Commercialnec
Washington
X
Utah
49053C0794G
2.31 AC
2024
Cedar City & St George
2025
Other Market Areas
270802
St. George, UT
105,742 SF
DEMOGRAPHICS near 225 E Buena Vista Blvd
1 Mile
3 Mile
5 Mile
2024 Total Population
8,906
39,642
69,305
2029 Population
11,144
49,732
86,814
Pop Growth 2024-2029
+ 25.13%
+ 25.45%
+ 25.26%
Average Age
39
41
40
2024 Total Households
3,213
14,467
24,187
HH Growth 2024-2029
+ 26.24%
+ 26.56%
+ 26.20%
Median Household Inc
$77,593
$59,515
$59,629
Avg Household Size
2.70
2.70
2.70
2024 Avg HH Vehicles
2.00
2.00
2.00
Median Home Value
$414,752
$421,114
$440,307
Median Year Built
2004
2004
2004
Nearby Places
Map Layers
- Restaurants
- Banks
- Shops
- Fitness
- Groceries
PUBLIC TRANSPORTATION
AIRPORT
St George Regional
DRIVE
WALK
Distance
St George Regional
15 min
7.2 mi
Freight Ports
Port of Long Beach
DRIVE
WALK
Distance
Port of Long Beach
447 min
406.4 mi
SALE & LEASE HISTORY
LISTING DATE
SALE/LEASE
Nearby Properties
Address
Land Use
TOTAL SIZE
Lot Size
Zoning
Address
Land Use
TOTAL SIZE
Lot Size
Zoning
470 SF
11,422.06 AC
OSC20
Address
Land Use
TOTAL SIZE
Lot Size
Zoning
319,351 SF
31.39 AC
PD
Address
Land Use
TOTAL SIZE
Lot Size
Zoning
319,351 SF
31.39 AC
Address
Land Use
TOTAL SIZE
Lot Size
Zoning
1,319 SF
549.51 AC
Address
Land Use
TOTAL SIZE
Lot Size
Zoning
98,137 SF
13.19 AC
C-2
Address
Land Use
TOTAL SIZE
Lot Size
Zoning
230,880 SF
25.58 AC
C-2
Address
Land Use
TOTAL SIZE
Lot Size
Zoning
87,826 SF
37.27 AC
Address
Land Use
TOTAL SIZE
Lot Size
Zoning
97,572 SF
10.51 AC
PD
Address
Land Use
TOTAL SIZE
Lot Size
Zoning
86,875 SF
77.53 AC
Address
Land Use
TOTAL SIZE
Lot Size
Zoning
153,140 SF
17.17 AC
C-3
Address
Land Use
TOTAL SIZE
Lot Size
Zoning
72,862 SF
3.20 AC
Address
Land Use
TOTAL SIZE
Lot Size
Zoning
99,566 SF
5.64 AC
Address
Land Use
TOTAL SIZE
Lot Size
Zoning
137,662 SF
7.81 AC
PD
Address
Land Use
TOTAL SIZE
Lot Size
Zoning
111,865 SF
5 AC
M-2
Address
Land Use
TOTAL SIZE
Lot Size
Zoning
88,962 SF
8.35 AC
C-3
Address
Land Use
TOTAL SIZE
Lot Size
Zoning
115,050 SF
10.15 AC
C-2
Address
Land Use
TOTAL SIZE
Lot Size
Zoning
52,076 SF
4.81 AC
C-2
Address
Land Use
TOTAL SIZE
Lot Size
Zoning
31,955 SF
5.44 AC
C-2
Address
Land Use
TOTAL SIZE
Lot Size
Zoning
14,662 SF
31.24 AC
R110
Address
Land Use
TOTAL SIZE
Lot Size
Zoning
35,139 SF
3.85 AC
C-3
Address
Land Use
TOTAL SIZE
Lot Size
Zoning
188,536 SF
5.79 AC
M-2
Address
Land Use
TOTAL SIZE
Lot Size
Zoning
5,108 SF
19.79 AC
Address
Land Use
TOTAL SIZE
Lot Size
Zoning
35,680 SF
10.33 AC
Address
Land Use
TOTAL SIZE
Lot Size
Zoning
25,380 SF
2.09 AC
I
Address
Land Use
TOTAL SIZE
Lot Size
Zoning
103,829 SF
5.88 AC
I
Address
Land Use
TOTAL SIZE
Lot Size
Zoning
57,732 SF
6.48 AC
PD
Address
Land Use
TOTAL SIZE
Lot Size
Zoning
57,732 SF
6.48 AC
Address
Land Use
TOTAL SIZE
Lot Size
Zoning
8,116 SF
26.26 AC




