Property Record
2255 Campus Dr, El Segundo, CA 90245
Property Detail
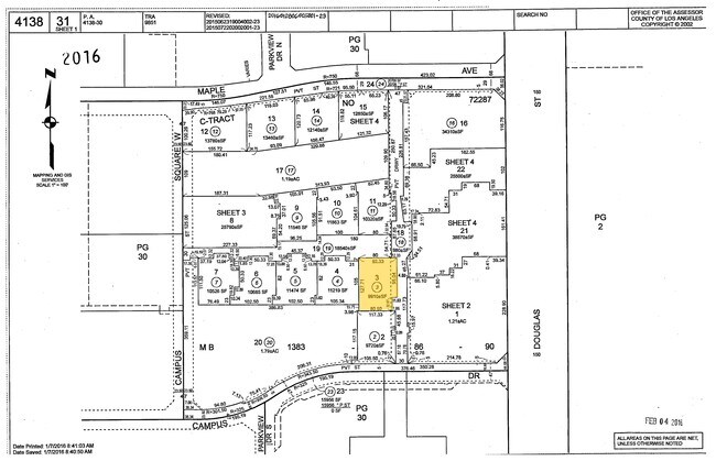
2255 Campus Dr
4138-031-002
TR=72287 LOT 2
Officebuilding
Los Angeles
ESM2YY
California
B and X Area of moderate flood hazard, usually the area between the limits of the 100-year and 500-year floods.
2
2024
0.27 AC
2025
El Segundo
980013
Los Angeles
15,760 SF
Los Angeles-Long Beach-Glendale, CA
NEARBY LISTINGS FOR SALE OR LEASE
DEMOGRAPHICS near 2255 Campus Dr
1 mile
3 mile
5 mile
2025 Total Population
7,643
209,058
563,363
2030 Population
7,615
207,263
559,300
Pop Growth 2025-2030
(0.37%)
(0.86%)
(0.72%)
Average Age
40
39
40
2025 Total Households
3,000
71,749
208,735
HH Growth 2025-2030
(0.53%)
(0.97%)
(0.85%)
Median Household Inc
$158,240
$92,874
$99,515
Avg Household Size
2.50
2.80
2.60
2025 Avg HH Vehicles
2.00
2.00
2.00
Median Home Value
$1,071,916
$1,033,020
$986,964
Median Year Built
1979
1962
1964
Nearby Places
Map Layers
Listings with unknown addresses are not visible on the map
- Restaurants
- Banks
- Shops
- Fitness
- Groceries
PUBLIC TRANSPORTATION
TRANSIT/SUBWAY
Mariposa/Nash Station (Green Line - Los Angeles County Metropolitan Transportation Authority (Metro))
Drive
Walk
Distance
Mariposa/Nash Station (Green Line - Los Angeles County Metropolitan Transportation Authority (Metro))
1 min
6 min
0.4 mi
El Segundo/Nash Station (Green Line - Los Angeles County Metropolitan Transportation Authority (Metro))
Drive
Walk
Distance
El Segundo/Nash Station (Green Line - Los Angeles County Metropolitan Transportation Authority (Metro))
2 min
15 min
0.8 mi
Aviation / Imperial Station (Metro C Line - Metro - Los Angeles)
Drive
Walk
Distance
Aviation / Imperial Station (Metro C Line - Metro - Los Angeles)
2 min
17 min
0.9 mi
AIRPORT
Los Angeles International
Drive
Walk
Distance
Los Angeles International
7 min
3.2 mi
Long Beach (Daugherty Field)
Drive
Walk
Distance
Long Beach (Daugherty Field)
24 min
17.2 mi
Bob Hope
Drive
Walk
Distance
Bob Hope
40 min
28.8 mi
Freight Ports
Port of Los Angeles
Drive
Walk
Distance
Port of Los Angeles
31 min
20.4 mi
SALE & LEASE HISTORY
LISTING DATE
SALE/LEASE
Nearby Properties
Address
Land Use
TOTAL SIZE
Lot Size
Zoning
Address
Land Use
TOTAL SIZE
Lot Size
Zoning
1,807,845 SF
7.28 AC
ESC3
Address
Land Use
TOTAL SIZE
Lot Size
Zoning
584,746 SF
20.38 AC
MNIP
Address
Land Use
TOTAL SIZE
Lot Size
Zoning
Address
Land Use
TOTAL SIZE
Lot Size
Zoning
Address
Land Use
TOTAL SIZE
Lot Size
Zoning
Address
Land Use
TOTAL SIZE
Lot Size
Zoning
Address
Land Use
TOTAL SIZE
Lot Size
Zoning
1,315,931 SF
3.36 AC
ESC3
Address
Land Use
TOTAL SIZE
Lot Size
Zoning
565,264 SF
5.95 AC
Address
Land Use
TOTAL SIZE
Lot Size
Zoning
337,106 SF
9.56 AC
ESCM*
Address
Land Use
TOTAL SIZE
Lot Size
Zoning
329,810 SF
2.21 AC
LAC2
Address
Land Use
TOTAL SIZE
Lot Size
Zoning
944,791 SF
22.53 AC
ESCM*
Address
Land Use
TOTAL SIZE
Lot Size
Zoning
421,934 SF
8.24 AC
ESCM
Address
Land Use
TOTAL SIZE
Lot Size
Zoning
459,058 SF
8.84 AC
ESC3*
Address
Land Use
TOTAL SIZE
Lot Size
Zoning
632,476 SF
10.56 AC
LAC2
Address
Land Use
TOTAL SIZE
Lot Size
Zoning
784,680 SF
18.28 AC
LAM1
Address
Land Use
TOTAL SIZE
Lot Size
Zoning
652,774 SF
3.60 AC
LAC2
Address
Land Use
TOTAL SIZE
Lot Size
Zoning
553,161 SF
21.61 AC
ESM2*
Address
Land Use
TOTAL SIZE
Lot Size
Zoning
718,086 SF
41.24 AC
RBI-1A
Address
Land Use
TOTAL SIZE
Lot Size
Zoning
418,131 SF
3.03 AC
LCC1
Address
Land Use
TOTAL SIZE
Lot Size
Zoning
793,455 SF
31.88 AC
ESM2*
Address
Land Use
TOTAL SIZE
Lot Size
Zoning
848,217 SF
36.09 AC
RBI-1A
Address
Land Use
TOTAL SIZE
Lot Size
Zoning
1,410,144 SF
6.35 AC
ESM2*
Address
Land Use
TOTAL SIZE
Lot Size
Zoning
189,244 SF
3.64 AC
ESCM*
Address
Land Use
TOTAL SIZE
Lot Size
Zoning
859,786 SF
4.82 AC
LAC2
Address
Land Use
TOTAL SIZE
Lot Size
Zoning
319,589 SF
5.13 AC
MNPD
Address
Land Use
TOTAL SIZE
Lot Size
Zoning
876,121 SF
9.03 AC
ESC3
Address
Land Use
TOTAL SIZE
Lot Size
Zoning
1,972,924 SF
ESCM*
Address
Land Use
TOTAL SIZE
Lot Size
Zoning
801,040 SF
5.69 AC
LAC2
Address
Land Use
TOTAL SIZE
Lot Size
Zoning
448,818 SF
2.69 AC
ESC3*







