Property Record
2301 Indian Wells Rd, Alamogordo, NM 88310
Property Detail
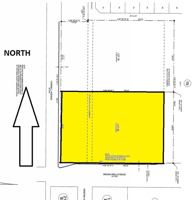
2301 Indian Wells Rd
R021942
SUBD: TAYS HEIGHTS 15-A REPLAT B LOT 2B
Realpropertynec
Otero
C-3
New Mexico
B and X Area of moderate flood hazard, usually the area between the limits of the 100-year and 500-year floods.
2b
2025
3.12 AC
2025
Las Cruces/Alamogordo
000304
Other Market Areas
20,889 SF
Alamogordo, NM
NEARBY LISTINGS FOR SALE OR LEASE
DEMOGRAPHICS near 2301 Indian Wells Rd
1 mile
3 mile
5 mile
2025 Total Population
7,513
24,377
31,609
2030 Population
7,486
24,457
31,810
Pop Growth 2025-2030
(0.36%)
+ 0.33%
+ 0.64%
Average Age
41
40
40
2025 Total Households
3,154
10,576
13,549
HH Growth 2025-2030
(0.48%)
+ 0.13%
+ 0.46%
Median Household Inc
$50,478
$50,686
$50,806
Avg Household Size
2.30
2.20
2.20
2025 Avg HH Vehicles
2.00
2.00
2.00
Median Home Value
$154,429
$169,374
$170,361
Median Year Built
1970
1973
1978
Nearby Places
Map Layers
Listings with unknown addresses are not visible on the map
- Restaurants
- Banks
- Shops
- Fitness
- Groceries
Nearby Properties
Address
Land Use
TOTAL SIZE
Lot Size
Zoning
Address
Land Use
TOTAL SIZE
Lot Size
Zoning
252,192 SF
21.50 AC
C-3
Address
Land Use
TOTAL SIZE
Lot Size
Zoning
5,378 SF
18.65 AC
C-3
Address
Land Use
TOTAL SIZE
Lot Size
Zoning
21,306 SF
8.85 AC
R-1
Address
Land Use
TOTAL SIZE
Lot Size
Zoning
33.74 AC
R-1
Address
Land Use
TOTAL SIZE
Lot Size
Zoning
366,561 SF
16.31 AC
C-3
Address
Land Use
TOTAL SIZE
Lot Size
Zoning
76,539 SF
8.24 AC
R-1
Address
Land Use
TOTAL SIZE
Lot Size
Zoning
211,757 SF
4.86 AC
Address
Land Use
TOTAL SIZE
Lot Size
Zoning
22,893 SF
2.18 AC
C-3
Address
Land Use
TOTAL SIZE
Lot Size
Zoning
48,176 SF
2.35 AC
C-3
Address
Land Use
TOTAL SIZE
Lot Size
Zoning
56,121 SF
1.81 AC
C-3
Address
Land Use
TOTAL SIZE
Lot Size
Zoning
102,439 SF
12.52 AC
R-2
Address
Land Use
TOTAL SIZE
Lot Size
Zoning
53,799 SF
3.97 AC
C-3
Address
Land Use
TOTAL SIZE
Lot Size
Zoning
42,104 SF
6.70 AC
C-3
Address
Land Use
TOTAL SIZE
Lot Size
Zoning
31,264 SF
4.75 AC
C-3
Address
Land Use
TOTAL SIZE
Lot Size
Zoning
28,510 SF
5.87 AC
C-3
Address
Land Use
TOTAL SIZE
Lot Size
Zoning
112,326 SF
11.14 AC
R-4
Address
Land Use
TOTAL SIZE
Lot Size
Zoning
32,430 SF
1.81 AC
C-3
Address
Land Use
TOTAL SIZE
Lot Size
Zoning
39,856 SF
1.97 AC
C-3
Address
Land Use
TOTAL SIZE
Lot Size
Zoning
34,589 SF
3.42 AC
C-3
Address
Land Use
TOTAL SIZE
Lot Size
Zoning
40,607 SF
3.06 AC
M-2
Address
Land Use
TOTAL SIZE
Lot Size
Zoning
32,278 SF
8.39 AC
Address
Land Use
TOTAL SIZE
Lot Size
Zoning
7,320 SF
5.74 AC
C-3
Address
Land Use
TOTAL SIZE
Lot Size
Zoning
54,880 SF
5.17 AC
C-3
Address
Land Use
TOTAL SIZE
Lot Size
Zoning
2,304 SF
4.19 AC
C-3
Address
Land Use
TOTAL SIZE
Lot Size
Zoning
56,021 SF
4.80 AC
C-3
Address
Land Use
TOTAL SIZE
Lot Size
Zoning
126,688 SF
19.62 AC
R-1
Address
Land Use
TOTAL SIZE
Lot Size
Zoning
1,064 SF
15.91 AC
Address
Land Use
TOTAL SIZE
Lot Size
Zoning
11,240 SF
125.04 AC
R-1
Address
Land Use
TOTAL SIZE
Lot Size
Zoning
4,768 SF
4 AC
R-1







