Property Record
2317 Cabrera Ave, San Bernardino, CA 92411
This Property Is For Sale
NEARBY LISTINGS FOR SALE OR LEASE
Property Detail
2317 Cabrera Ave
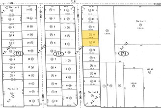
0148-174-21
TRACT 7458 LOT 17
Lightindustrial
San Bernardino
X
California
06071C7940J
17
2024
0.17 AC
2025
San Bernardino
004103
Inland Empire (California)
6,000 SF
Riverside-San Bernardino-Ontario, CA
DEMOGRAPHICS near 2317 Cabrera Ave
1 Mile
3 Mile
5 Mile
2024 Total Population
18,968
156,662
358,983
2029 Population
19,256
158,779
364,306
Pop Growth 2024-2029
+ 1.52%
+ 1.35%
+ 1.48%
Average Age
34
34
34
2024 Total Households
4,887
43,441
98,577
HH Growth 2024-2029
+ 1.53%
+ 1.42%
+ 1.52%
Median Household Inc
$55,488
$56,540
$61,544
Avg Household Size
3.70
3.50
3.50
2024 Avg HH Vehicles
2.00
2.00
2.00
Median Home Value
$286,336
$332,188
$352,384
Median Year Built
1959
1964
1969
Nearby Places
Map Layers
- Restaurants
- Banks
- Shops
- Fitness
- Groceries
PUBLIC TRANSPORTATION
COMMUTER RAIL
San Bernardino (Inland Empire-Orange County Line - Southern California Regional Rail Authority (Metrolink), San Bernardino Line - Southern California Regional Rail Authority (Metrolink))
DRIVE
WALK
Distance
San Bernardino (Inland Empire-Orange County Line - Southern California Regional Rail Authority (Metrolink), San Bernardino Line - Southern California Regional Rail Authority (Metrolink))
8 min
4.0 mi
DRIVE
WALK
Distance
9 min
4.4 mi
AIRPORT
Ontario International
DRIVE
WALK
Distance
Ontario International
31 min
20.7 mi
Freight Ports
Port of Long Beach
DRIVE
WALK
Distance
Port of Long Beach
89 min
72.2 mi
Nearby Properties
Address
Land Use
TOTAL SIZE
Lot Size
Zoning
Address
Land Use
TOTAL SIZE
Lot Size
Zoning
778,653 SF
19.31 AC
Address
Land Use
TOTAL SIZE
Lot Size
Zoning
379,299 SF
19.97 AC
Address
Land Use
TOTAL SIZE
Lot Size
Zoning
340,057 SF
14.43 AC
Address
Land Use
TOTAL SIZE
Lot Size
Zoning
206,244 SF
15.22 AC
Address
Land Use
TOTAL SIZE
Lot Size
Zoning
801,377 SF
20.81 AC
Address
Land Use
TOTAL SIZE
Lot Size
Zoning
214,534 SF
17.98 AC
Address
Land Use
TOTAL SIZE
Lot Size
Zoning
277,822 SF
13.65 AC
Address
Land Use
TOTAL SIZE
Lot Size
Zoning
354,108 SF
16.93 AC
Address
Land Use
TOTAL SIZE
Lot Size
Zoning
24.24 AC
Address
Land Use
TOTAL SIZE
Lot Size
Zoning
248,368 SF
19.34 AC
Address
Land Use
TOTAL SIZE
Lot Size
Zoning
272,408 SF
18.41 AC
Address
Land Use
TOTAL SIZE
Lot Size
Zoning
Address
Land Use
TOTAL SIZE
Lot Size
Zoning
152,714 SF
9.99 AC
Address
Land Use
TOTAL SIZE
Lot Size
Zoning
254,500 SF
11.58 AC
Address
Land Use
TOTAL SIZE
Lot Size
Zoning
150,200 SF
10.08 AC
Address
Land Use
TOTAL SIZE
Lot Size
Zoning
448,460 SF
24.10 AC
Address
Land Use
TOTAL SIZE
Lot Size
Zoning
55,432 SF
5.31 AC
Address
Land Use
TOTAL SIZE
Lot Size
Zoning
137,200 SF
10.07 AC
Address
Land Use
TOTAL SIZE
Lot Size
Zoning
135,000 SF
8.62 AC
Address
Land Use
TOTAL SIZE
Lot Size
Zoning
173,958 SF
4.88 AC
Address
Land Use
TOTAL SIZE
Lot Size
Zoning
138,474 SF
10.55 AC
Address
Land Use
TOTAL SIZE
Lot Size
Zoning
154,590 SF
7.12 AC
Address
Land Use
TOTAL SIZE
Lot Size
Zoning
217,418 SF
7.45 AC
Address
Land Use
TOTAL SIZE
Lot Size
Zoning
73,864 SF
5.44 AC
R1
Address
Land Use
TOTAL SIZE
Lot Size
Zoning
153,090 SF
9.52 AC
Address
Land Use
TOTAL SIZE
Lot Size
Zoning
60,384 SF
2.81 AC
Address
Land Use
TOTAL SIZE
Lot Size
Zoning
173,958 SF
4.20 AC
Address
Land Use
TOTAL SIZE
Lot Size
Zoning
173,958 SF
3.39 AC
Address
Land Use
TOTAL SIZE
Lot Size
Zoning
117,253 SF
7.39 AC
Address
Land Use
TOTAL SIZE
Lot Size
Zoning
161,734 SF
7.51 AC





