Property Record
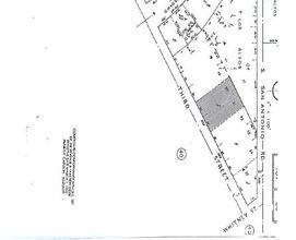
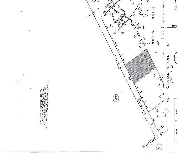
233 3Rd St, Los Altos, CA 94022
Property Detail
233 3Rd St
Storebuilding
SANTA CLARA
CRS
California
C and X Area of minimal flood hazard, usually depicted on FIRMs as above the 500-year flood level.
0.33 AC
2024
Los Altos
2025
South Bay/San Jose
510300
San Jose-Sunnyvale-Santa Clara, CA
6,722 SF
167-38-005
NEARBY LISTINGS FOR SALE OR LEASE
DEMOGRAPHICS near 233 3Rd St
1 mile
3 mile
5 mile
2025 Total Population
12,283
134,508
294,101
2030 Population
12,637
139,477
303,697
Pop Growth 2025-2030
+ 2.88%
+ 3.69%
+ 3.26%
Average Age
45
41
40
2025 Total Households
4,345
52,737
109,089
HH Growth 2025-2030
+ 2.90%
+ 3.80%
+ 3.42%
Median Household Inc
$243,536
$203,821
$196,004
Avg Household Size
2.80
2.50
2.50
2025 Avg HH Vehicles
2.00
2.00
2.00
Median Home Value
$1,141,483
$1,133,307
$1,134,240
Median Year Built
1964
1971
1971
Nearby Places
Map Layers
Listings with unknown addresses are not visible on the map
- Restaurants
- Banks
- Shops
- Fitness
- Groceries
PUBLIC TRANSPORTATION
COMMUTER RAIL
San Antonio Caltrain Station Southbound (Limited - Caltrain (Caltrain), Local Weekday - Caltrain (Caltrain), Local Weekend - Caltrain (Caltrain))
Drive
Walk
Distance
San Antonio Caltrain Station Southbound (Limited - Caltrain (Caltrain), Local Weekday - Caltrain (Caltrain), Local Weekend - Caltrain (Caltrain))
5 min
2.4 mi
Mountain View Caltrain Station Southbound (Express - Caltrain (Caltrain), Limited - Caltrain (Caltrain), Local Weekday - Caltrain (Caltrain), Local Weekend - Caltrain (Caltrain))
Drive
Walk
Distance
Mountain View Caltrain Station Southbound (Express - Caltrain (Caltrain), Limited - Caltrain (Caltrain), Local Weekday - Caltrain (Caltrain), Local Weekend - Caltrain (Caltrain))
9 min
3.2 mi
AIRPORT
Norman Y Mineta San Jose International
Drive
Walk
Distance
Norman Y Mineta San Jose International
21 min
12.5 mi
San Francisco International
Drive
Walk
Distance
San Francisco International
36 min
25.9 mi
Metro Oakland International
Drive
Walk
Distance
Metro Oakland International
49 min
34.6 mi
Freight Ports
Port of Redwood City
Drive
Walk
Distance
Port of Redwood City
21 min
12.7 mi
Nearby Properties
Address
Land Use
TOTAL SIZE
Lot Size
Zoning
Address
Land Use
TOTAL SIZE
Lot Size
Zoning
42.28 AC
PF
Address
Land Use
TOTAL SIZE
Lot Size
Zoning
0.33 AC
PF
Address
Land Use
TOTAL SIZE
Lot Size
Zoning
450,575 SF
3.73 AC
P(9)
Address
Land Use
TOTAL SIZE
Lot Size
Zoning
78,277 SF
16.31 AC
RP
Address
Land Use
TOTAL SIZE
Lot Size
Zoning
584,389 SF
5.25 AC
P(40)
Address
Land Use
TOTAL SIZE
Lot Size
Zoning
595,000 SF
7.42 AC
P(34)
Address
Land Use
TOTAL SIZE
Lot Size
Zoning
675,100 SF
52.78 AC
RP5
Address
Land Use
TOTAL SIZE
Lot Size
Zoning
233,124 SF
9.18 AC
P(7)
Address
Land Use
TOTAL SIZE
Lot Size
Zoning
458,842 SF
26.64 AC
RP5
Address
Land Use
TOTAL SIZE
Lot Size
Zoning
372,859 SF
4.71 AC
P
Address
Land Use
TOTAL SIZE
Lot Size
Zoning
298,463 SF
7 AC
P(19)
Address
Land Use
TOTAL SIZE
Lot Size
Zoning
640,105 SF
7.90 AC
R3-2*
Address
Land Use
TOTAL SIZE
Lot Size
Zoning
521,754 SF
46.72 AC
RP
Address
Land Use
TOTAL SIZE
Lot Size
Zoning
322,264 SF
3.92 AC
P
Address
Land Use
TOTAL SIZE
Lot Size
Zoning
208.82 AC
MV
Address
Land Use
TOTAL SIZE
Lot Size
Zoning
110,384 SF
10.17 AC
RP
Address
Land Use
TOTAL SIZE
Lot Size
Zoning
89,237 SF
5.51 AC
P(9)
Address
Land Use
TOTAL SIZE
Lot Size
Zoning
266,088 SF
16.20 AC
P(29)
Address
Land Use
TOTAL SIZE
Lot Size
Zoning
224,086 SF
10.80 AC
R3-1.
Address
Land Use
TOTAL SIZE
Lot Size
Zoning
2.90 AC
P(17)
Address
Land Use
TOTAL SIZE
Lot Size
Zoning
162,552 SF
9.78 AC
R3-2*
Address
Land Use
TOTAL SIZE
Lot Size
Zoning
129,678 SF
7.17 AC
LMS
Address
Land Use
TOTAL SIZE
Lot Size
Zoning
35,926 SF
6.50 AC
RP5
Address
Land Use
TOTAL SIZE
Lot Size
Zoning
96,579 SF
1.21 AC
P(19)
Address
Land Use
TOTAL SIZE
Lot Size
Zoning
111,443 SF
1.81 AC
ML
Address
Land Use
TOTAL SIZE
Lot Size
Zoning
186,490 SF
2.43 AC
CRA
Address
Land Use
TOTAL SIZE
Lot Size
Zoning
114,809 SF
3.94 AC
P18
Address
Land Use
TOTAL SIZE
Lot Size
Zoning
227,390 SF
2.28 AC
P(38)
Address
Land Use
TOTAL SIZE
Lot Size
Zoning
207,857 SF
16.34 AC
RP-5D
Address
Land Use
TOTAL SIZE
Lot Size
Zoning
299,882 SF
2.62 AC
P38







