Property Record
2333 Main St, Longmont, CO 80501
Property Detail
2333 Main St
Boulder, CO
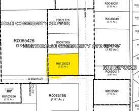
LOT 3 NORTHRIDGE COMMUNITY CENTER REPLAT C
1205272-24-003
Boulder
Commercialnec
Colorado
B and X Area of moderate flood hazard, usually the area between the limits of the 100-year and 500-year floods.
3
2024
0.83 AC
2025
Longmont
013306
Denver
7,920 SF
NEARBY LISTINGS FOR SALE OR LEASE
DEMOGRAPHICS near 2333 Main St
1 mile
3 mile
5 mile
2025 Total Population
13,549
68,117
98,105
2030 Population
13,465
67,727
98,367
Pop Growth 2025-2030
(0.62%)
(0.57%)
+ 0.27%
Average Age
41
42
41
2025 Total Households
5,356
27,467
39,326
HH Growth 2025-2030
(0.65%)
(0.55%)
+ 0.27%
Median Household Inc
$74,311
$82,517
$85,728
Avg Household Size
2.40
2.40
2.40
2025 Avg HH Vehicles
2.00
2.00
2.00
Median Home Value
$526,087
$621,416
$634,844
Median Year Built
1978
1982
1988
Nearby Places
Map Layers
Listings with unknown addresses are not visible on the map
- Restaurants
- Banks
- Shops
- Fitness
- Groceries
PUBLIC TRANSPORTATION
AIRPORT
Denver International
Drive
Walk
Distance
Denver International
55 min
46.5 mi
SALE & LEASE HISTORY
LISTING DATE
SALE/LEASE
Nearby Properties
Address
Land Use
TOTAL SIZE
Lot Size
Zoning
Address
Land Use
TOTAL SIZE
Lot Size
Zoning
266.80 AC
A
Address
Land Use
TOTAL SIZE
Lot Size
Zoning
1,504 SF
204.18 AC
A
Address
Land Use
TOTAL SIZE
Lot Size
Zoning
38.30 AC
Address
Land Use
TOTAL SIZE
Lot Size
Zoning
160.88 AC
A
Address
Land Use
TOTAL SIZE
Lot Size
Zoning
34,137 SF
19.99 AC
Address
Land Use
TOTAL SIZE
Lot Size
Zoning
291,901 SF
13.51 AC
Address
Land Use
TOTAL SIZE
Lot Size
Zoning
104.98 AC
A
Address
Land Use
TOTAL SIZE
Lot Size
Zoning
76.33 AC
A
Address
Land Use
TOTAL SIZE
Lot Size
Zoning
1,262 SF
76.75 AC
A
Address
Land Use
TOTAL SIZE
Lot Size
Zoning
74.32 AC
A
Address
Land Use
TOTAL SIZE
Lot Size
Zoning
33.81 AC
Address
Land Use
TOTAL SIZE
Lot Size
Zoning
85.36 AC
A
Address
Land Use
TOTAL SIZE
Lot Size
Zoning
37,865 SF
152.52 AC
A
Address
Land Use
TOTAL SIZE
Lot Size
Zoning
18.42 AC
Address
Land Use
TOTAL SIZE
Lot Size
Zoning
50.50 AC
A
Address
Land Use
TOTAL SIZE
Lot Size
Zoning
13.93 AC
Address
Land Use
TOTAL SIZE
Lot Size
Zoning
12.98 AC
Address
Land Use
TOTAL SIZE
Lot Size
Zoning
199,578 SF
12.94 AC
Address
Land Use
TOTAL SIZE
Lot Size
Zoning
167,821 SF
14.26 AC
Address
Land Use
TOTAL SIZE
Lot Size
Zoning
282,676 SF
12 AC
Address
Land Use
TOTAL SIZE
Lot Size
Zoning
158,402 SF
12.87 AC
Address
Land Use
TOTAL SIZE
Lot Size
Zoning
11.22 AC
Address
Land Use
TOTAL SIZE
Lot Size
Zoning
34.28 AC
A
Address
Land Use
TOTAL SIZE
Lot Size
Zoning
38.22 AC
A
Address
Land Use
TOTAL SIZE
Lot Size
Zoning
33.55 AC
Address
Land Use
TOTAL SIZE
Lot Size
Zoning
9.73 AC
Address
Land Use
TOTAL SIZE
Lot Size
Zoning
21.67 AC
Address
Land Use
TOTAL SIZE
Lot Size
Zoning
105,141 SF
11.80 AC
Address
Land Use
TOTAL SIZE
Lot Size
Zoning
44,880 SF
0.65 AC
Address
Land Use
TOTAL SIZE
Lot Size
Zoning
86,459 SF
3.19 AC








