Property Record
2355 Alisal Rd, Salinas, CA 93908
Property Detail
2355 Alisal Rd
Salinas, CA
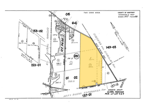
ASSRS MAP ALISAL RO POR LOTS A5 & 5 EXC POR TO CO FOR RD 593.511 AC
107-031-017-000
MONTEREY
Agriculturalland
California
AE The base floodplain where base flood elevations are provided. AE Zones are now used on new format FIRMs instead of A1-A30 Zones.
a5
2024
593.51 AC
2025
North Monterey County
010606
Salinas
5,452 SF
NEARBY LISTINGS FOR SALE OR LEASE
-
-
View all Salinas listings for sale on LoopNet.com
DEMOGRAPHICS near 2355 Alisal Rd
1 mile
3 mile
5 mile
2025 Total Population
49
745
61,952
2030 Population
45
698
60,942
Pop Growth 2025-2030
(8.16%)
(6.31%)
(1.63%)
Average Age
40
39
33
2025 Total Households
14
215
13,549
HH Growth 2025-2030
(7.14%)
(6.98%)
(2.03%)
Median Household Inc
$90,624
$94,117
$74,604
Avg Household Size
3.40
3.40
4.20
2025 Avg HH Vehicles
2.00
3.00
2.00
Median Home Value
$750,000
$738,095
$661,221
Median Year Built
1977
1977
1973
Nearby Places
Map Layers
Listings with unknown addresses are not visible on the map
- Restaurants
- Banks
- Shops
- Fitness
- Groceries
PUBLIC TRANSPORTATION
COMMUTER RAIL
Salinas (Coast Starlight - Amtrak)
Drive
Walk
Distance
Salinas (Coast Starlight - Amtrak)
16 min
7.0 mi
AIRPORT
Monterey Regional
Drive
Walk
Distance
Monterey Regional
34 min
21.6 mi
Freight Ports
Port of Redwood City
Drive
Walk
Distance
Port of Redwood City
109 min
87.1 mi
Nearby Properties
Address
Land Use
TOTAL SIZE
Lot Size
Zoning
Address
Land Use
TOTAL SIZE
Lot Size
Zoning
9,000 SF
101.61 AC
Address
Land Use
TOTAL SIZE
Lot Size
Zoning
40,750 SF
5 AC
Address
Land Use
TOTAL SIZE
Lot Size
Zoning
223.65 AC
Address
Land Use
TOTAL SIZE
Lot Size
Zoning
530.45 AC
Address
Land Use
TOTAL SIZE
Lot Size
Zoning
12.27 AC
Address
Land Use
TOTAL SIZE
Lot Size
Zoning
41,419 SF
2 AC
Address
Land Use
TOTAL SIZE
Lot Size
Zoning
161,075 SF
19.21 AC
Address
Land Use
TOTAL SIZE
Lot Size
Zoning
Address
Land Use
TOTAL SIZE
Lot Size
Zoning
85,189 SF
8.70 AC
Address
Land Use
TOTAL SIZE
Lot Size
Zoning
10.12 AC
Address
Land Use
TOTAL SIZE
Lot Size
Zoning
357.96 AC
Address
Land Use
TOTAL SIZE
Lot Size
Zoning
Address
Land Use
TOTAL SIZE
Lot Size
Zoning
54,750 SF
10.82 AC
Address
Land Use
TOTAL SIZE
Lot Size
Zoning
373.89 AC
Address
Land Use
TOTAL SIZE
Lot Size
Zoning
11.01 AC
Address
Land Use
TOTAL SIZE
Lot Size
Zoning
10.24 AC
Address
Land Use
TOTAL SIZE
Lot Size
Zoning
3,269 SF
114.32 AC
Address
Land Use
TOTAL SIZE
Lot Size
Zoning
Address
Land Use
TOTAL SIZE
Lot Size
Zoning
246,340 SF
10 AC
Address
Land Use
TOTAL SIZE
Lot Size
Zoning
9.82 AC
Address
Land Use
TOTAL SIZE
Lot Size
Zoning
21.73 AC
Address
Land Use
TOTAL SIZE
Lot Size
Zoning
1,730 SF
196.18 AC
Address
Land Use
TOTAL SIZE
Lot Size
Zoning
25,000 SF
2.07 AC
Address
Land Use
TOTAL SIZE
Lot Size
Zoning
113.15 AC
Address
Land Use
TOTAL SIZE
Lot Size
Zoning
9.90 AC
Address
Land Use
TOTAL SIZE
Lot Size
Zoning
87.80 AC
Address
Land Use
TOTAL SIZE
Lot Size
Zoning
193.64 AC






