Property Record
2358 E 13Th St, Yuma, AZ 85365
Property Detail
2358 E 13Th St
666-18-005
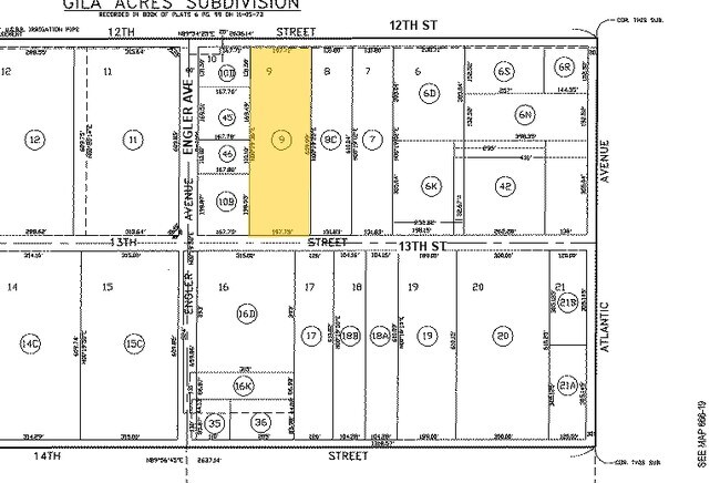
SUBDIVISION: GILA ACRES LOT: 9 SECTION: 26 TOWNSHIP: 08S RANGE: 23W
Autorepair
Yuma
LI
Arizona
C and X Area of minimal flood hazard, usually depicted on FIRMs as above the 500-year flood level.
9
2025
2.76 AC
2026
Yuma & El Centro
010913
Other Market Areas
7,011 SF
Yuma, AZ
NEARBY LISTINGS FOR SALE OR LEASE
DEMOGRAPHICS near 2358 E 13Th St
1 mile
3 mile
5 mile
2025 Total Population
617
42,781
97,938
2030 Population
662
46,102
105,486
Pop Growth 2025-2030
+ 7.29%
+ 7.76%
+ 7.71%
Average Age
38
38
38
2025 Total Households
213
15,992
35,428
HH Growth 2025-2030
+ 7.51%
+ 8.77%
+ 8.84%
Median Household Inc
$52,959
$52,487
$58,407
Avg Household Size
2.80
2.50
2.60
2025 Avg HH Vehicles
2.00
2.00
2.00
Median Home Value
$255,999
$194,815
$222,074
Median Year Built
1985
1977
1985
Nearby Places
Map Layers
Listings with unknown addresses are not visible on the map
- Restaurants
- Banks
- Shops
- Fitness
- Groceries
PUBLIC TRANSPORTATION
COMMUTER RAIL
Yuma Amtrak (Sunset Limited - Amtrak, Texas Eagle - Amtrak)
Drive
Walk
Distance
Yuma Amtrak (Sunset Limited - Amtrak, Texas Eagle - Amtrak)
6 min
2.5 mi
AIRPORT
Yuma International
Drive
Walk
Distance
Yuma International
11 min
4.8 mi
Freight Ports
Port of San Diego
Drive
Walk
Distance
Port of San Diego
194 min
173.6 mi
Nearby Properties
Address
Land Use
TOTAL SIZE
Lot Size
Zoning
Address
Land Use
TOTAL SIZE
Lot Size
Zoning
159,906 SF
3.19 AC
OT
Address
Land Use
TOTAL SIZE
Lot Size
Zoning
112,343 SF
3.13 AC
OT
Address
Land Use
TOTAL SIZE
Lot Size
Zoning
197,031 SF
28.76 AC
B-2
Address
Land Use
TOTAL SIZE
Lot Size
Zoning
206,107 SF
21.96 AC
B-2
Address
Land Use
TOTAL SIZE
Lot Size
Zoning
107,310 SF
4.37 AC
OT
Address
Land Use
TOTAL SIZE
Lot Size
Zoning
61,000 SF
36.50 AC
B-2
Address
Land Use
TOTAL SIZE
Lot Size
Zoning
42,529 SF
1.29 AC
OT
Address
Land Use
TOTAL SIZE
Lot Size
Zoning
15,815 SF
4.40 AC
LI
Address
Land Use
TOTAL SIZE
Lot Size
Zoning
407,940 SF
24.04 AC
HI
Address
Land Use
TOTAL SIZE
Lot Size
Zoning
51,586 SF
6.71 AC
B-2
Address
Land Use
TOTAL SIZE
Lot Size
Zoning
62,393 SF
2.83 AC
OT
Address
Land Use
TOTAL SIZE
Lot Size
Zoning
119,714 SF
6.75 AC
C-2
Address
Land Use
TOTAL SIZE
Lot Size
Zoning
95,263 SF
5.46 AC
B-2
Address
Land Use
TOTAL SIZE
Lot Size
Zoning
114,420 SF
6.13 AC
B-2
Address
Land Use
TOTAL SIZE
Lot Size
Zoning
50,918 SF
3.85 AC
TR
Address
Land Use
TOTAL SIZE
Lot Size
Zoning
141,161 SF
11.18 AC
B-2
Address
Land Use
TOTAL SIZE
Lot Size
Zoning
77,301 SF
2.25 AC
B-2
Address
Land Use
TOTAL SIZE
Lot Size
Zoning
132,480 SF
23.73 AC
LI
Address
Land Use
TOTAL SIZE
Lot Size
Zoning
157,234 SF
5.71 AC
R-1-6
Address
Land Use
TOTAL SIZE
Lot Size
Zoning
68,961 SF
3.23 AC
B-2
Address
Land Use
TOTAL SIZE
Lot Size
Zoning
168,098 SF
8.77 AC
R-3
Address
Land Use
TOTAL SIZE
Lot Size
Zoning
66,490 SF
2.85 AC
Address
Land Use
TOTAL SIZE
Lot Size
Zoning
302,392 SF
16.80 AC
R-3
Address
Land Use
TOTAL SIZE
Lot Size
Zoning
33,765 SF
2.81 AC
B-2
Address
Land Use
TOTAL SIZE
Lot Size
Zoning
90,280 SF
2.98 AC
B-2
Address
Land Use
TOTAL SIZE
Lot Size
Zoning
133,196 SF
14.75 AC
B-2
Address
Land Use
TOTAL SIZE
Lot Size
Zoning
56,885 SF
22.04 AC
R-1-6
Address
Land Use
TOTAL SIZE
Lot Size
Zoning
96,278 SF
9.71 AC
B-1
Address
Land Use
TOTAL SIZE
Lot Size
Zoning
69,315 SF
22.47 AC
LI







