Property Record
24586 Lerdo Hwy, Buttonwillow, CA 93206
Property Detail
24586 Lerdo Hwy
Bakersfield-Delano, CA
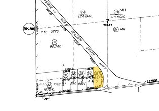
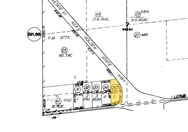
PARCEL MAP 9534 , LOT 5
087-080-35-00-9
KERN
Servicestationmarket
California
C2
5
B and X Area of moderate flood hazard, usually the area between the limits of the 100-year and 500-year floods.
6.67 AC
2024
NW Outlying Kern County
2025
Bakersfield
004500
DEMOGRAPHICS near 24586 Lerdo Hwy
1 mile
3 mile
5 mile
2025 Total Population
12
49
212
2030 Population
12
49
213
Pop Growth 2025-2030
0.00%
0.00%
+ 0.47%
Average Age
27
31
34
2025 Total Households
3
12
56
HH Growth 2025-2030
0.00%
0.00%
+ 1.79%
Median Household Inc
$87,500
$59,999
$69,374
Avg Household Size
4.50
4.00
3.80
2025 Avg HH Vehicles
2.00
2.00
2.00
Median Home Value
$0
$374,999
$392,856
Median Year Built
1949
1974
1971
Nearby Places
Map Layers
Listings with unknown addresses are not visible on the map
- Restaurants
- Banks
- Shops
- Fitness
- Groceries
PUBLIC TRANSPORTATION
AIRPORT
Meadows Field
Drive
Walk
Distance
Meadows Field
45 min
30.3 mi
Freight Ports
The Port of Hueneme
Drive
Walk
Distance
The Port of Hueneme
174 min
143.6 mi
Nearby Properties
Address
Land Use
TOTAL SIZE
Lot Size
Zoning
Address
Land Use
TOTAL SIZE
Lot Size
Zoning
51,072 SF
158.65 AC
A
Address
Land Use
TOTAL SIZE
Lot Size
Zoning
229.39 AC
A
Address
Land Use
TOTAL SIZE
Lot Size
Zoning
310.80 AC
A
Address
Land Use
TOTAL SIZE
Lot Size
Zoning
2,500 SF
169.20 AC
Address
Land Use
TOTAL SIZE
Lot Size
Zoning
229.08 AC
A
Address
Land Use
TOTAL SIZE
Lot Size
Zoning
164.36 AC
Address
Land Use
TOTAL SIZE
Lot Size
Zoning
258.73 AC
A
Address
Land Use
TOTAL SIZE
Lot Size
Zoning
156.35 AC
A1
Address
Land Use
TOTAL SIZE
Lot Size
Zoning
134.73 AC
A
Address
Land Use
TOTAL SIZE
Lot Size
Zoning
542.72 AC
A
Address
Land Use
TOTAL SIZE
Lot Size
Zoning
141.85 AC
A
Address
Land Use
TOTAL SIZE
Lot Size
Zoning
12,478 SF
18.76 AC
C-2
Address
Land Use
TOTAL SIZE
Lot Size
Zoning
837 SF
226.90 AC
A
Address
Land Use
TOTAL SIZE
Lot Size
Zoning
6.46 AC
C-2 PD
Address
Land Use
TOTAL SIZE
Lot Size
Zoning
109.04 AC
A
Address
Land Use
TOTAL SIZE
Lot Size
Zoning
90.70 AC
A
Address
Land Use
TOTAL SIZE
Lot Size
Zoning
3,540 SF
1.15 AC
C2
Address
Land Use
TOTAL SIZE
Lot Size
Zoning
39.23 AC
A
Address
Land Use
TOTAL SIZE
Lot Size
Zoning
36.06 AC
A
Address
Land Use
TOTAL SIZE
Lot Size
Zoning
2,376 SF
79.97 AC
A
Address
Land Use
TOTAL SIZE
Lot Size
Zoning
124.31 AC
A
Address
Land Use
TOTAL SIZE
Lot Size
Zoning
52 AC
A
Address
Land Use
TOTAL SIZE
Lot Size
Zoning
5.85 AC
A







