Property Record
260 Mountain View Ave, Myrtle Creek, OR 97457
Property Detail
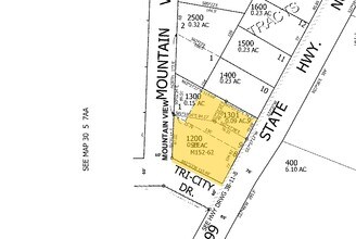
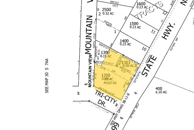
260 Mountain View Ave
R31558
MIDWAY TRACTS, BLOCK 5, LOT 8: PTS 1 & 9, ACRES 0.31
Commercialnec
Douglas
C2
Oregon
B and X Area of moderate flood hazard, usually the area between the limits of the 100-year and 500-year floods.
8
2025
0.31 AC
2025
Other Market Areas
190000
Roseburg, OR
800 SF
NEARBY LISTINGS FOR SALE OR LEASE
-
-
View all Myrtle Creek listings for sale on LoopNet.com
DEMOGRAPHICS near 260 Mountain View Ave
1 mile
3 mile
5 mile
2025 Total Population
2,406
6,352
12,990
2030 Population
2,452
6,408
13,027
Pop Growth 2025-2030
+ 1.91%
+ 0.88%
+ 0.28%
Average Age
44
45
45
2025 Total Households
957
2,602
5,312
HH Growth 2025-2030
+ 1.88%
+ 0.92%
+ 0.30%
Median Household Inc
$52,120
$45,214
$47,510
Avg Household Size
2.50
2.40
2.40
2025 Avg HH Vehicles
2.00
2.00
2.00
Median Home Value
$273,724
$269,019
$274,004
Median Year Built
1989
1978
1976
Nearby Places
Map Layers
Listings with unknown addresses are not visible on the map
- Restaurants
- Banks
- Shops
- Fitness
- Groceries
Nearby Properties
Address
Land Use
TOTAL SIZE
Lot Size
Zoning
Address
Land Use
TOTAL SIZE
Lot Size
Zoning
6,473 SF
2.07 AC
R-3
Address
Land Use
TOTAL SIZE
Lot Size
Zoning
4,785 SF
1.60 AC
C2
Address
Land Use
TOTAL SIZE
Lot Size
Zoning
25.58 AC
PR
Address
Land Use
TOTAL SIZE
Lot Size
Zoning
3,504 SF
4.90 AC
P
Address
Land Use
TOTAL SIZE
Lot Size
Zoning
50,049 SF
6.52 AC
C2
Address
Land Use
TOTAL SIZE
Lot Size
Zoning
12.52 AC
M3
Address
Land Use
TOTAL SIZE
Lot Size
Zoning
8.76 AC
F2
Address
Land Use
TOTAL SIZE
Lot Size
Zoning
56,505 SF
5.85 AC
C-3
Address
Land Use
TOTAL SIZE
Lot Size
Zoning
98,892 SF
11.13 AC
M2
Address
Land Use
TOTAL SIZE
Lot Size
Zoning
28.09 AC
ME
Address
Land Use
TOTAL SIZE
Lot Size
Zoning
33.70 AC
ME
Address
Land Use
TOTAL SIZE
Lot Size
Zoning
30,135 SF
1.97 AC
C-3
Address
Land Use
TOTAL SIZE
Lot Size
Zoning
9.27 AC
P
Address
Land Use
TOTAL SIZE
Lot Size
Zoning
512 SF
59.03 AC
SD/CS
Address
Land Use
TOTAL SIZE
Lot Size
Zoning
20,264 SF
2.22 AC
C-3
Address
Land Use
TOTAL SIZE
Lot Size
Zoning
33,052 SF
3.41 AC
R-3
Address
Land Use
TOTAL SIZE
Lot Size
Zoning
28 AC
PR
Address
Land Use
TOTAL SIZE
Lot Size
Zoning
12,520 SF
5 AC
M3
Address
Land Use
TOTAL SIZE
Lot Size
Zoning
6,063 SF
1 AC
C-3
Address
Land Use
TOTAL SIZE
Lot Size
Zoning
12,448 SF
2.63 AC
C2
Address
Land Use
TOTAL SIZE
Lot Size
Zoning
17.49 AC
ME
Address
Land Use
TOTAL SIZE
Lot Size
Zoning
16.72 AC
ME
Address
Land Use
TOTAL SIZE
Lot Size
Zoning
24,000 SF
1.93 AC
C2
Address
Land Use
TOTAL SIZE
Lot Size
Zoning
37,500 SF
10 AC
M3
Address
Land Use
TOTAL SIZE
Lot Size
Zoning
9,100 SF
1.08 AC
M2
Address
Land Use
TOTAL SIZE
Lot Size
Zoning
0.02 AC
C2
Address
Land Use
TOTAL SIZE
Lot Size
Zoning
8.86 AC
ME
Address
Land Use
TOTAL SIZE
Lot Size
Zoning
Address
Land Use
TOTAL SIZE
Lot Size
Zoning
3,308 SF
1.68 AC
CT
Address
Land Use
TOTAL SIZE
Lot Size
Zoning
3,883 SF
1.43 AC
CT






