Property Record
269 80Th St, Brooklyn, NY 11209
Property Detail
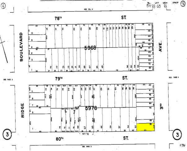
269 80Th St
05978-0050
DOCID-2020061500881001
Apartment
Kings
R6B
New York
B and X Area of moderate flood hazard, usually the area between the limits of the 100-year and 500-year floods.
50
2025
0.08 AC
2026
Bay Ridge
006400
Long Island (New York)
11,600 SF
New York-Jersey City-White Plains, NY-NJ
NEARBY LISTINGS FOR SALE OR LEASE
DEMOGRAPHICS near 269 80Th St
1 mile
3 mile
5 mile
2025 Total Population
95,836
550,636
1,513,491
2030 Population
93,624
533,301
1,498,592
Pop Growth 2025-2030
(2.31%)
(3.15%)
(0.98%)
Average Age
43
39
40
2025 Total Households
37,925
177,353
543,571
HH Growth 2025-2030
(2.31%)
(3.36%)
(1.06%)
Median Household Inc
$88,104
$69,675
$82,246
Avg Household Size
2.40
2.90
2.60
2025 Avg HH Vehicles
1.00
1.00
1.00
Median Home Value
$994,976
$971,891
$908,053
Median Year Built
1946
1947
1948
Nearby Places
Map Layers
Listings with unknown addresses are not visible on the map
- Restaurants
- Banks
- Shops
- Fitness
- Groceries
PUBLIC TRANSPORTATION
TRANSIT/SUBWAY
77 Street (R Line) (R - New York MTA Subway (The Subway))
Drive
Walk
Distance
77 Street (R Line) (R - New York MTA Subway (The Subway))
2 min
7 min
0.4 mi
86 Street (R Line) (R - New York MTA Subway (The Subway))
Drive
Walk
Distance
86 Street (R Line) (R - New York MTA Subway (The Subway))
2 min
9 min
0.4 mi
Bay Ridge Avenue (R - New York MTA Subway (The Subway))
Drive
Walk
Distance
Bay Ridge Avenue (R - New York MTA Subway (The Subway))
3 min
14 min
0.7 mi
Bay Ridge-95 Street (R - New York MTA Subway (The Subway))
Drive
Walk
Distance
Bay Ridge-95 Street (R - New York MTA Subway (The Subway))
4 min
18 min
0.9 mi
COMMUTER RAIL
Grasmere (Staten Island Railway - New York MTA Subway (The Subway))
Drive
Walk
Distance
Grasmere (Staten Island Railway - New York MTA Subway (The Subway))
12 min
5.2 mi
Clifton (Staten Island Railway - New York MTA Subway (The Subway))
Drive
Walk
Distance
Clifton (Staten Island Railway - New York MTA Subway (The Subway))
12 min
5.7 mi
AIRPORT
LaGuardia
Drive
Walk
Distance
LaGuardia
30 min
16.1 mi
Newark Liberty International
Drive
Walk
Distance
Newark Liberty International
33 min
20.3 mi
John F Kennedy International
Drive
Walk
Distance
John F Kennedy International
31 min
20.9 mi
Freight Ports
NY - Red Hook Container Terminal
Drive
Walk
Distance
NY - Red Hook Container Terminal
10 min
5.0 mi
Nearby Properties
Address
Land Use
TOTAL SIZE
Lot Size
Zoning
Address
Land Use
TOTAL SIZE
Lot Size
Zoning
92,440 SF
466.23 AC
R5
Address
Land Use
TOTAL SIZE
Lot Size
Zoning
1,524,659 SF
170.96 AC
R4
Address
Land Use
TOTAL SIZE
Lot Size
Zoning
902,000 SF
3.21 AC
M3-1
Address
Land Use
TOTAL SIZE
Lot Size
Zoning
965,600 SF
6.65 AC
R5
Address
Land Use
TOTAL SIZE
Lot Size
Zoning
460,000 SF
3.21 AC
R6
Address
Land Use
TOTAL SIZE
Lot Size
Zoning
335,800 SF
1.51 AC
R6
Address
Land Use
TOTAL SIZE
Lot Size
Zoning
1,324,592 SF
5.13 AC
M3-1
Address
Land Use
TOTAL SIZE
Lot Size
Zoning
397,354 SF
0.61 AC
C5-2
Address
Land Use
TOTAL SIZE
Lot Size
Zoning
236,591 SF
207.66 AC
R3-2
Address
Land Use
TOTAL SIZE
Lot Size
Zoning
5,359,400 SF
59.07 AC
M2-1
Address
Land Use
TOTAL SIZE
Lot Size
Zoning
286,000 SF
12.63 AC
PARK
Address
Land Use
TOTAL SIZE
Lot Size
Zoning
689,850 SF
3.08 AC
M3-1
Address
Land Use
TOTAL SIZE
Lot Size
Zoning
301,400 SF
22.27 AC
M3-1
Address
Land Use
TOTAL SIZE
Lot Size
Zoning
222,265 SF
0.74 AC
R6
Address
Land Use
TOTAL SIZE
Lot Size
Zoning
673,895 SF
3.22 AC
M3-1
Address
Land Use
TOTAL SIZE
Lot Size
Zoning
1,112,855 SF
3.52 AC
M3-1
Address
Land Use
TOTAL SIZE
Lot Size
Zoning
139,557 SF
11.47 AC
M1-1
Address
Land Use
TOTAL SIZE
Lot Size
Zoning
492,962 SF
8.12 AC
M1-1
Address
Land Use
TOTAL SIZE
Lot Size
Zoning
623,117 SF
4.16 AC
M3-1
Address
Land Use
TOTAL SIZE
Lot Size
Zoning
534,115 SF
3.21 AC
M3-1
Address
Land Use
TOTAL SIZE
Lot Size
Zoning
326,894 SF
86.37 AC
M3-1
Address
Land Use
TOTAL SIZE
Lot Size
Zoning
171,591 SF
0.14 AC
C5-2
Address
Land Use
TOTAL SIZE
Lot Size
Zoning
581,250 SF
3.22 AC
M3-1
Address
Land Use
TOTAL SIZE
Lot Size
Zoning
61,215 SF
0.32 AC
C64M
Address
Land Use
TOTAL SIZE
Lot Size
Zoning
183,215 SF
3.47 AC
C4-2
Address
Land Use
TOTAL SIZE
Lot Size
Zoning
292,528 SF
1.05 AC
R6
Address
Land Use
TOTAL SIZE
Lot Size
Zoning
152,440 SF
23.07 AC
R4B
Address
Land Use
TOTAL SIZE
Lot Size
Zoning
287,761 SF
1.10 AC
M3-1
Address
Land Use
TOTAL SIZE
Lot Size
Zoning
43,068 SF
216.83 AC
PARK
Address
Land Use
TOTAL SIZE
Lot Size
Zoning
195,084 SF
1.11 AC
M12D







