Property Record
27160 Eucalyptus Ave, Moreno Valley, CA 92555
Property Detail
27160 Eucalyptus Ave
Riverside-San Bernardino-Ontario, CA
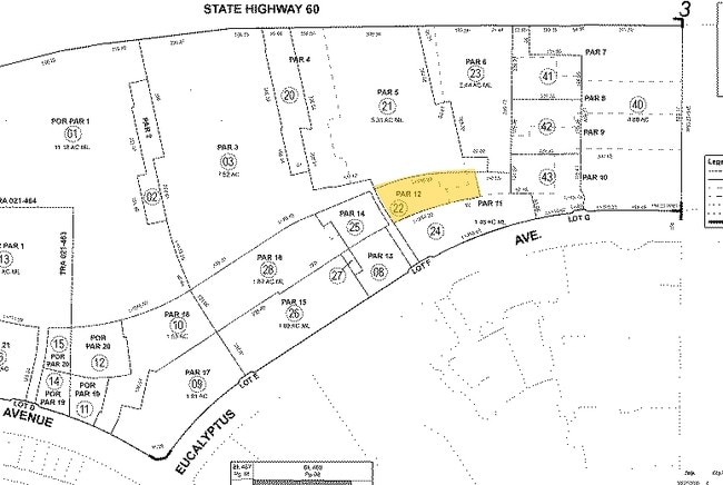
.78 ACRES M/L IN POR PARS 5 & 6 AND PAR 12 PM 217/067 PM 34411
488-400-022
RIVERSIDE
Autorepair
California
B and X Area of moderate flood hazard, usually the area between the limits of the 100-year and 500-year floods.
5,6
2024
0.78 AC
2025
Moreno Valley/Perris
042622
Inland Empire (California)
3,438 SF
NEARBY LISTINGS FOR SALE OR LEASE
DEMOGRAPHICS near 27160 Eucalyptus Ave
1 mile
3 mile
5 mile
2025 Total Population
7,743
77,414
189,440
2030 Population
7,937
79,184
193,370
Pop Growth 2025-2030
+ 2.51%
+ 2.29%
+ 2.07%
Average Age
36
36
35
2025 Total Households
2,180
20,046
49,568
HH Growth 2025-2030
+ 2.11%
+ 1.84%
+ 1.66%
Median Household Inc
$113,225
$97,204
$89,944
Avg Household Size
3.40
3.70
3.70
2025 Avg HH Vehicles
3.00
3.00
3.00
Median Home Value
$672,065
$575,805
$523,415
Median Year Built
2002
1988
1987
Nearby Places
Map Layers
Listings with unknown addresses are not visible on the map
- Restaurants
- Banks
- Shops
- Fitness
- Groceries
PUBLIC TRANSPORTATION
COMMUTER RAIL
Drive
Walk
Distance
14 min
9.6 mi
AIRPORT
Ontario International
Drive
Walk
Distance
Ontario International
38 min
29.1 mi
SALE & LEASE HISTORY
LISTING DATE
SALE/LEASE
Nearby Properties
Address
Land Use
TOTAL SIZE
Lot Size
Zoning
Address
Land Use
TOTAL SIZE
Lot Size
Zoning
806,932 SF
33.15 AC
Address
Land Use
TOTAL SIZE
Lot Size
Zoning
1,821,634 SF
82.54 AC
Address
Land Use
TOTAL SIZE
Lot Size
Zoning
253,176 SF
19.68 AC
Address
Land Use
TOTAL SIZE
Lot Size
Zoning
800,430 SF
49.90 AC
Address
Land Use
TOTAL SIZE
Lot Size
Zoning
788,048 SF
38.63 AC
Address
Land Use
TOTAL SIZE
Lot Size
Zoning
74,096 SF
10.76 AC
SP218
Address
Land Use
TOTAL SIZE
Lot Size
Zoning
34,691 SF
25.86 AC
C
Address
Land Use
TOTAL SIZE
Lot Size
Zoning
337,740 SF
15.73 AC
Address
Land Use
TOTAL SIZE
Lot Size
Zoning
41,521 SF
13.43 AC
C
Address
Land Use
TOTAL SIZE
Lot Size
Zoning
170,192 SF
10.42 AC
CC
Address
Land Use
TOTAL SIZE
Lot Size
Zoning
126,104 SF
7.73 AC
CC
Address
Land Use
TOTAL SIZE
Lot Size
Zoning
171,328 SF
10.29 AC
C
Address
Land Use
TOTAL SIZE
Lot Size
Zoning
73,760 SF
10.14 AC
Address
Land Use
TOTAL SIZE
Lot Size
Zoning
223,637 SF
20.68 AC
Address
Land Use
TOTAL SIZE
Lot Size
Zoning
185,055 SF
9.48 AC
Address
Land Use
TOTAL SIZE
Lot Size
Zoning
78,848 SF
9.77 AC
CC
Address
Land Use
TOTAL SIZE
Lot Size
Zoning
163,156 SF
8.51 AC
Address
Land Use
TOTAL SIZE
Lot Size
Zoning
43,080 SF
21.89 AC
Address
Land Use
TOTAL SIZE
Lot Size
Zoning
178,665 SF
11.18 AC
Address
Land Use
TOTAL SIZE
Lot Size
Zoning
117,130 SF
6.26 AC
Address
Land Use
TOTAL SIZE
Lot Size
Zoning
73,400 SF
7.33 AC
R15
Address
Land Use
TOTAL SIZE
Lot Size
Zoning
44,966 SF
3.16 AC
Address
Land Use
TOTAL SIZE
Lot Size
Zoning
58,893 SF
2.14 AC
CC
Address
Land Use
TOTAL SIZE
Lot Size
Zoning
96,058 SF
7.52 AC
Address
Land Use
TOTAL SIZE
Lot Size
Zoning
53,348 SF
6.78 AC
R3
Address
Land Use
TOTAL SIZE
Lot Size
Zoning
94,420 SF
5.73 AC
Address
Land Use
TOTAL SIZE
Lot Size
Zoning
49,264 SF
6.78 AC







