Property Record
2802 Rector St, Dallas, TX 75203
Property Detail
2802 Rector St
00000766969000000
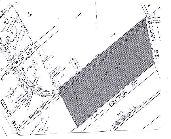
LOT 3 625.7X321.93X63.67X255.18 RECTOR 846.95FR KIEST X403.05X315 INT202200310392 DD12012022 CO-DC 7713 000 00300 2007713 000
Warehouse
DALLAS
Z116
Texas
AE The base floodplain where base flood elevations are provided. AE Zones are now used on new format FIRMs instead of A1-A30 Zones.
3
0
4.87 AC
2025
SE Dallas/I-45
021100
Dallas/Ft Worth
77,548 SF
Dallas-Fort Worth-Arlington, TX
NEARBY LISTINGS FOR SALE OR LEASE
DEMOGRAPHICS near 2802 Rector St
1 mile
3 mile
5 mile
2025 Total Population
4,681
103,019
342,121
2030 Population
4,877
107,985
357,121
Pop Growth 2025-2030
+ 4.19%
+ 4.82%
+ 4.38%
Average Age
37
36
36
2025 Total Households
1,640
37,355
138,993
HH Growth 2025-2030
+ 4.15%
+ 5.06%
+ 4.80%
Median Household Inc
$43,562
$50,558
$66,180
Avg Household Size
2.70
2.60
2.30
2025 Avg HH Vehicles
2.00
2.00
2.00
Median Home Value
$186,380
$194,728
$260,007
Median Year Built
1956
1966
1979
Nearby Places
Map Layers
Listings with unknown addresses are not visible on the map
- Restaurants
- Banks
- Shops
- Fitness
- Groceries
PUBLIC TRANSPORTATION
COMMUTER RAIL
Victory Station (DART LIGHT RAIL - GREEN LINE - Dallas Area Rapid Transit (DART), DART LIGHT RAIL - ORANGE LINE - Dallas Area Rapid Transit (DART), TRINITY RAILWAY - Dallas Area Rapid Transit (DART))
Drive
Walk
Distance
Victory Station (DART LIGHT RAIL - GREEN LINE - Dallas Area Rapid Transit (DART), DART LIGHT RAIL - ORANGE LINE - Dallas Area Rapid Transit (DART), TRINITY RAILWAY - Dallas Area Rapid Transit (DART))
10 min
5.4 mi
Medical/Market Ctr Station (TRINITY RAILWAY - Dallas Area Rapid Transit (DART))
Drive
Walk
Distance
Medical/Market Ctr Station (TRINITY RAILWAY - Dallas Area Rapid Transit (DART))
14 min
8.0 mi
AIRPORT
Dallas Love Field
Drive
Walk
Distance
Dallas Love Field
20 min
10.4 mi
Dallas-Fort Worth International
Drive
Walk
Distance
Dallas-Fort Worth International
34 min
24.5 mi
Freight Ports
Port of Shreveport
Drive
Walk
Distance
Port of Shreveport
216 min
198.7 mi
Nearby Properties
Address
Land Use
TOTAL SIZE
Lot Size
Zoning
Address
Land Use
TOTAL SIZE
Lot Size
Zoning
1,298,826 SF
33.16 AC
Z163
Address
Land Use
TOTAL SIZE
Lot Size
Zoning
1,308,710 SF
8.42 AC
Z21
Address
Land Use
TOTAL SIZE
Lot Size
Zoning
26,896 SF
3.56 AC
Z239
Address
Land Use
TOTAL SIZE
Lot Size
Zoning
698.53 AC
Z46
Address
Land Use
TOTAL SIZE
Lot Size
Zoning
179,370 SF
13.18 AC
Z248
Address
Land Use
TOTAL SIZE
Lot Size
Zoning
452,834 SF
2.76 AC
Z21
Address
Land Use
TOTAL SIZE
Lot Size
Zoning
381,448 SF
19.99 AC
Z151
Address
Land Use
TOTAL SIZE
Lot Size
Zoning
458,874 SF
4.71 AC
Z239
Address
Land Use
TOTAL SIZE
Lot Size
Zoning
512,824 SF
0.47 AC
Z21
Address
Land Use
TOTAL SIZE
Lot Size
Zoning
513,833 SF
0.17 AC
Z59
Address
Land Use
TOTAL SIZE
Lot Size
Zoning
339,086 SF
4.35 AC
Z163
Address
Land Use
TOTAL SIZE
Lot Size
Zoning
512,628 SF
2.72 AC
Z239
Address
Land Use
TOTAL SIZE
Lot Size
Zoning
213,616 SF
16.31 AC
Z239
Address
Land Use
TOTAL SIZE
Lot Size
Zoning
356,540 SF
2.89 AC
Z21
Address
Land Use
TOTAL SIZE
Lot Size
Zoning
290,902 SF
13.90 AC
Z151
Address
Land Use
TOTAL SIZE
Lot Size
Zoning
380,000 SF
6.52 AC
Z21
Address
Land Use
TOTAL SIZE
Lot Size
Zoning
428,759 SF
16.39 AC
Z239
Address
Land Use
TOTAL SIZE
Lot Size
Zoning
563,339 SF
7.10 AC
Z21
Address
Land Use
TOTAL SIZE
Lot Size
Zoning
457,920 SF
3.20 AC
Z21
Address
Land Use
TOTAL SIZE
Lot Size
Zoning
384,943 SF
7.14 AC
Z239
Address
Land Use
TOTAL SIZE
Lot Size
Zoning
343,006 SF
0.53 AC
Z239
Address
Land Use
TOTAL SIZE
Lot Size
Zoning
223,496 SF
3.94 AC
Z164
Address
Land Use
TOTAL SIZE
Lot Size
Zoning
716,678 SF
4.22 AC
Z179
Address
Land Use
TOTAL SIZE
Lot Size
Zoning
320,240 SF
1.93 AC
Z21
Address
Land Use
TOTAL SIZE
Lot Size
Zoning
423,864 SF
3.56 AC
Z164
Address
Land Use
TOTAL SIZE
Lot Size
Zoning
73,708 SF
1.82 AC
Z239
Address
Land Use
TOTAL SIZE
Lot Size
Zoning
13.95 AC
Z115
Address
Land Use
TOTAL SIZE
Lot Size
Zoning
260,602 SF
6.64 AC
Address
Land Use
TOTAL SIZE
Lot Size
Zoning
333,215 SF
3.04 AC
Address
Land Use
TOTAL SIZE
Lot Size
Zoning
473,025 SF
3.92 AC
Z239







