Property Record
28344 Ecorse Rd, Romulus, MI 48174
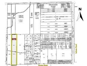
This Property Is For Sale
NEARBY LISTINGS FOR SALE OR LEASE
Property Detail
28344 Ecorse Rd
Detroit-Warren-Dearborn, MI
Supervisors Romulus Plat No 13
80-004-02-0813-000
01F813 LOT 813 SUPERVISORS ROMULUS PLAT NO 13 T3S R9E L 68 P 59 WCR
Industrialacreage
Wayne
AE
Michigan
26163C0240F
813
2024
5.66 AC
2025
Airport District
585500
Detroit
DEMOGRAPHICS near 28344 Ecorse Rd
1 Mile
3 Mile
5 Mile
2024 Total Population
1,991
53,269
203,593
2029 Population
1,985
51,574
195,945
Pop Growth 2024-2029
(0.30%)
(3.18%)
(3.76%)
Average Age
39
39
39
2024 Total Households
820
21,172
80,789
HH Growth 2024-2029
(0.24%)
(3.24%)
(3.81%)
Median Household Inc
$46,653
$51,249
$59,222
Avg Household Size
2.40
2.40
2.40
2024 Avg HH Vehicles
1.00
2.00
2.00
Median Home Value
$92,028
$124,055
$147,986
Median Year Built
1967
1959
1958
Nearby Places
Map Layers
- Restaurants
- Banks
- Shops
- Fitness
- Groceries
PUBLIC TRANSPORTATION
COMMUTER RAIL
Dearborn (Wolverine - Amtrak)
DRIVE
WALK
Distance
Dearborn (Wolverine - Amtrak)
17 min
7.2 mi
AIRPORT
Detroit Metro Wayne County
DRIVE
WALK
Distance
Detroit Metro Wayne County
16 min
6.7 mi
Windsor International
DRIVE
WALK
Distance
Windsor International
48 min
28.5 mi
Freight Ports
Port of Toledo
DRIVE
WALK
Distance
Port of Toledo
71 min
54.4 mi
Nearby Properties
Address
Land Use
TOTAL SIZE
Lot Size
Zoning
Address
Land Use
TOTAL SIZE
Lot Size
Zoning
857,173 SF
84.70 AC
M-1/COND
Address
Land Use
TOTAL SIZE
Lot Size
Zoning
108,809 SF
AP-AIRPORT
Address
Land Use
TOTAL SIZE
Lot Size
Zoning
354,968 SF
25.72 AC
RC/M-1
Address
Land Use
TOTAL SIZE
Lot Size
Zoning
366,820 SF
20.83 AC
RC/M-1
Address
Land Use
TOTAL SIZE
Lot Size
Zoning
366,820 SF
20.72 AC
RC/M-1
Address
Land Use
TOTAL SIZE
Lot Size
Zoning
260,000 SF
20.50 AC
M-T
Address
Land Use
TOTAL SIZE
Lot Size
Zoning
186,738 SF
15.89 AC
RM-MLTI
Address
Land Use
TOTAL SIZE
Lot Size
Zoning
302,868 SF
19.94 AC
M-T
Address
Land Use
TOTAL SIZE
Lot Size
Zoning
6,128 SF
50.14 AC
RC-REG
Address
Land Use
TOTAL SIZE
Lot Size
Zoning
312,000 SF
21.91 AC
M-T
Address
Land Use
TOTAL SIZE
Lot Size
Zoning
299,904 SF
20.13 AC
M-T
Address
Land Use
TOTAL SIZE
Lot Size
Zoning
299,904 SF
18.68 AC
M-T
Address
Land Use
TOTAL SIZE
Lot Size
Zoning
165,200 SF
14.85 AC
M-1/COND
Address
Land Use
TOTAL SIZE
Lot Size
Zoning
1,278 SF
17.59 AC
M-T
Address
Land Use
TOTAL SIZE
Lot Size
Zoning
960 SF
62.42 AC
RC-REG
Address
Land Use
TOTAL SIZE
Lot Size
Zoning
280,510 SF
32.49 AC
M-T
Address
Land Use
TOTAL SIZE
Lot Size
Zoning
132,248 SF
5.96 AC
RC-REG
Address
Land Use
TOTAL SIZE
Lot Size
Zoning
202,394 SF
15.29 AC
RM-1
Address
Land Use
TOTAL SIZE
Lot Size
Zoning
219,144 SF
24.53 AC
B-2
Address
Land Use
TOTAL SIZE
Lot Size
Zoning
235,200 SF
21.93 AC
M-T
Address
Land Use
TOTAL SIZE
Lot Size
Zoning
207,205 SF
28.02 AC
I-1
Address
Land Use
TOTAL SIZE
Lot Size
Zoning
292,254 SF
23.61 AC
RM-1
Address
Land Use
TOTAL SIZE
Lot Size
Zoning
266,094 SF
22.92 AC
M-T
Address
Land Use
TOTAL SIZE
Lot Size
Zoning
181,200 SF
19.33 AC
RM-1
Address
Land Use
TOTAL SIZE
Lot Size
Zoning
354,444 SF
20.10 AC
I-1
Address
Land Use
TOTAL SIZE
Lot Size
Zoning
467,594 SF
34.54 AC
IND-B IND
Address
Land Use
TOTAL SIZE
Lot Size
Zoning
92,404 SF
24.63 AC
RC-REG
Address
Land Use
TOTAL SIZE
Lot Size
Zoning
92,404 SF
24.63 AC
RC-REG
Address
Land Use
TOTAL SIZE
Lot Size
Zoning
99.86 AC
Address
Land Use
TOTAL SIZE
Lot Size
Zoning
175,502 SF
12.51 AC
RM-1





