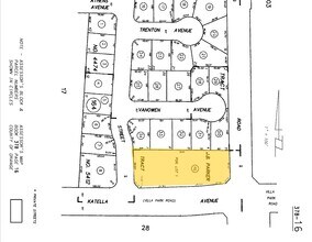
Property Record
2901 E Katella Ave, Orange, CA 92867
Current Lease Availabilities
Property Detail
2901 E Katella Ave
Anaheim-Santa Ana-Irvine, CA
A TR J B PARKER TR BLK LOT 1 J B PARKER TR LOT 1 POR OF LOT
378-162-46
ORANGE
Commercialnec
California
B and X Area of moderate flood hazard, usually the area between the limits of the 100-year and 500-year floods.
1
2024
1 AC
2025
East Orange
075812
Orange County (California)
11,627 SF
NEARBY LISTINGS FOR SALE OR LEASE
DEMOGRAPHICS near 2901 E Katella Ave
1 mile
3 mile
5 mile
2025 Total Population
19,023
139,867
420,030
2030 Population
18,899
139,182
419,684
Pop Growth 2025-2030
(0.65%)
(0.49%)
(0.08%)
Average Age
40
41
39
2025 Total Households
5,914
44,943
134,424
HH Growth 2025-2030
(0.76%)
(0.63%)
(0.16%)
Median Household Inc
$111,899
$123,691
$110,288
Avg Household Size
3.10
2.90
3.00
2025 Avg HH Vehicles
2.00
2.00
2.00
Median Home Value
$945,161
$965,012
$920,257
Median Year Built
1968
1970
1973
Nearby Places
Map Layers
Listings with unknown addresses are not visible on the map
- Restaurants
- Banks
- Shops
- Fitness
- Groceries
PUBLIC TRANSPORTATION
COMMUTER RAIL
Anaheim (Pacific Surfliner - Amtrak)
Drive
Walk
Distance
Anaheim (Pacific Surfliner - Amtrak)
7 min
3.4 mi
Orange (Inland Empire-Orange County Line - Southern California Regional Rail Authority (Metrolink), Orange County Line - Southern California Regional Rail Authority (Metrolink))
Drive
Walk
Distance
Orange (Inland Empire-Orange County Line - Southern California Regional Rail Authority (Metrolink), Orange County Line - Southern California Regional Rail Authority (Metrolink))
7 min
3.7 mi
AIRPORT
John Wayne/Orange County
Drive
Walk
Distance
John Wayne/Orange County
14 min
10.9 mi
Long Beach (Daugherty Field)
Drive
Walk
Distance
Long Beach (Daugherty Field)
30 min
24.5 mi
Ontario International
Drive
Walk
Distance
Ontario International
43 min
30.9 mi
Freight Ports
Port of Long Beach
Drive
Walk
Distance
Port of Long Beach
34 min
24.0 mi
Nearby Properties
Address
Land Use
TOTAL SIZE
Lot Size
Zoning
Address
Land Use
TOTAL SIZE
Lot Size
Zoning
Address
Land Use
TOTAL SIZE
Lot Size
Zoning
1,404 SF
10.63 AC
Address
Land Use
TOTAL SIZE
Lot Size
Zoning
4,000 SF
4.11 AC
Address
Land Use
TOTAL SIZE
Lot Size
Zoning
17,040 SF
1.08 AC
M2
Address
Land Use
TOTAL SIZE
Lot Size
Zoning
840 SF
24.22 AC
Address
Land Use
TOTAL SIZE
Lot Size
Zoning
Address
Land Use
TOTAL SIZE
Lot Size
Zoning
98,200 SF
4.66 AC
Address
Land Use
TOTAL SIZE
Lot Size
Zoning
24.07 AC
Address
Land Use
TOTAL SIZE
Lot Size
Zoning
98,434 SF
7.22 AC
Address
Land Use
TOTAL SIZE
Lot Size
Zoning
19,000 SF
4.87 AC
Address
Land Use
TOTAL SIZE
Lot Size
Zoning
50.94 AC
Address
Land Use
TOTAL SIZE
Lot Size
Zoning
4.02 AC
Address
Land Use
TOTAL SIZE
Lot Size
Zoning
107,731 SF
3.60 AC
Address
Land Use
TOTAL SIZE
Lot Size
Zoning
120,000 SF
8.07 AC
Address
Land Use
TOTAL SIZE
Lot Size
Zoning
120,432 SF
6.90 AC
Address
Land Use
TOTAL SIZE
Lot Size
Zoning
17.23 AC
Address
Land Use
TOTAL SIZE
Lot Size
Zoning
Address
Land Use
TOTAL SIZE
Lot Size
Zoning
10.74 AC
Address
Land Use
TOTAL SIZE
Lot Size
Zoning
4.39 AC
Address
Land Use
TOTAL SIZE
Lot Size
Zoning
62,810 SF
3.34 AC
Address
Land Use
TOTAL SIZE
Lot Size
Zoning
Address
Land Use
TOTAL SIZE
Lot Size
Zoning
133,120 SF
6.79 AC
Address
Land Use
TOTAL SIZE
Lot Size
Zoning
9.27 AC
Address
Land Use
TOTAL SIZE
Lot Size
Zoning
Address
Land Use
TOTAL SIZE
Lot Size
Zoning
80,086 SF
1.54 AC
Address
Land Use
TOTAL SIZE
Lot Size
Zoning
3.29 AC
Address
Land Use
TOTAL SIZE
Lot Size
Zoning
Address
Land Use
TOTAL SIZE
Lot Size
Zoning
3.03 AC
Address
Land Use
TOTAL SIZE
Lot Size
Zoning
2.73 AC
Address
Land Use
TOTAL SIZE
Lot Size
Zoning
215,537 SF
12.04 AC








