Property Record
2901 Edgely Rd, Levittown, PA 19057
Property Detail
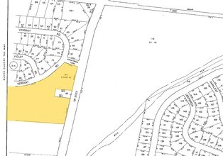
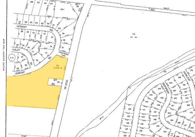
2901 Edgely Rd
05-042-084
9.44AC EXEMPT
Publicschool
Bucks
R3
Pennsylvania
AE The base floodplain where base flood elevations are provided. AE Zones are now used on new format FIRMs instead of A1-A30 Zones.
9.44 AC
0
Lower Bucks County
2025
Philadelphia
100402
Philadelphia-Camden-Wilmington, PA-NJ-DE-MD
16,125 SF
NEARBY LISTINGS FOR SALE OR LEASE
-
-
View all Levittown listings for sale on LoopNet.com
DEMOGRAPHICS near 2901 Edgely Rd
1 mile
3 mile
5 mile
2025 Total Population
13,247
91,243
192,740
2030 Population
13,246
91,280
193,863
Pop Growth 2025-2030
(0.01%)
+ 0.04%
+ 0.58%
Average Age
41
41
42
2025 Total Households
4,766
34,126
72,681
HH Growth 2025-2030
(0.08%)
+ 0.01%
+ 0.58%
Median Household Inc
$95,764
$90,041
$93,945
Avg Household Size
2.70
2.60
2.60
2025 Avg HH Vehicles
2.00
2.00
2.00
Median Home Value
$301,098
$330,158
$348,330
Median Year Built
1955
1956
1961
Nearby Places
Map Layers
Listings with unknown addresses are not visible on the map
- Restaurants
- Banks
- Shops
- Fitness
- Groceries
PUBLIC TRANSPORTATION
COMMUTER RAIL
Levittown (R7 - Southeastern Pennsylvania Transportation Authority Regional Rail (SEPTA Regional Rail))
Drive
Walk
Distance
Levittown (R7 - Southeastern Pennsylvania Transportation Authority Regional Rail (SEPTA Regional Rail))
4 min
2.2 mi
Bristol (R7 - Southeastern Pennsylvania Transportation Authority Regional Rail (SEPTA Regional Rail))
Drive
Walk
Distance
Bristol (R7 - Southeastern Pennsylvania Transportation Authority Regional Rail (SEPTA Regional Rail))
7 min
3.2 mi
AIRPORT
Trenton Mercer
Drive
Walk
Distance
Trenton Mercer
23 min
13.5 mi
Philadelphia International
Drive
Walk
Distance
Philadelphia International
53 min
33.8 mi
Freight Ports
Port of Philadelphia
Drive
Walk
Distance
Port of Philadelphia
33 min
20.1 mi
Nearby Properties
Address
Land Use
TOTAL SIZE
Lot Size
Zoning
Address
Land Use
TOTAL SIZE
Lot Size
Zoning
65.99 AC
Address
Land Use
TOTAL SIZE
Lot Size
Zoning
22,300 SF
59.13 AC
Address
Land Use
TOTAL SIZE
Lot Size
Zoning
16,960 SF
107.84 AC
Address
Land Use
TOTAL SIZE
Lot Size
Zoning
486,812 SF
44.42 AC
Address
Land Use
TOTAL SIZE
Lot Size
Zoning
Address
Land Use
TOTAL SIZE
Lot Size
Zoning
27.99 AC
Address
Land Use
TOTAL SIZE
Lot Size
Zoning
6.08 AC
Address
Land Use
TOTAL SIZE
Lot Size
Zoning
131,702 SF
10.21 AC
Address
Land Use
TOTAL SIZE
Lot Size
Zoning
29 AC
I-2
Address
Land Use
TOTAL SIZE
Lot Size
Zoning
18.15 AC
I-2
Address
Land Use
TOTAL SIZE
Lot Size
Zoning
32.60 AC
Address
Land Use
TOTAL SIZE
Lot Size
Zoning
Address
Land Use
TOTAL SIZE
Lot Size
Zoning
1.15 AC
Address
Land Use
TOTAL SIZE
Lot Size
Zoning
150,000 SF
64 AC
HR
Address
Land Use
TOTAL SIZE
Lot Size
Zoning
5.44 AC
Address
Land Use
TOTAL SIZE
Lot Size
Zoning
25.24 AC
Address
Land Use
TOTAL SIZE
Lot Size
Zoning
40.30 AC
Address
Land Use
TOTAL SIZE
Lot Size
Zoning
27,147 SF
8.18 AC
Address
Land Use
TOTAL SIZE
Lot Size
Zoning
50.71 AC
Address
Land Use
TOTAL SIZE
Lot Size
Zoning
4.02 AC
Address
Land Use
TOTAL SIZE
Lot Size
Zoning
150,000 SF
21.46 AC
R3
Address
Land Use
TOTAL SIZE
Lot Size
Zoning
528,000 SF
74.88 AC
Address
Land Use
TOTAL SIZE
Lot Size
Zoning
163,209 SF
23.23 AC
HC
Address
Land Use
TOTAL SIZE
Lot Size
Zoning
10,464 SF
12.80 AC
I-2
Address
Land Use
TOTAL SIZE
Lot Size
Zoning
132,780 SF
11.09 AC
R3
Address
Land Use
TOTAL SIZE
Lot Size
Zoning
125,307 SF
31.79 AC
VC
Address
Land Use
TOTAL SIZE
Lot Size
Zoning
171,918 SF
17.70 AC
AO
Address
Land Use
TOTAL SIZE
Lot Size
Zoning
60,000 SF
19.99 AC
I
Address
Land Use
TOTAL SIZE
Lot Size
Zoning
6.75 AC
Address
Land Use
TOTAL SIZE
Lot Size
Zoning
148,444 SF
24.06 AC
HR







