Property Record
300 Story Rd, Ocoee, FL 34761
Property Detail
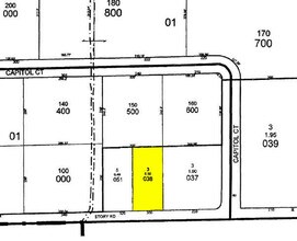
300 Story Rd
19-2228-0000-00-038
FROM CENTER SEC COR RUN W 785.81 FT N 30 FT FOR A POB TH N 2 17.80 FT W 200 FT S 217.80 FT E 200 FT TO POB SEC 19-22-28 ( LESS W 100 FT THEREOF)
Warehouse
Orange
I-1
Florida
B and X Area of moderate flood hazard, usually the area between the limits of the 100-year and 500-year floods.
38
2025
0.50 AC
2025
NW Orange County
018100
Orlando
7,425 SF
Orlando-Kissimmee-Sanford, FL
NEARBY LISTINGS FOR SALE OR LEASE
DEMOGRAPHICS near 300 Story Rd
1 mile
3 mile
5 mile
2025 Total Population
2,839
74,341
171,224
2030 Population
3,064
80,842
186,046
Pop Growth 2025-2030
+ 7.93%
+ 8.74%
+ 8.66%
Average Age
41
40
40
2025 Total Households
943
25,906
58,503
HH Growth 2025-2030
+ 8.17%
+ 9.12%
+ 9.06%
Median Household Inc
$74,374
$89,583
$93,481
Avg Household Size
2.70
2.80
2.90
2025 Avg HH Vehicles
2.00
2.00
2.00
Median Home Value
$379,768
$425,033
$429,281
Median Year Built
1987
1996
1996
Nearby Places
Map Layers
Listings with unknown addresses are not visible on the map
- Restaurants
- Banks
- Shops
- Fitness
- Groceries
PUBLIC TRANSPORTATION
AIRPORT
Orlando International
Drive
Walk
Distance
Orlando International
32 min
23.2 mi
Orlando Sanford International
Drive
Walk
Distance
Orlando Sanford International
49 min
38.5 mi
Freight Ports
Port Canaveral
Drive
Walk
Distance
Port Canaveral
80 min
65.4 mi
Nearby Properties
Address
Land Use
TOTAL SIZE
Lot Size
Zoning
Address
Land Use
TOTAL SIZE
Lot Size
Zoning
840,260 SF
65.85 AC
C-2
Address
Land Use
TOTAL SIZE
Lot Size
Zoning
481,795 SF
16.56 AC
I-1
Address
Land Use
TOTAL SIZE
Lot Size
Zoning
669,041 SF
43.79 AC
I-1
Address
Land Use
TOTAL SIZE
Lot Size
Zoning
782,050 SF
44.78 AC
A-1
Address
Land Use
TOTAL SIZE
Lot Size
Zoning
668,180 SF
52.21 AC
PUD-PU
Address
Land Use
TOTAL SIZE
Lot Size
Zoning
368,910 SF
14.02 AC
CAPUD
Address
Land Use
TOTAL SIZE
Lot Size
Zoning
693,608 SF
24.41 AC
PUD-HD
Address
Land Use
TOTAL SIZE
Lot Size
Zoning
342,875 SF
11.35 AC
PUD-COMM
Address
Land Use
TOTAL SIZE
Lot Size
Zoning
347,605 SF
9.10 AC
C-2
Address
Land Use
TOTAL SIZE
Lot Size
Zoning
446,425 SF
25.15 AC
PUD-IND
Address
Land Use
TOTAL SIZE
Lot Size
Zoning
347,506 SF
3.55 AC
PUD-MD
Address
Land Use
TOTAL SIZE
Lot Size
Zoning
169,070 SF
12 AC
F-OCO-PUD-
Address
Land Use
TOTAL SIZE
Lot Size
Zoning
167,285 SF
164.77 AC
C-3
Address
Land Use
TOTAL SIZE
Lot Size
Zoning
314,643 SF
38.04 AC
PUD
Address
Land Use
TOTAL SIZE
Lot Size
Zoning
209,545 SF
20.04 AC
R-3
Address
Land Use
TOTAL SIZE
Lot Size
Zoning
203,729 SF
11.46 AC
PUD-HD
Address
Land Use
TOTAL SIZE
Lot Size
Zoning
263,067 SF
41.46 AC
P-D
Address
Land Use
TOTAL SIZE
Lot Size
Zoning
265,223 SF
1.89 AC
R-3
Address
Land Use
TOTAL SIZE
Lot Size
Zoning
196,924 SF
2.53 AC
P-S
Address
Land Use
TOTAL SIZE
Lot Size
Zoning
493,556 SF
28.89 AC
I-2
Address
Land Use
TOTAL SIZE
Lot Size
Zoning
80,744 SF
9.40 AC
R-2
Address
Land Use
TOTAL SIZE
Lot Size
Zoning
169,535 SF
8.95 AC
PUD
Address
Land Use
TOTAL SIZE
Lot Size
Zoning
221,959 SF
10.82 AC
P-D
Address
Land Use
TOTAL SIZE
Lot Size
Zoning
179,371 SF
21.52 AC
A-1
Address
Land Use
TOTAL SIZE
Lot Size
Zoning
261,608 SF
21.73 AC
C-2
Address
Land Use
TOTAL SIZE
Lot Size
Zoning
183,582 SF
16.82 AC
C-2
Address
Land Use
TOTAL SIZE
Lot Size
Zoning
151,838 SF
7.15 AC
R-1
Address
Land Use
TOTAL SIZE
Lot Size
Zoning
149,795 SF
41.80 AC
A-1
Address
Land Use
TOTAL SIZE
Lot Size
Zoning
111,130 SF
15 AC
P-D
Address
Land Use
TOTAL SIZE
Lot Size
Zoning
94,877 SF
7.01 AC
PCD








