Property Record
This page contains information about the property located at 3020 Satellite Blvd, Duluth, GA, 30096.

3020 Satellite Blvd, Duluth, GA 30096

Property Detail

Information for the property located at 3020 Satellite Blvd Duluth, GA includes data gathered from Gwinnett County tax records, public records data providers and LoopNet historical data records.
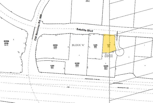
3020 Satellite Blvd
6-206-054
L6 BA SATELLITE PLACE POD #1
Vehiclerentalsvehiclesales
Gwinnett
C3
Georgia
B and X Area of moderate flood hazard, usually the area between the limits of the 100-year and 500-year floods.
6
2025
1 AC
2025
Gwinnett Mall/Duluth
050215
Atlanta
3,723 SF
Atlanta-Sandy Springs-Roswell, GA

NEARBY LISTINGS FOR SALE OR LEASE

DEMOGRAPHICS near 3020 Satellite Blvd

1 mile
3 mile
5 mile
2025 Total Population
7,805
104,541
257,665
2030 Population
8,207
108,915
268,544
Pop Growth 2025-2030
+ 5.15%
+ 4.18%
+ 4.22%
Average Age
34
36
37
2025 Total Households
3,318
38,224
89,876
HH Growth 2025-2030
+ 5.27%
+ 4.24%
+ 4.29%
Median Household Inc
$56,922
$65,888
$73,325
Avg Household Size
2.30
2.70
2.80
2025 Avg HH Vehicles
1.00
2.00
2.00
Median Home Value
$336,607
$360,780
$368,607
Median Year Built
1996
1994
1993

Nearby Places

Map Layers
Map Styles
Street
Aerial
Layers
Transit
Traffic
Biking
Places
Listings with unknown addresses are not visible on the map

PUBLIC TRANSPORTATION

AIRPORT
Hartsfield - Jackson Atlanta International
Drive
Walk
Distance
Hartsfield - Jackson Atlanta International
47 min
34.1 mi

SALE & LEASE HISTORY

LoopNet.com has seen the following sale and lease activity for the property located at 3020 Satellite Blvd, Duluth, GA
 
LISTING DATE
SALE/LEASE
Sep 27, 2017
For Lease
Nov 14, 2017
For Sale
Nov 11, 2016
For Sale
Nov 11, 2016
For Lease
May 10, 2017
For Lease
Mar 07, 2018
For Sale
Jul 24, 2017
For Sale
Jul 18, 2017
For Lease
Jul 09, 2018
For Lease

Nearby Properties

Address
Land Use
TOTAL SIZE
Lot Size
Zoning
Address
Land Use
TOTAL SIZE
Lot Size
Zoning
1,457,980 SF
98.78 AC
MUR
Address
Land Use
TOTAL SIZE
Lot Size
Zoning
594,977 SF
47.90 AC
RM13
Address
Land Use
TOTAL SIZE
Lot Size
Zoning
508,494 SF
38.74 AC
RM13
Address
Land Use
TOTAL SIZE
Lot Size
Zoning
563,525 SF
47.80 AC
RM13
Address
Land Use
TOTAL SIZE
Lot Size
Zoning
628,779 SF
97.15 AC
M1
Address
Land Use
TOTAL SIZE
Lot Size
Zoning
1,588,972 SF
112.95 AC
C2
Address
Land Use
TOTAL SIZE
Lot Size
Zoning
761,929 SF
65.19 AC
RM13
Address
Land Use
TOTAL SIZE
Lot Size
Zoning
441,836 SF
35.71 AC
RM13
Address
Land Use
TOTAL SIZE
Lot Size
Zoning
684,224 SF
77.07 AC
OI
Address
Land Use
TOTAL SIZE
Lot Size
Zoning
461,985 SF
56.76 AC
RM10
Address
Land Use
TOTAL SIZE
Lot Size
Zoning
365,821 SF
17.08 AC
RM24
Address
Land Use
TOTAL SIZE
Lot Size
Zoning
356,984 SF
24.89 AC
PUD
Address
Land Use
TOTAL SIZE
Lot Size
Zoning
404,176 SF
32.67 AC
M2
Address
Land Use
TOTAL SIZE
Lot Size
Zoning
346,219 SF
21.95 AC
PUD
Address
Land Use
TOTAL SIZE
Lot Size
Zoning
425,597 SF
49.61 AC
RM13
Address
Land Use
TOTAL SIZE
Lot Size
Zoning
357,946 SF
30.92 AC
RM
Address
Land Use
TOTAL SIZE
Lot Size
Zoning
393,913 SF
25.93 AC
RM13
Address
Land Use
TOTAL SIZE
Lot Size
Zoning
444,605 SF
37.43 AC
RM
Address
Land Use
TOTAL SIZE
Lot Size
Zoning
Address
Land Use
TOTAL SIZE
Lot Size
Zoning
439,676 SF
42.88 AC
RM13
Address
Land Use
TOTAL SIZE
Lot Size
Zoning
450,815 SF
45.79 AC
RM10
Address
Land Use
TOTAL SIZE
Lot Size
Zoning
440,998 SF
35.04 AC
RM
Address
Land Use
TOTAL SIZE
Lot Size
Zoning
584,576 SF
38.60 AC
RM13
Address
Land Use
TOTAL SIZE
Lot Size
Zoning
419,855 SF
29.83 AC
RM13
Address
Land Use
TOTAL SIZE
Lot Size
Zoning
275,136 SF
44.76 AC
RM13
Address
Land Use
TOTAL SIZE
Lot Size
Zoning
285,038 SF
1.93 AC
MUR
Address
Land Use
TOTAL SIZE
Lot Size
Zoning
503,097 SF
40 AC
RM13
Address
Land Use
TOTAL SIZE
Lot Size
Zoning
340,573 SF
22.12 AC
RM13
Address
Land Use
TOTAL SIZE
Lot Size
Zoning
314,338 SF
28.83 AC
RM13
Address
Land Use
TOTAL SIZE
Lot Size
Zoning
361,593 SF
13.35 AC
RM24
See More See Less

The World's #1 Commercial Real Estate Marketplace

What is a Walk Score®, Transit Score® & Bike Score®?
Walk Score® measures the walkability of any address.
Transit Score® measures access to public transit.
Bike Score® measures bikeability of a location.
What is a Walk Score®
, Transit Score® & Bike Score?
Walk Score® measures the walkability
of any address. Transit Score®
measures access to public transit. Bike Score®
measures bikeability of a location.®