Property Record
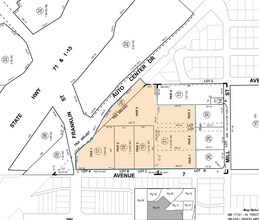
31201 Auto Center Dr, Lake Elsinore, CA 92530
NEARBY LISTINGS FOR SALE OR LEASE
Property Detail
31201 Auto Center Dr
Riverside-San Bernardino-Ontario, CA
Parcel Map 7553
363-540-019
1.69 ACRES M/L IN POR PAR 1 PM 091/029 PM 11524
Storebuilding
Riverside
X
California
06065C2041G
1
2024
1.14 AC
2025
South Riverside
043001
Inland Empire (California)
25,544 SF
DEMOGRAPHICS near 31201 Auto Center Dr
1 Mile
3 Mile
5 Mile
2024 Total Population
6,120
43,318
117,567
2029 Population
6,476
45,624
123,843
Pop Growth 2024-2029
+ 5.82%
+ 5.32%
+ 5.34%
Average Age
34
36
36
2024 Total Households
1,720
13,038
35,059
HH Growth 2024-2029
+ 5.52%
+ 4.89%
+ 4.95%
Median Household Inc
$64,931
$82,768
$83,558
Avg Household Size
3.40
3.20
3.20
2024 Avg HH Vehicles
2.00
2.00
2.00
Median Home Value
$383,717
$457,012
$462,746
Median Year Built
1994
1998
1992
Nearby Places
Map Layers
- Restaurants
- Banks
- Shops
- Fitness
- Groceries
Nearby Properties
Address
Land Use
TOTAL SIZE
Lot Size
Zoning
Address
Land Use
TOTAL SIZE
Lot Size
Zoning
82,634 SF
7.14 AC
SP
Address
Land Use
TOTAL SIZE
Lot Size
Zoning
13,834 SF
18.97 AC
Address
Land Use
TOTAL SIZE
Lot Size
Zoning
276,268 SF
11.60 AC
Address
Land Use
TOTAL SIZE
Lot Size
Zoning
299,526 SF
13.75 AC
Address
Land Use
TOTAL SIZE
Lot Size
Zoning
125,300 SF
9.96 AC
Address
Land Use
TOTAL SIZE
Lot Size
Zoning
56,006 SF
5.33 AC
R1
Address
Land Use
TOTAL SIZE
Lot Size
Zoning
45,460 SF
4.24 AC
CPS
Address
Land Use
TOTAL SIZE
Lot Size
Zoning
105,777 SF
8.02 AC
Address
Land Use
TOTAL SIZE
Lot Size
Zoning
207,052 SF
10.61 AC
Address
Land Use
TOTAL SIZE
Lot Size
Zoning
60,942 SF
3.93 AC
TC
Address
Land Use
TOTAL SIZE
Lot Size
Zoning
31,864 SF
2.57 AC
Address
Land Use
TOTAL SIZE
Lot Size
Zoning
65,742 SF
4.97 AC
Address
Land Use
TOTAL SIZE
Lot Size
Zoning
83,874 SF
5.99 AC
M-1
Address
Land Use
TOTAL SIZE
Lot Size
Zoning
52,293 SF
5 AC
Address
Land Use
TOTAL SIZE
Lot Size
Zoning
41,933 SF
1.47 AC
SP
Address
Land Use
TOTAL SIZE
Lot Size
Zoning
42,581 SF
2.66 AC
Address
Land Use
TOTAL SIZE
Lot Size
Zoning
31,667 SF
3.89 AC
C2
Address
Land Use
TOTAL SIZE
Lot Size
Zoning
18,800 SF
3.03 AC
M1
Address
Land Use
TOTAL SIZE
Lot Size
Zoning
18,976 SF
5.85 AC
Address
Land Use
TOTAL SIZE
Lot Size
Zoning
76,319 SF
5.77 AC
Address
Land Use
TOTAL SIZE
Lot Size
Zoning
18,800 SF
1.67 AC
C1
Address
Land Use
TOTAL SIZE
Lot Size
Zoning
3,217 SF
0.85 AC
Address
Land Use
TOTAL SIZE
Lot Size
Zoning
34,351 SF
3.31 AC
Address
Land Use
TOTAL SIZE
Lot Size
Zoning
104,095 SF
3.40 AC
Address
Land Use
TOTAL SIZE
Lot Size
Zoning
30,614 SF
3.27 AC
SP
Address
Land Use
TOTAL SIZE
Lot Size
Zoning
126,661 SF
12.39 AC
Address
Land Use
TOTAL SIZE
Lot Size
Zoning
20,650 SF
2.19 AC
R1
Address
Land Use
TOTAL SIZE
Lot Size
Zoning
80,678 SF
5.34 AC
SP




