Property Record
3127 W 147Th St, Gardena, CA 90249
NEARBY LISTINGS FOR SALE OR LEASE
Property Detail
3127 W 147Th St
Los Angeles-Long Beach-Glendale, CA
Pm56-69
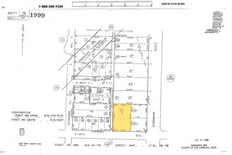
4071-019-035
*TR=PARCEL MAP AS PER BK 56 PG 69 OF P M LOT 3
Lightindustrial
Los Angeles
X
California
06037C1790F
3
2024
0.67 AC
2025
Hawthorne/Gardena
603706
Los Angeles
1,440 SF
DEMOGRAPHICS near 3127 W 147Th St
1 Mile
3 Mile
5 Mile
2024 Total Population
48,114
293,536
714,389
2029 Population
46,873
284,378
692,113
Pop Growth 2024-2029
(2.58%)
(3.12%)
(3.12%)
Average Age
38
39
39
2024 Total Households
16,623
98,037
236,739
HH Growth 2024-2029
(2.73%)
(3.35%)
(3.31%)
Median Household Inc
$65,824
$73,758
$78,322
Avg Household Size
2.80
2.90
2.90
2024 Avg HH Vehicles
2.00
2.00
2.00
Median Home Value
$708,428
$735,370
$779,369
Median Year Built
1966
1961
1961
Nearby Places
Map Layers
- Restaurants
- Banks
- Shops
- Fitness
- Groceries
PUBLIC TRANSPORTATION
AIRPORT
Los Angeles International
DRIVE
WALK
Distance
Los Angeles International
13 min
8.2 mi
Long Beach (Daugherty Field)
DRIVE
WALK
Distance
Long Beach (Daugherty Field)
20 min
13.7 mi
Bob Hope
DRIVE
WALK
Distance
Bob Hope
40 min
30.7 mi
Freight Ports
Port of Los Angeles
DRIVE
WALK
Distance
Port of Los Angeles
27 min
17.4 mi
SALE & LEASE HISTORY
LISTING DATE
SALE/LEASE
Nearby Properties
Address
Land Use
TOTAL SIZE
Lot Size
Zoning
Address
Land Use
TOTAL SIZE
Lot Size
Zoning
718,086 SF
41.24 AC
RBI-1A
Address
Land Use
TOTAL SIZE
Lot Size
Zoning
848,217 SF
36.09 AC
RBI-1A
Address
Land Use
TOTAL SIZE
Lot Size
Zoning
604,106 SF
42.72 AC
TOMI-HVY
Address
Land Use
TOTAL SIZE
Lot Size
Zoning
227,596 SF
14.38 AC
HAM1YY
Address
Land Use
TOTAL SIZE
Lot Size
Zoning
1,504,661 SF
RBCR
Address
Land Use
TOTAL SIZE
Lot Size
Zoning
216,354 SF
3.52 AC
HAC3
Address
Land Use
TOTAL SIZE
Lot Size
Zoning
214,782 SF
3.66 AC
GAR3
Address
Land Use
TOTAL SIZE
Lot Size
Zoning
239,992 SF
4.72 AC
RBI-1B
Address
Land Use
TOTAL SIZE
Lot Size
Zoning
986,604 SF
42.66 AC
HAM2YY
Address
Land Use
TOTAL SIZE
Lot Size
Zoning
59,422 SF
2.89 AC
HAM2YY
Address
Land Use
TOTAL SIZE
Lot Size
Zoning
207,972 SF
11.22 AC
HAM2
Address
Land Use
TOTAL SIZE
Lot Size
Zoning
316,111 SF
12.61 AC
RBI-1
Address
Land Use
TOTAL SIZE
Lot Size
Zoning
544,967 SF
10.74 AC
HAM2YY
Address
Land Use
TOTAL SIZE
Lot Size
Zoning
155,099 SF
7.74 AC
TOMI-HVY
Address
Land Use
TOTAL SIZE
Lot Size
Zoning
143,796 SF
5.57 AC
RBI-1A
Address
Land Use
TOTAL SIZE
Lot Size
Zoning
269,988 SF
5.52 AC
TOMI-BP
Address
Land Use
TOTAL SIZE
Lot Size
Zoning
126,336 SF
6.19 AC
RBI-1A
Address
Land Use
TOTAL SIZE
Lot Size
Zoning
111,855 SF
6.63 AC
RBI-1
Address
Land Use
TOTAL SIZE
Lot Size
Zoning
121,090 SF
4.18 AC
LCM2*
Address
Land Use
TOTAL SIZE
Lot Size
Zoning
112,866 SF
3.95 AC
RBCR
Address
Land Use
TOTAL SIZE
Lot Size
Zoning
1,030,435 SF
23.22 AC
RBI-1A
Address
Land Use
TOTAL SIZE
Lot Size
Zoning
147,280 SF
6.58 AC
CAML*
Address
Land Use
TOTAL SIZE
Lot Size
Zoning
483,516 SF
11.10 AC
GAM2
Address
Land Use
TOTAL SIZE
Lot Size
Zoning
242,423 SF
6.62 AC
HAC2
Address
Land Use
TOTAL SIZE
Lot Size
Zoning
111,576 SF
6.58 AC
RBIC-1
Address
Land Use
TOTAL SIZE
Lot Size
Zoning
144,153 SF
6.74 AC
RBCR
Address
Land Use
TOTAL SIZE
Lot Size
Zoning
103,098 SF
5.57 AC
RBI-1
Address
Land Use
TOTAL SIZE
Lot Size
Zoning
111,266 SF
3.42 AC
LAMR1
Address
Land Use
TOTAL SIZE
Lot Size
Zoning
130,337 SF
9.31 AC
HAM2
Address
Land Use
TOTAL SIZE
Lot Size
Zoning
267,463 SF
1.97 AC
INCR





