Property Record
3137 E Andy Devine Ave, Kingman, AZ 86401
Property Detail
3137 E Andy Devine Ave
Lake Havasu City-Kingman, AZ
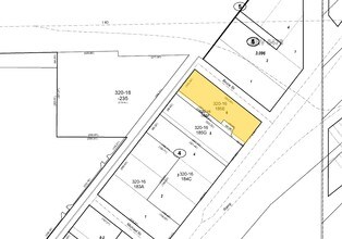
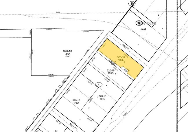
MACDONALD ADDITION TH POR OF LOTS 5 & 6 DESC AS: BEGAT THE ELY CO R OF LOT 6 BLK 4 WH PT IS TH INTERSECTION OF R/W US HWY 66 & SWLY R/W LN BRUCE ST; TH N51 5553 W 322.70 TO TH NLYCOR OF SO LOT 6 ; TH S37 4505 E 100.13 TO TH WLY COR OF LOT 6;TH SELY A
320-16-185E
Mohave
Servicestation
Arizona
B and X Area of moderate flood hazard, usually the area between the limits of the 100-year and 500-year floods.
5,6
0
0.75 AC
2026
Prescott & Sedona
953800
Other Market Areas
1,620 SF
NEARBY LISTINGS FOR SALE OR LEASE
DEMOGRAPHICS near 3137 E Andy Devine Ave
1 mile
3 mile
5 mile
2025 Total Population
5,336
34,721
50,002
2030 Population
5,367
35,591
51,546
Pop Growth 2025-2030
+ 0.58%
+ 2.51%
+ 3.09%
Average Age
40
44
45
2025 Total Households
2,153
13,850
20,242
HH Growth 2025-2030
+ 0.37%
+ 2.44%
+ 3.08%
Median Household Inc
$56,212
$59,202
$55,817
Avg Household Size
2.40
2.40
2.40
2025 Avg HH Vehicles
2.00
2.00
2.00
Median Home Value
$240,286
$249,312
$225,837
Median Year Built
1995
1993
1993
Nearby Places
Map Layers
Listings with unknown addresses are not visible on the map
- Restaurants
- Banks
- Shops
- Fitness
- Groceries
PUBLIC TRANSPORTATION
COMMUTER RAIL
Kingman (Southwest Chief - Amtrak)
Drive
Walk
Distance
Kingman (Southwest Chief - Amtrak)
5 min
3.4 mi
Freight Ports
Port of San Diego
Drive
Walk
Distance
Port of San Diego
416 min
365.8 mi
SALE & LEASE HISTORY
LISTING DATE
SALE/LEASE
Nearby Properties
Address
Land Use
TOTAL SIZE
Lot Size
Zoning
Address
Land Use
TOTAL SIZE
Lot Size
Zoning
1,005,590 SF
26.14 AC
Address
Land Use
TOTAL SIZE
Lot Size
Zoning
180,008 SF
16.14 AC
Address
Land Use
TOTAL SIZE
Lot Size
Zoning
135,163 SF
46.88 AC
Address
Land Use
TOTAL SIZE
Lot Size
Zoning
225,678 SF
60.23 AC
Address
Land Use
TOTAL SIZE
Lot Size
Zoning
644,364 SF
21.56 AC
Address
Land Use
TOTAL SIZE
Lot Size
Zoning
94,623 SF
4.79 AC
Address
Land Use
TOTAL SIZE
Lot Size
Zoning
141,529 SF
33.48 AC
Address
Land Use
TOTAL SIZE
Lot Size
Zoning
117,905 SF
9.83 AC
Address
Land Use
TOTAL SIZE
Lot Size
Zoning
55,166 SF
2.34 AC
Address
Land Use
TOTAL SIZE
Lot Size
Zoning
34,658 SF
10.73 AC
Address
Land Use
TOTAL SIZE
Lot Size
Zoning
79,417 SF
19.64 AC
Address
Land Use
TOTAL SIZE
Lot Size
Zoning
48,720 SF
2.24 AC
Address
Land Use
TOTAL SIZE
Lot Size
Zoning
59,688 SF
2.24 AC
Address
Land Use
TOTAL SIZE
Lot Size
Zoning
40,837 SF
4.55 AC
Address
Land Use
TOTAL SIZE
Lot Size
Zoning
97,756 SF
9.98 AC
Address
Land Use
TOTAL SIZE
Lot Size
Zoning
60,000 SF
3.90 AC
Address
Land Use
TOTAL SIZE
Lot Size
Zoning
41,167 SF
8.42 AC
Address
Land Use
TOTAL SIZE
Lot Size
Zoning
80,602 SF
6.57 AC
Address
Land Use
TOTAL SIZE
Lot Size
Zoning
65,458 SF
1.82 AC
Address
Land Use
TOTAL SIZE
Lot Size
Zoning
104,032 SF
11.47 AC
Address
Land Use
TOTAL SIZE
Lot Size
Zoning
44,253 SF
4.76 AC
Address
Land Use
TOTAL SIZE
Lot Size
Zoning
126,993 SF
11.85 AC
Address
Land Use
TOTAL SIZE
Lot Size
Zoning
22,994 SF
9.76 AC
Address
Land Use
TOTAL SIZE
Lot Size
Zoning
109,899 SF
10.83 AC
Address
Land Use
TOTAL SIZE
Lot Size
Zoning
36,554 SF
3.45 AC
Address
Land Use
TOTAL SIZE
Lot Size
Zoning
46,449 SF
1.47 AC
Address
Land Use
TOTAL SIZE
Lot Size
Zoning
69,452 SF
6.63 AC
Address
Land Use
TOTAL SIZE
Lot Size
Zoning
34,109 SF
3.73 AC
Address
Land Use
TOTAL SIZE
Lot Size
Zoning
31,550 SF
6.06 AC
Address
Land Use
TOTAL SIZE
Lot Size
Zoning
53,642 SF
1.48 AC







