Property Record
320 E Third St, Beaumont, CA 92223
Property Detail
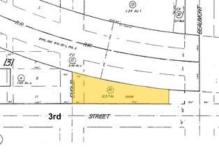
320 E Third St
418-200-016
.57 ACRES IN POR BLK 130 MB 006/016 SB AMENDED MAP OF THE TOWN OF BEAUMONT
Lightindustrial
Riverside
M2
California
B and X Area of moderate flood hazard, usually the area between the limits of the 100-year and 500-year floods.
130
2024
0.57 AC
2025
Beaumont/Hemet
044000
Inland Empire (California)
7,815 SF
Riverside-San Bernardino-Ontario, CA
NEARBY LISTINGS FOR SALE OR LEASE
DEMOGRAPHICS near 320 E Third St
1 mile
3 mile
5 mile
2025 Total Population
7,551
55,710
82,196
2030 Population
7,764
57,574
85,349
Pop Growth 2025-2030
+ 2.82%
+ 3.35%
+ 3.84%
Average Age
35
42
42
2025 Total Households
2,293
19,534
28,456
HH Growth 2025-2030
+ 2.40%
+ 2.74%
+ 3.23%
Median Household Inc
$76,057
$88,834
$90,793
Avg Household Size
3.20
2.80
2.80
2025 Avg HH Vehicles
2.00
2.00
2.00
Median Home Value
$425,392
$474,870
$481,578
Median Year Built
1970
2002
2001
Nearby Places
Map Layers
Listings with unknown addresses are not visible on the map
- Restaurants
- Banks
- Shops
- Fitness
- Groceries
PUBLIC TRANSPORTATION
AIRPORT
Palm Springs International
Drive
Walk
Distance
Palm Springs International
39 min
32.6 mi
Nearby Properties
Address
Land Use
TOTAL SIZE
Lot Size
Zoning
Address
Land Use
TOTAL SIZE
Lot Size
Zoning
1,777,707 SF
79.87 AC
SFR
Address
Land Use
TOTAL SIZE
Lot Size
Zoning
2,643,646 SF
59.98 AC
Address
Land Use
TOTAL SIZE
Lot Size
Zoning
816,800 SF
66.25 AC
Address
Land Use
TOTAL SIZE
Lot Size
Zoning
600,000 SF
30.81 AC
RA
Address
Land Use
TOTAL SIZE
Lot Size
Zoning
146,056 SF
15.95 AC
Address
Land Use
TOTAL SIZE
Lot Size
Zoning
444,455 SF
19.89 AC
IND
Address
Land Use
TOTAL SIZE
Lot Size
Zoning
95,590 SF
7.48 AC
Address
Land Use
TOTAL SIZE
Lot Size
Zoning
153,303 SF
11.08 AC
Address
Land Use
TOTAL SIZE
Lot Size
Zoning
30.91 AC
Address
Land Use
TOTAL SIZE
Lot Size
Zoning
211,062 SF
11.02 AC
Address
Land Use
TOTAL SIZE
Lot Size
Zoning
216,071 SF
21.90 AC
Address
Land Use
TOTAL SIZE
Lot Size
Zoning
174,418 SF
46.93 AC
Address
Land Use
TOTAL SIZE
Lot Size
Zoning
116,175 SF
4.86 AC
RA
Address
Land Use
TOTAL SIZE
Lot Size
Zoning
44,506 SF
2.35 AC
Address
Land Use
TOTAL SIZE
Lot Size
Zoning
97,103 SF
8 AC
Address
Land Use
TOTAL SIZE
Lot Size
Zoning
39,866 SF
3.55 AC
Address
Land Use
TOTAL SIZE
Lot Size
Zoning
43,105 SF
4.23 AC
Address
Land Use
TOTAL SIZE
Lot Size
Zoning
42,325 SF
2.31 AC
Address
Land Use
TOTAL SIZE
Lot Size
Zoning
44,506 SF
2.84 AC
Address
Land Use
TOTAL SIZE
Lot Size
Zoning
141,286 SF
10.72 AC
Address
Land Use
TOTAL SIZE
Lot Size
Zoning
103,087 SF
8.52 AC
Address
Land Use
TOTAL SIZE
Lot Size
Zoning
27,359 SF
1.97 AC
C2
Address
Land Use
TOTAL SIZE
Lot Size
Zoning
64,465 SF
3.56 AC
Address
Land Use
TOTAL SIZE
Lot Size
Zoning
127,688 SF
6.75 AC
IND
Address
Land Use
TOTAL SIZE
Lot Size
Zoning
90,184 SF
4.81 AC
C1
Address
Land Use
TOTAL SIZE
Lot Size
Zoning
17.80 AC
W220
Address
Land Use
TOTAL SIZE
Lot Size
Zoning
87,015 SF
6.90 AC
C-HS








