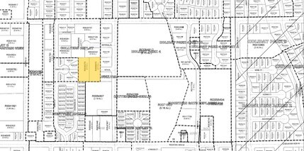
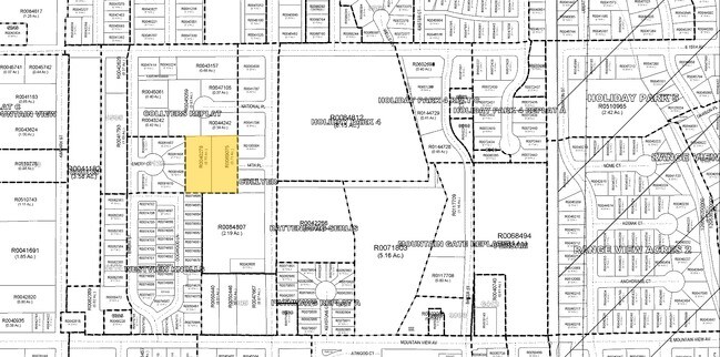
Property Record
321 14Th Pl, Longmont, CO 80501
Property Detail
321 14Th Pl
Boulder, CO
PRT OF LOT 1 BLK 1 COLLYER ADDITION REPLAT B
1205341-62-001
Boulder
Multifamilydwelling
Colorado
B and X Area of moderate flood hazard, usually the area between the limits of the 100-year and 500-year floods.
1
2024
1.43 AC
2025
Longmont/Northwest Boulder County
013503
Denver
24,624 SF
NEARBY LISTINGS FOR SALE OR LEASE
DEMOGRAPHICS near 321 14Th Pl
1 mile
3 mile
5 mile
2025 Total Population
18,103
79,891
103,826
2030 Population
17,873
79,803
104,042
Pop Growth 2025-2030
(1.27%)
(0.11%)
+ 0.21%
Average Age
40
42
41
2025 Total Households
7,164
32,323
41,441
HH Growth 2025-2030
(1.17%)
(0.05%)
+ 0.19%
Median Household Inc
$70,142
$84,122
$88,673
Avg Household Size
2.40
2.40
2.40
2025 Avg HH Vehicles
2.00
2.00
2.00
Median Home Value
$482,117
$610,342
$644,495
Median Year Built
1975
1984
1990
Nearby Places
Map Layers
Listings with unknown addresses are not visible on the map
- Restaurants
- Banks
- Shops
- Fitness
- Groceries
Nearby Properties
Address
Land Use
TOTAL SIZE
Lot Size
Zoning
Address
Land Use
TOTAL SIZE
Lot Size
Zoning
1,504 SF
204.18 AC
A
Address
Land Use
TOTAL SIZE
Lot Size
Zoning
304,151 SF
45.04 AC
Address
Land Use
TOTAL SIZE
Lot Size
Zoning
38.30 AC
Address
Land Use
TOTAL SIZE
Lot Size
Zoning
219,393 SF
25.13 AC
Address
Land Use
TOTAL SIZE
Lot Size
Zoning
160.88 AC
A
Address
Land Use
TOTAL SIZE
Lot Size
Zoning
34,137 SF
19.99 AC
Address
Land Use
TOTAL SIZE
Lot Size
Zoning
291,901 SF
13.51 AC
Address
Land Use
TOTAL SIZE
Lot Size
Zoning
76.33 AC
A
Address
Land Use
TOTAL SIZE
Lot Size
Zoning
74.32 AC
A
Address
Land Use
TOTAL SIZE
Lot Size
Zoning
333,909 SF
143.20 AC
Address
Land Use
TOTAL SIZE
Lot Size
Zoning
277,321 SF
14.96 AC
Address
Land Use
TOTAL SIZE
Lot Size
Zoning
33.81 AC
Address
Land Use
TOTAL SIZE
Lot Size
Zoning
152,160 SF
9.02 AC
Address
Land Use
TOTAL SIZE
Lot Size
Zoning
146,153 SF
13.60 AC
Address
Land Use
TOTAL SIZE
Lot Size
Zoning
152,160 SF
10.48 AC
Address
Land Use
TOTAL SIZE
Lot Size
Zoning
18.42 AC
Address
Land Use
TOTAL SIZE
Lot Size
Zoning
133,569 SF
14.67 AC
Address
Land Use
TOTAL SIZE
Lot Size
Zoning
13.93 AC
Address
Land Use
TOTAL SIZE
Lot Size
Zoning
12.98 AC
Address
Land Use
TOTAL SIZE
Lot Size
Zoning
199,578 SF
12.94 AC
Address
Land Use
TOTAL SIZE
Lot Size
Zoning
167,821 SF
14.26 AC
Address
Land Use
TOTAL SIZE
Lot Size
Zoning
358,412 SF
13.52 AC
Address
Land Use
TOTAL SIZE
Lot Size
Zoning
282,676 SF
12 AC
Address
Land Use
TOTAL SIZE
Lot Size
Zoning
158,402 SF
12.87 AC
Address
Land Use
TOTAL SIZE
Lot Size
Zoning
11.22 AC
Address
Land Use
TOTAL SIZE
Lot Size
Zoning
126,601 SF
13.39 AC
Address
Land Use
TOTAL SIZE
Lot Size
Zoning
38.22 AC
A
Address
Land Use
TOTAL SIZE
Lot Size
Zoning
33.55 AC
Address
Land Use
TOTAL SIZE
Lot Size
Zoning
9.73 AC
Address
Land Use
TOTAL SIZE
Lot Size
Zoning
21.67 AC







