Property Record
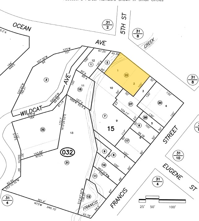
332 Ocean Ave, Ferndale, CA 95536
Property Detail
332 Ocean Ave
Eureka-Arcata, CA
LT 2 & PTN LT1 BLK 15 FRANCIS DIV BK/MAPS 5 PG 79
031-032-022-000
HUMBOLDT
Multifamilydwelling
California
C-2-D
2
AE The base floodplain where base flood elevations are provided. AE Zones are now used on new format FIRMs instead of A1-A30 Zones.
0.26 AC
2024
California North Rural Area
2025
Other Market Areas
011200
DEMOGRAPHICS near 332 Ocean Ave
1 mile
3 mile
5 mile
2025 Total Population
939
1,690
2,471
2030 Population
842
1,506
2,222
Pop Growth 2025-2030
(10.33%)
(10.89%)
(10.08%)
Average Age
45
45
45
2025 Total Households
405
718
1,028
HH Growth 2025-2030
(10.37%)
(11.28%)
(10.51%)
Median Household Inc
$64,934
$66,622
$67,949
Avg Household Size
2.30
2.30
2.40
2025 Avg HH Vehicles
2.00
2.00
2.00
Median Home Value
$644,737
$701,327
$681,891
Median Year Built
1948
1954
1958
Nearby Places
Map Layers
Listings with unknown addresses are not visible on the map
- Restaurants
- Banks
- Shops
- Fitness
- Groceries
PUBLIC TRANSPORTATION
AIRPORT
California Redwood Coast-Humboldt County
Drive
Walk
Distance
California Redwood Coast-Humboldt County
54 min
36.4 mi
Freight Ports
Port of Coos Bay, OR
Drive
Walk
Distance
Port of Coos Bay, OR
321 min
236.4 mi
Nearby Properties
Address
Land Use
TOTAL SIZE
Lot Size
Zoning
Address
Land Use
TOTAL SIZE
Lot Size
Zoning
5.35 AC
C-AG-D-Q
Address
Land Use
TOTAL SIZE
Lot Size
Zoning
1.20 AC
C-1-D-Q
Address
Land Use
TOTAL SIZE
Lot Size
Zoning
5,362 SF
24.03 AC
U
Address
Land Use
TOTAL SIZE
Lot Size
Zoning
1.99 AC
A-E
Address
Land Use
TOTAL SIZE
Lot Size
Zoning
80.79 AC
AE-60/F,R
Address
Land Use
TOTAL SIZE
Lot Size
Zoning
20 AC
AE-60/F,R
Address
Land Use
TOTAL SIZE
Lot Size
Zoning
87 AC
AE-60/F,R
Address
Land Use
TOTAL SIZE
Lot Size
Zoning
174 AC
AE-60/A,F
Address
Land Use
TOTAL SIZE
Lot Size
Zoning
38.50 AC
AE-60/F,R
Address
Land Use
TOTAL SIZE
Lot Size
Zoning
570 AC
AE-60/W,F
Address
Land Use
TOTAL SIZE
Lot Size
Zoning
2,172 SF
23 AC
AE-60/F,R
Address
Land Use
TOTAL SIZE
Lot Size
Zoning
74.06 AC
Address
Land Use
TOTAL SIZE
Lot Size
Zoning
1,650 SF
50.90 AC
AE-60/F,R
Address
Land Use
TOTAL SIZE
Lot Size
Zoning
30 AC
AE-60/F
Address
Land Use
TOTAL SIZE
Lot Size
Zoning
1,440 SF
40 AC
AE-60/F;AE
Address
Land Use
TOTAL SIZE
Lot Size
Zoning
6,111 SF
1.10 AC
C-2-D
Address
Land Use
TOTAL SIZE
Lot Size
Zoning
69 AC
AE-60/F,R
Address
Land Use
TOTAL SIZE
Lot Size
Zoning
84.86 AC
AE-60/F,R
Address
Land Use
TOTAL SIZE
Lot Size
Zoning
3,014 SF
127.62 AC
AE-60/F,R
Address
Land Use
TOTAL SIZE
Lot Size
Zoning
85 AC
AE;TPZ
Address
Land Use
TOTAL SIZE
Lot Size
Zoning
1,820 SF
25.50 AC
U
Address
Land Use
TOTAL SIZE
Lot Size
Zoning
8,091 SF
0.44 AC
C-2-D
Address
Land Use
TOTAL SIZE
Lot Size
Zoning
3,275 SF
55 AC
AE-60/F,R
Address
Land Use
TOTAL SIZE
Lot Size
Zoning
0.28 AC
R-1-D
Address
Land Use
TOTAL SIZE
Lot Size
Zoning
2,144 SF
34 AC
U
Address
Land Use
TOTAL SIZE
Lot Size
Zoning
0.09 AC
C-2-D
Address
Land Use
TOTAL SIZE
Lot Size
Zoning
33 AC
AE-60/F,R
Address
Land Use
TOTAL SIZE
Lot Size
Zoning
38 AC
AE-60/F,R
Address
Land Use
TOTAL SIZE
Lot Size
Zoning
3,040 SF
68.10 AC
AE-60/F,R







