Property Record
339 S Park Ave, Winter Park, FL 32789
Current Lease Availabilities
NEARBY LISTINGS FOR SALE OR LEASE
Property Detail
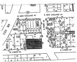
339 S Park Ave
Orlando-Kissimmee-Sanford, FL
Winter Park (A/67 & B/86 & Misc 3/220)
05-2230-9400-58-151
TOWN OF WINTER PARK A/67 & B/86 & MISC BOOK 3/220 LOTS 15 & 16 (LESS N 5 FT OF E 100 FT LOT 15 MEASURED ON N & LESS PT I N ST) BLK 58
Storebuilding
Orange
X
Florida
12095C0255F
15,16
2024
0.33 AC
2025
Winter Park
016001
Orlando
12,306 SF
DEMOGRAPHICS near 339 S Park Ave
1 Mile
3 Mile
5 Mile
2024 Total Population
8,892
100,309
279,887
2029 Population
9,383
104,289
290,802
Pop Growth 2024-2029
+ 5.52%
+ 3.97%
+ 3.90%
Average Age
44
41
40
2024 Total Households
4,018
45,517
125,337
HH Growth 2024-2029
+ 5.80%
+ 4.16%
+ 4.08%
Median Household Inc
$78,178
$84,550
$65,771
Avg Household Size
1.90
2.10
2.20
2024 Avg HH Vehicles
2.00
2.00
2.00
Median Home Value
$601,209
$462,485
$352,728
Median Year Built
1978
1976
1979
Nearby Places
- Restaurants
- Banks
- Shops
- Fitness
- Groceries
PUBLIC TRANSPORTATION
COMMUTER RAIL
Winter Park Amtrak Station (Silver Meteor - Amtrak, Silver Star - Amtrak)
DRIVE
WALK
Distance
Winter Park Amtrak Station (Silver Meteor - Amtrak, Silver Star - Amtrak)
1 min
3 min
0.2 mi
Winter Park (SunRail - Florida Department of Transportation)
DRIVE
WALK
Distance
Winter Park (SunRail - Florida Department of Transportation)
1 min
3 min
0.2 mi
AIRPORT
Orlando International
DRIVE
WALK
Distance
Orlando International
27 min
15.2 mi
Orlando Sanford International
DRIVE
WALK
Distance
Orlando Sanford International
32 min
20.2 mi
Freight Ports
Port Canaveral
DRIVE
WALK
Distance
Port Canaveral
74 min
58.1 mi
Nearby Properties
Address
Land Use
TOTAL SIZE
Lot Size
Zoning
Address
Land Use
TOTAL SIZE
Lot Size
Zoning
2,093,075 SF
57.25 AC
PD/T
Address
Land Use
TOTAL SIZE
Lot Size
Zoning
1,283,799 SF
51.47 AC
PQP
Address
Land Use
TOTAL SIZE
Lot Size
Zoning
712,535 SF
16.90 AC
O-1
Address
Land Use
TOTAL SIZE
Lot Size
Zoning
1,182,342 SF
6.90 AC
MU-2/T/SP
Address
Land Use
TOTAL SIZE
Lot Size
Zoning
502,971 SF
30.54 AC
C-1
Address
Land Use
TOTAL SIZE
Lot Size
Zoning
689,476 SF
2.54 AC
PD/T
Address
Land Use
TOTAL SIZE
Lot Size
Zoning
855,665 SF
75.29 AC
P/T/W
Address
Land Use
TOTAL SIZE
Lot Size
Zoning
579,503 SF
19.05 AC
PD
Address
Land Use
TOTAL SIZE
Lot Size
Zoning
483,552 SF
11.86 AC
PD/AN
Address
Land Use
TOTAL SIZE
Lot Size
Zoning
597,657 SF
2.17 AC
MU-2/T/SP
Address
Land Use
TOTAL SIZE
Lot Size
Zoning
355,755 SF
50.32 AC
PQP
Address
Land Use
TOTAL SIZE
Lot Size
Zoning
672,923 SF
44.40 AC
AC-3/AN
Address
Land Use
TOTAL SIZE
Lot Size
Zoning
324,200 SF
1.02 AC
PD/T
Address
Land Use
TOTAL SIZE
Lot Size
Zoning
676,774 SF
46.39 AC
R-4
Address
Land Use
TOTAL SIZE
Lot Size
Zoning
428,559 SF
2.03 AC
PD
Address
Land Use
TOTAL SIZE
Lot Size
Zoning
497,280 SF
13.57 AC
AC-3
Address
Land Use
TOTAL SIZE
Lot Size
Zoning
538,389 SF
3.25 AC
OC-PD
Address
Land Use
TOTAL SIZE
Lot Size
Zoning
300,668 SF
40.51 AC
P
Address
Land Use
TOTAL SIZE
Lot Size
Zoning
153,319 SF
0.99 AC
PD/T
Address
Land Use
TOTAL SIZE
Lot Size
Zoning
464,785 SF
2.19 AC
R-MF
Address
Land Use
TOTAL SIZE
Lot Size
Zoning
482,097 SF
2.42 AC
OC-PD
Address
Land Use
TOTAL SIZE
Lot Size
Zoning
468,073 SF
PD/T
Address
Land Use
TOTAL SIZE
Lot Size
Zoning
460,602 SF
5.45 AC
PD
Address
Land Use
TOTAL SIZE
Lot Size
Zoning
656,009 SF
5.59 AC
DM
Address
Land Use
TOTAL SIZE
Lot Size
Zoning
561,228 SF
5.70 AC
PD/T
Address
Land Use
TOTAL SIZE
Lot Size
Zoning
510,629 SF
23.08 AC
R-3
Address
Land Use
TOTAL SIZE
Lot Size
Zoning
580,396 SF
4.23 AC
PD/T/SP
Address
Land Use
TOTAL SIZE
Lot Size
Zoning
508,038 SF
5.98 AC
PD
Address
Land Use
TOTAL SIZE
Lot Size
Zoning
563,546 SF
0.61 AC
DM
Address
Land Use
TOTAL SIZE
Lot Size
Zoning
122,491 SF
3.35 AC
R-4



