Property Record
338 S Green St, Tuckerton, NJ 08087
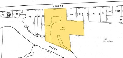
Property Detail
338 S Green St
33-00033-0000-00049
2.71 AC
Commercialnec
OCEAN
B3
New Jersey
AE The base floodplain where base flood elevations are provided. AE Zones are now used on new format FIRMs instead of A1-A30 Zones.
49
2025
2.71 AC
2025
Ocean County
737000
Northern New Jersey
3,000 SF
Lakewood-New Brunswick, NJ
NEARBY LISTINGS FOR SALE OR LEASE
DEMOGRAPHICS near 338 S Green St
1 mile
3 mile
5 mile
2025 Total Population
5,589
23,884
29,978
2030 Population
5,809
24,816
31,449
Pop Growth 2025-2030
+ 3.94%
+ 3.90%
+ 4.91%
Average Age
41
44
44
2025 Total Households
2,269
9,744
12,442
HH Growth 2025-2030
+ 3.53%
+ 3.59%
+ 4.68%
Median Household Inc
$88,231
$86,960
$87,335
Avg Household Size
2.40
2.40
2.30
2025 Avg HH Vehicles
2.00
2.00
2.00
Median Home Value
$347,568
$344,293
$360,268
Median Year Built
1986
1987
1986
Nearby Places
Map Layers
Listings with unknown addresses are not visible on the map
- Restaurants
- Banks
- Shops
- Fitness
- Groceries
PUBLIC TRANSPORTATION
AIRPORT
Atlantic City International
Drive
Walk
Distance
Atlantic City International
52 min
24.0 mi
Freight Ports
Broadway Terminal - Pier 5
Drive
Walk
Distance
Broadway Terminal - Pier 5
77 min
58.6 mi
SALE & LEASE HISTORY
LISTING DATE
SALE/LEASE
Nearby Properties
Address
Land Use
TOTAL SIZE
Lot Size
Zoning
Address
Land Use
TOTAL SIZE
Lot Size
Zoning
61.73 AC
R1A
Address
Land Use
TOTAL SIZE
Lot Size
Zoning
63.04 AC
PSC
Address
Land Use
TOTAL SIZE
Lot Size
Zoning
4.15 AC
GB
Address
Land Use
TOTAL SIZE
Lot Size
Zoning
37.89 AC
GB+
Address
Land Use
TOTAL SIZE
Lot Size
Zoning
9.83 AC
GB
Address
Land Use
TOTAL SIZE
Lot Size
Zoning
13,320 SF
6.97 AC
B2
Address
Land Use
TOTAL SIZE
Lot Size
Zoning
43.71 AC
R1A
Address
Land Use
TOTAL SIZE
Lot Size
Zoning
12.17 AC
PRC
Address
Land Use
TOTAL SIZE
Lot Size
Zoning
30.78 AC
R1A
Address
Land Use
TOTAL SIZE
Lot Size
Zoning
6.20 AC
GBSG
Address
Land Use
TOTAL SIZE
Lot Size
Zoning
50,000 SF
8.01 AC
GB
Address
Land Use
TOTAL SIZE
Lot Size
Zoning
3.55 AC
R75
Address
Land Use
TOTAL SIZE
Lot Size
Zoning
1,980 SF
155.56 AC
PRD
Address
Land Use
TOTAL SIZE
Lot Size
Zoning
11.94 AC
GBSG
Address
Land Use
TOTAL SIZE
Lot Size
Zoning
41,194 SF
3.67 AC
R400
Address
Land Use
TOTAL SIZE
Lot Size
Zoning
19.53 AC
MF
Address
Land Use
TOTAL SIZE
Lot Size
Zoning
936 SF
32.80 AC
SV
Address
Land Use
TOTAL SIZE
Lot Size
Zoning
600 SF
13.54 AC
GBSG
Address
Land Use
TOTAL SIZE
Lot Size
Zoning
308 SF
4.13 AC
GB
Address
Land Use
TOTAL SIZE
Lot Size
Zoning
32.40 AC
Address
Land Use
TOTAL SIZE
Lot Size
Zoning
53,927 SF
1.87 AC
B2
Address
Land Use
TOTAL SIZE
Lot Size
Zoning
12,669 SF
1.73 AC
B2
Address
Land Use
TOTAL SIZE
Lot Size
Zoning
63.55 AC
R100
Address
Land Use
TOTAL SIZE
Lot Size
Zoning
11,044 SF
4.93 AC
GBSG
Address
Land Use
TOTAL SIZE
Lot Size
Zoning
0.98 AC
GB
Address
Land Use
TOTAL SIZE
Lot Size
Zoning
51,645 SF
11.39 AC
GB
Address
Land Use
TOTAL SIZE
Lot Size
Zoning
2,952 SF
3.70 AC
B1
Address
Land Use
TOTAL SIZE
Lot Size
Zoning
5,627 SF
7.42 AC
GB
Address
Land Use
TOTAL SIZE
Lot Size
Zoning
Address
Land Use
TOTAL SIZE
Lot Size
Zoning
14,736 SF
4.83 AC
GB






