Property Record
351 N C St, Virginia City, NV 89440
NEARBY LISTINGS FOR SALE OR LEASE
Property Detail
351 N C St
Reno, NV
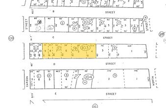
PARCEL MAP ID; LOT 5A BLOCK 26 RANGE C TOWN: VIRGINIA CITY
001-103-08
Storey
Commercialnec
Nevada
2024
5a
2025
0.30 AC
970200
Storey County
2,911 SF
Reno/Sparks
DEMOGRAPHICS near 351 N C St
1 Mile
3 Mile
5 Mile
2024 Total Population
596
802
5,091
2029 Population
583
792
5,400
Pop Growth 2024-2029
(2.18%)
(1.25%)
+ 6.07%
Average Age
50
50
43
2024 Total Households
288
383
2,035
HH Growth 2024-2029
(2.08%)
(1.31%)
+ 5.70%
Median Household Inc
$109,210
$107,986
$86,018
Avg Household Size
2.10
2.10
2.50
2024 Avg HH Vehicles
2.00
2.00
2.00
Median Home Value
$524,752
$509,259
$332,240
Median Year Built
1953
1958
1990
Nearby Places
Map Layers
- Restaurants
- Banks
- Shops
- Fitness
- Groceries
PUBLIC TRANSPORTATION
AIRPORT
Reno/Tahoe International
DRIVE
WALK
Distance
Reno/Tahoe International
50 min
24.5 mi
Freight Ports
Port of Stockton
DRIVE
WALK
Distance
Port of Stockton
239 min
166.6 mi
SALE & LEASE HISTORY
LISTING DATE
SALE/LEASE
Nearby Properties
Address
Land Use
TOTAL SIZE
Lot Size
Zoning
Address
Land Use
TOTAL SIZE
Lot Size
Zoning
26,454 SF
9.30 AC
P
Address
Land Use
TOTAL SIZE
Lot Size
Zoning
0.82 AC
P
Address
Land Use
TOTAL SIZE
Lot Size
Zoning
34,389 SF
4.67 AC
CR;COMM/RE
Address
Land Use
TOTAL SIZE
Lot Size
Zoning
5.05 AC
F;FORESTED
Address
Land Use
TOTAL SIZE
Lot Size
Zoning
5,491 SF
22.74 AC
P
Address
Land Use
TOTAL SIZE
Lot Size
Zoning
15,915 SF
1.23 AC
Address
Land Use
TOTAL SIZE
Lot Size
Zoning
13,608 SF
5.07 AC
P
Address
Land Use
TOTAL SIZE
Lot Size
Zoning
6,396 SF
4.01 AC
P
Address
Land Use
TOTAL SIZE
Lot Size
Zoning
1,607.30 AC
OS
Address
Land Use
TOTAL SIZE
Lot Size
Zoning
9,840 SF
0.83 AC
Address
Land Use
TOTAL SIZE
Lot Size
Zoning
2,383 SF
2.31 AC
PUBLIC
Address
Land Use
TOTAL SIZE
Lot Size
Zoning
9,000 SF
0.49 AC
CR;COMM/RE
Address
Land Use
TOTAL SIZE
Lot Size
Zoning
15,284 SF
0.99 AC
P
Address
Land Use
TOTAL SIZE
Lot Size
Zoning
5,362 SF
0.87 AC
P
Address
Land Use
TOTAL SIZE
Lot Size
Zoning
1 SF
12 AC
F;FORESTED
Address
Land Use
TOTAL SIZE
Lot Size
Zoning
7,684 SF
3.14 AC
CR;COMM/RE
Address
Land Use
TOTAL SIZE
Lot Size
Zoning
16,450 SF
0.27 AC
P
Address
Land Use
TOTAL SIZE
Lot Size
Zoning
13,353 SF
0.57 AC
P
Address
Land Use
TOTAL SIZE
Lot Size
Zoning
10,284 SF
0.35 AC
CR;COMM/RE
Address
Land Use
TOTAL SIZE
Lot Size
Zoning
13,876 SF
4.30 AC
F;FORESTED
Address
Land Use
TOTAL SIZE
Lot Size
Zoning
10.17 AC
R1;RESIDEN
Address
Land Use
TOTAL SIZE
Lot Size
Zoning
17,559 SF
0.15 AC
CR;COMM/RE
Address
Land Use
TOTAL SIZE
Lot Size
Zoning
4,010 SF
0.45 AC
Address
Land Use
TOTAL SIZE
Lot Size
Zoning
16,158 SF
0.12 AC
CR;COMM/RE
Address
Land Use
TOTAL SIZE
Lot Size
Zoning
13,600 SF
0.24 AC
CR;COMM/RE
Address
Land Use
TOTAL SIZE
Lot Size
Zoning
1.29 AC
F;FORESTED
Address
Land Use
TOTAL SIZE
Lot Size
Zoning
11,239 SF
0.33 AC
P
Address
Land Use
TOTAL SIZE
Lot Size
Zoning
640 AC
OS
Address
Land Use
TOTAL SIZE
Lot Size
Zoning
6,169 SF
0.25 AC
CR
Address
Land Use
TOTAL SIZE
Lot Size
Zoning
8,376 SF
0.18 AC
CR;COMM/RE





