Property Record
3570 Tallevast Rd, Sarasota, FL 34243
Property Detail
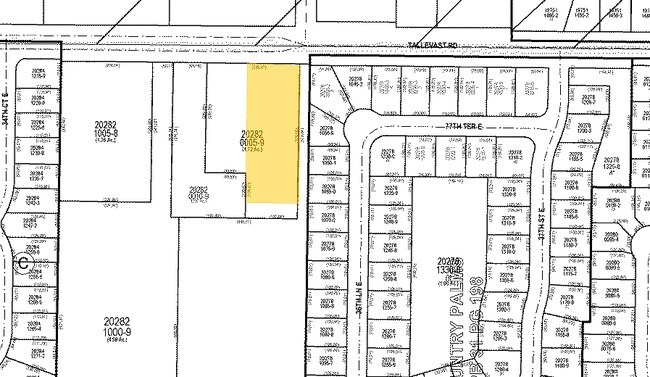
3570 Tallevast Rd
20282-0005-9
W 308.87 FT OF E 333.87 FT OF N 423.09 FT OF E1/2 OF NW1/4 OF NE1/4 OF SEC 32, LESS R/W ON N FOR TALLEVAST RD AS DESC IN (915/1670); LESS THE FOL DESC PARCEL: COM AT THE NE COR
Agriculturalland
Manatee
A-1 SUBURB
Florida
B and X Area of moderate flood hazard, usually the area between the limits of the 100-year and 500-year floods.
1.74 AC
2024
Manatee
2025
Tampa/St Petersburg
000805
North Port-Bradenton-Sarasota, FL
2,088 SF
NEARBY LISTINGS FOR SALE OR LEASE
DEMOGRAPHICS near 3570 Tallevast Rd
1 mile
3 mile
5 mile
2025 Total Population
7,325
55,178
182,565
2030 Population
8,150
60,160
199,885
Pop Growth 2025-2030
+ 11.26%
+ 9.03%
+ 9.49%
Average Age
48
48
47
2025 Total Households
3,505
24,872
81,656
HH Growth 2025-2030
+ 11.47%
+ 9.27%
+ 9.70%
Median Household Inc
$91,318
$78,067
$69,575
Avg Household Size
2.10
2.10
2.10
2025 Avg HH Vehicles
2.00
2.00
2.00
Median Home Value
$411,650
$410,152
$375,159
Median Year Built
2003
1992
1987
Nearby Places
Map Layers
Listings with unknown addresses are not visible on the map
- Restaurants
- Banks
- Shops
- Fitness
- Groceries
PUBLIC TRANSPORTATION
AIRPORT
Sarasota/Bradenton International
Drive
Walk
Distance
Sarasota/Bradenton International
9 min
4.5 mi
Freight Ports
Port Manatee
Drive
Walk
Distance
Port Manatee
31 min
19.6 mi
Nearby Properties
Address
Land Use
TOTAL SIZE
Lot Size
Zoning
Address
Land Use
TOTAL SIZE
Lot Size
Zoning
1,023,770 SF
76.55 AC
Address
Land Use
TOTAL SIZE
Lot Size
Zoning
390,439 SF
143.53 AC
AA
Address
Land Use
TOTAL SIZE
Lot Size
Zoning
298,916 SF
36.99 AC
G
Address
Land Use
TOTAL SIZE
Lot Size
Zoning
425,298 SF
25.59 AC
PD-R
Address
Land Use
TOTAL SIZE
Lot Size
Zoning
385,610 SF
32.65 AC
RMF-6 MULT
Address
Land Use
TOTAL SIZE
Lot Size
Zoning
331,241 SF
44.24 AC
Address
Land Use
TOTAL SIZE
Lot Size
Zoning
150,740 SF
38.70 AC
MCI
Address
Land Use
TOTAL SIZE
Lot Size
Zoning
272,602 SF
28.35 AC
PD-R
Address
Land Use
TOTAL SIZE
Lot Size
Zoning
358,441 SF
31.80 AC
PD-R
Address
Land Use
TOTAL SIZE
Lot Size
Zoning
296,343 SF
26.53 AC
PD-R
Address
Land Use
TOTAL SIZE
Lot Size
Zoning
152,405 SF
20.44 AC
MCI
Address
Land Use
TOTAL SIZE
Lot Size
Zoning
251,472 SF
11 AC
RSF2
Address
Land Use
TOTAL SIZE
Lot Size
Zoning
331,816 SF
574.64 AC
Address
Land Use
TOTAL SIZE
Lot Size
Zoning
296,612 SF
576.25 AC
PD-MU
Address
Land Use
TOTAL SIZE
Lot Size
Zoning
264,317 SF
9.55 AC
PD-MU
Address
Land Use
TOTAL SIZE
Lot Size
Zoning
8,796 SF
69.53 AC
RMH
Address
Land Use
TOTAL SIZE
Lot Size
Zoning
109,325 SF
15.55 AC
G
Address
Land Use
TOTAL SIZE
Lot Size
Zoning
195,271 SF
42.40 AC
GU
Address
Land Use
TOTAL SIZE
Lot Size
Zoning
126,111 SF
38.38 AC
RSF2
Address
Land Use
TOTAL SIZE
Lot Size
Zoning
238,774 SF
15.56 AC
A-1 SUBURB
Address
Land Use
TOTAL SIZE
Lot Size
Zoning
75,460 SF
5.92 AC
G
Address
Land Use
TOTAL SIZE
Lot Size
Zoning
359,950 SF
34.91 AC
LM LIGHT M
Address
Land Use
TOTAL SIZE
Lot Size
Zoning
179,670 SF
3.51 AC
LM LIGHT M
Address
Land Use
TOTAL SIZE
Lot Size
Zoning
214,350 SF
16.07 AC
LM LIGHT M
Address
Land Use
TOTAL SIZE
Lot Size
Zoning
296,983 SF
34.84 AC
PD-MU
Address
Land Use
TOTAL SIZE
Lot Size
Zoning
160,328 SF
11.75 AC
RMF-6 MULT
Address
Land Use
TOTAL SIZE
Lot Size
Zoning
139,944 SF
28.50 AC
GC,PD-R
Address
Land Use
TOTAL SIZE
Lot Size
Zoning
163,394 SF
15.49 AC
PD-MU
Address
Land Use
TOTAL SIZE
Lot Size
Zoning
5,504 SF
60.92 AC
RMH
Address
Land Use
TOTAL SIZE
Lot Size
Zoning
318,009 SF
34.60 AC
LM LIGHT M







