Property Record
36503 Corte Way, Huron, CA 93234
Property Detail
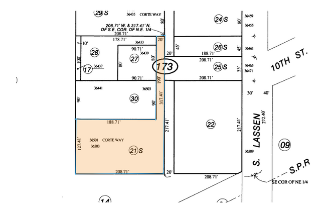
36503 Corte Way
075-173-21S
SUR RTS PAR IN NE1/4 SEC 10 T20R17
Apartment
FRESNO
B and X Area of moderate flood hazard, usually the area between the limits of the 100-year and 500-year floods.
California
2025
6.98 AC
2025
Outer Western Fresno County
007802
Fresno
7,625 SF
Fresno, CA
DEMOGRAPHICS near 36503 Corte Way
1 mile
3 mile
5 mile
2025 Total Population
5,514
5,621
5,626
2030 Population
5,326
5,426
5,431
Pop Growth 2025-2030
(3.41%)
(3.47%)
(3.47%)
Average Age
33
33
33
2025 Total Households
1,403
1,429
1,430
HH Growth 2025-2030
(3.49%)
(3.50%)
(3.50%)
Median Household Inc
$41,854
$41,980
$41,980
Avg Household Size
3.90
3.90
3.90
2025 Avg HH Vehicles
2.00
2.00
2.00
Median Home Value
$267,582
$266,841
$266,841
Median Year Built
1988
1988
1988
Nearby Places
Map Layers
Listings with unknown addresses are not visible on the map
- Restaurants
- Banks
- Shops
- Fitness
- Groceries
Nearby Properties
Address
Land Use
TOTAL SIZE
Lot Size
Zoning
Address
Land Use
TOTAL SIZE
Lot Size
Zoning
40 AC
AE20
Address
Land Use
TOTAL SIZE
Lot Size
Zoning
110,591 SF
5 AC
R3*SOLAR
Address
Land Use
TOTAL SIZE
Lot Size
Zoning
60,528 SF
2.91 AC
R2
Address
Land Use
TOTAL SIZE
Lot Size
Zoning
72,140 SF
5.72 AC
R1
Address
Land Use
TOTAL SIZE
Lot Size
Zoning
68,640 SF
7.34 AC
R2
Address
Land Use
TOTAL SIZE
Lot Size
Zoning
17,272 SF
2.09 AC
R2
Address
Land Use
TOTAL SIZE
Lot Size
Zoning
47,494 SF
3.98 AC
R3
Address
Land Use
TOTAL SIZE
Lot Size
Zoning
11,180 SF
2 AC
CMX
Address
Land Use
TOTAL SIZE
Lot Size
Zoning
44,512 SF
3.70 AC
R3
Address
Land Use
TOTAL SIZE
Lot Size
Zoning
44,512 SF
2.64 AC
R3
Address
Land Use
TOTAL SIZE
Lot Size
Zoning
33,490 SF
2.61 AC
R3
Address
Land Use
TOTAL SIZE
Lot Size
Zoning
20,350 SF
2 AC
C4
Address
Land Use
TOTAL SIZE
Lot Size
Zoning
33,888 SF
4.36 AC
R3
Address
Land Use
TOTAL SIZE
Lot Size
Zoning
9,100 SF
1.18 AC
CMX
Address
Land Use
TOTAL SIZE
Lot Size
Zoning
8,320 SF
1.01 AC
C4
Address
Land Use
TOTAL SIZE
Lot Size
Zoning
32,841 SF
21.91 AC
M1
Address
Land Use
TOTAL SIZE
Lot Size
Zoning
17,629 SF
0.92 AC
R1
Address
Land Use
TOTAL SIZE
Lot Size
Zoning
1,364 SF
76.60 AC
AE20
Address
Land Use
TOTAL SIZE
Lot Size
Zoning
31.21 AC
AE20
Address
Land Use
TOTAL SIZE
Lot Size
Zoning
25,372 SF
2.63 AC
R3
Address
Land Use
TOTAL SIZE
Lot Size
Zoning
5,200 SF
0.89 AC
C4
Address
Land Use
TOTAL SIZE
Lot Size
Zoning
3.94 AC
AE20
Address
Land Use
TOTAL SIZE
Lot Size
Zoning
7,000 SF
0.38 AC
R2
Address
Land Use
TOTAL SIZE
Lot Size
Zoning
11,392 SF
0.40 AC
R1
Address
Land Use
TOTAL SIZE
Lot Size
Zoning
14,218 SF
0.55 AC
Address
Land Use
TOTAL SIZE
Lot Size
Zoning
10,652 SF
0.43 AC
R3
Address
Land Use
TOTAL SIZE
Lot Size
Zoning
12,628 SF
0.83 AC
C4
Address
Land Use
TOTAL SIZE
Lot Size
Zoning
4,949 SF
0.64 AC
R1
Address
Land Use
TOTAL SIZE
Lot Size
Zoning
4,816 SF
0.66 AC
C4
Address
Land Use
TOTAL SIZE
Lot Size
Zoning
7,630 SF
0.47 AC
C4






