Property Record
3790 Pickett Rd, Fairfax, VA 22031
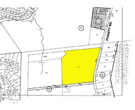
Property Detail
3790 Pickett Rd
Washington-Arlington-Alexandria, DC-VA-MD-WV
Fairfax
58-1-02-030
MATHY PROPERTY PCL 1B - 18.929 AC 9673-0995
Truckterminal
Fairfax City
X
Virginia
5155240003E
1b
2025
18.93 AC
2025
Fairfax City
300300
Washington, DC
20,673 SF
DEMOGRAPHICS near 3790 Pickett Rd
1 Mile
3 Mile
5 Mile
2024 Total Population
10,896
120,845
322,948
2029 Population
11,148
120,639
319,538
Pop Growth 2024-2029
+ 2.31%
(0.17%)
(1.06%)
Average Age
41
39
39
2024 Total Households
3,904
41,038
111,899
HH Growth 2024-2029
+ 2.72%
(0.13%)
(1.15%)
Median Household Inc
$143,494
$149,375
$142,245
Avg Household Size
2.70
2.70
2.80
2024 Avg HH Vehicles
2.00
2.00
2.00
Median Home Value
$717,520
$715,656
$702,222
Median Year Built
1969
1975
1976
Nearby Places
Map Layers
- Restaurants
- Banks
- Shops
- Fitness
- Groceries
PUBLIC TRANSPORTATION
COMMUTER RAIL
Rolling Road (Manassas Line - Virginia Railway Express)
DRIVE
WALK
Distance
Rolling Road (Manassas Line - Virginia Railway Express)
11 min
5.3 mi
Burke Centre (Manassas Line - Virginia Railway Express)
DRIVE
WALK
Distance
Burke Centre (Manassas Line - Virginia Railway Express)
13 min
6.0 mi
AIRPORT
Ronald Reagan Washington Ntl
DRIVE
WALK
Distance
Ronald Reagan Washington Ntl
27 min
14.9 mi
Washington Dulles International
DRIVE
WALK
Distance
Washington Dulles International
34 min
17.7 mi
Freight Ports
Port of Baltimore
DRIVE
WALK
Distance
Port of Baltimore
76 min
54.9 mi
Nearby Properties
Address
Land Use
TOTAL SIZE
Lot Size
Zoning
Address
Land Use
TOTAL SIZE
Lot Size
Zoning
1,434,346 SF
29.59 AC
430
Address
Land Use
TOTAL SIZE
Lot Size
Zoning
829,629 SF
21.30 AC
430
Address
Land Use
TOTAL SIZE
Lot Size
Zoning
1,464,969 SF
39.52 AC
403
Address
Land Use
TOTAL SIZE
Lot Size
Zoning
1,393,336 SF
43.08 AC
400
Address
Land Use
TOTAL SIZE
Lot Size
Zoning
538,794 SF
3.44 AC
400
Address
Land Use
TOTAL SIZE
Lot Size
Zoning
819,540 SF
8.81 AC
COMMERCIAL
Address
Land Use
TOTAL SIZE
Lot Size
Zoning
340.34 AC
110
Address
Land Use
TOTAL SIZE
Lot Size
Zoning
82,818 SF
6.16 AC
PLANNED DE
Address
Land Use
TOTAL SIZE
Lot Size
Zoning
775,934 SF
13.98 AC
312
Address
Land Use
TOTAL SIZE
Lot Size
Zoning
400,226 SF
33.12 AC
SPLIT ZONE
Address
Land Use
TOTAL SIZE
Lot Size
Zoning
382,776 SF
11.02 AC
400
Address
Land Use
TOTAL SIZE
Lot Size
Zoning
255,553 SF
25.61 AC
RESIDENTIA
Address
Land Use
TOTAL SIZE
Lot Size
Zoning
494,819 SF
68.15 AC
120
Address
Land Use
TOTAL SIZE
Lot Size
Zoning
984,982 SF
69.27 AC
300
Address
Land Use
TOTAL SIZE
Lot Size
Zoning
466,884 SF
5.70 AC
350
Address
Land Use
TOTAL SIZE
Lot Size
Zoning
300,730 SF
9.60 AC
400
Address
Land Use
TOTAL SIZE
Lot Size
Zoning
504,528 SF
20.91 AC
220
Address
Land Use
TOTAL SIZE
Lot Size
Zoning
354,464 SF
7.51 AC
400
Address
Land Use
TOTAL SIZE
Lot Size
Zoning
230,346 SF
25.18 AC
460
Address
Land Use
TOTAL SIZE
Lot Size
Zoning
779,512 SF
22.66 AC
550
Address
Land Use
TOTAL SIZE
Lot Size
Zoning
260,278 SF
5.78 AC
400
Address
Land Use
TOTAL SIZE
Lot Size
Zoning
424,763 SF
47.76 AC
SPLIT ZONE
Address
Land Use
TOTAL SIZE
Lot Size
Zoning
199,327 SF
18.64 AC
460
Address
Land Use
TOTAL SIZE
Lot Size
Zoning
500 SF
9.67 AC
180
Address
Land Use
TOTAL SIZE
Lot Size
Zoning
339,028 SF
75.81 AC
120
Address
Land Use
TOTAL SIZE
Lot Size
Zoning
443,750 SF
33.08 AC
530
Address
Land Use
TOTAL SIZE
Lot Size
Zoning
Address
Land Use
TOTAL SIZE
Lot Size
Zoning
169,353 SF
2.41 AC
497
Address
Land Use
TOTAL SIZE
Lot Size
Zoning
414,162 SF
97.56 AC
110
Address
Land Use
TOTAL SIZE
Lot Size
Zoning
353,340 SF
7.89 AC
400





