Property Record
3809 Loop 150 E, Bastrop, TX 78602
Property Detail
3809 Loop 150 E
Austin-Round Rock-San Marcos, TX
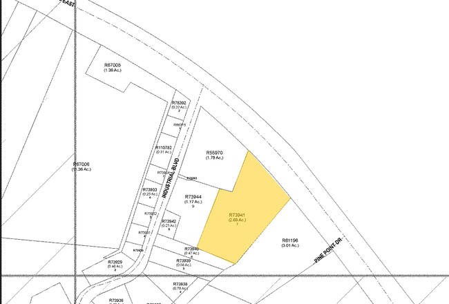
INDUSTRIAL PARK SUBDIVISION, BLOCK B, LOT 7
73941
BASTROP
Commercialnec
Texas
B and X Area of moderate flood hazard, usually the area between the limits of the 100-year and 500-year floods.
7
2024
2.58 AC
2025
Bastrop County
950401
Austin
17,340 SF
NEARBY LISTINGS FOR SALE OR LEASE
-
-
View all Bastrop listings for sale on LoopNet.com
DEMOGRAPHICS near 3809 Loop 150 E
1 mile
3 mile
5 mile
2025 Total Population
1,735
16,148
29,700
2030 Population
1,992
18,659
34,127
Pop Growth 2025-2030
+ 14.81%
+ 15.55%
+ 14.91%
Average Age
41
41
40
2025 Total Households
728
6,386
10,968
HH Growth 2025-2030
+ 15.25%
+ 16.07%
+ 15.56%
Median Household Inc
$82,473
$79,365
$80,854
Avg Household Size
2.40
2.40
2.50
2025 Avg HH Vehicles
2.00
2.00
2.00
Median Home Value
$350,322
$360,049
$345,812
Median Year Built
2002
2004
2004
Nearby Places
Map Layers
Listings with unknown addresses are not visible on the map
- Restaurants
- Banks
- Shops
- Fitness
- Groceries
PUBLIC TRANSPORTATION
AIRPORT
Austin-Bergstrom International
Drive
Walk
Distance
Austin-Bergstrom International
42 min
28.8 mi
Nearby Properties
Address
Land Use
TOTAL SIZE
Lot Size
Zoning
Address
Land Use
TOTAL SIZE
Lot Size
Zoning
Address
Land Use
TOTAL SIZE
Lot Size
Zoning
Address
Land Use
TOTAL SIZE
Lot Size
Zoning
19,029 SF
2,222.60 AC
Address
Land Use
TOTAL SIZE
Lot Size
Zoning
25.59 AC
Address
Land Use
TOTAL SIZE
Lot Size
Zoning
140,496 SF
8.05 AC
Address
Land Use
TOTAL SIZE
Lot Size
Zoning
140,878 SF
8.31 AC
Address
Land Use
TOTAL SIZE
Lot Size
Zoning
180,568 SF
23.98 AC
Address
Land Use
TOTAL SIZE
Lot Size
Zoning
105,020 SF
13.43 AC
Address
Land Use
TOTAL SIZE
Lot Size
Zoning
65,206 SF
2.55 AC
Address
Land Use
TOTAL SIZE
Lot Size
Zoning
169,350 SF
25.30 AC
Address
Land Use
TOTAL SIZE
Lot Size
Zoning
121,305 SF
16.06 AC
Address
Land Use
TOTAL SIZE
Lot Size
Zoning
59,941 SF
4.57 AC
Address
Land Use
TOTAL SIZE
Lot Size
Zoning
173,350 SF
10.58 AC
Address
Land Use
TOTAL SIZE
Lot Size
Zoning
Address
Land Use
TOTAL SIZE
Lot Size
Zoning
Address
Land Use
TOTAL SIZE
Lot Size
Zoning
133,292 SF
2.67 AC
Address
Land Use
TOTAL SIZE
Lot Size
Zoning
69,508 SF
4.10 AC
Address
Land Use
TOTAL SIZE
Lot Size
Zoning
67,979 SF
4.08 AC
Address
Land Use
TOTAL SIZE
Lot Size
Zoning
47,126 SF
3.33 AC
Address
Land Use
TOTAL SIZE
Lot Size
Zoning
62,734 SF
2.55 AC
Address
Land Use
TOTAL SIZE
Lot Size
Zoning
27,936 SF
5 AC
Address
Land Use
TOTAL SIZE
Lot Size
Zoning
53,318 SF
5.36 AC
Address
Land Use
TOTAL SIZE
Lot Size
Zoning
44,692 SF
2.75 AC
Address
Land Use
TOTAL SIZE
Lot Size
Zoning
17,869 SF
7.71 AC
Address
Land Use
TOTAL SIZE
Lot Size
Zoning
21,610 SF
281.75 AC
Address
Land Use
TOTAL SIZE
Lot Size
Zoning
33,628 SF
3.74 AC
Address
Land Use
TOTAL SIZE
Lot Size
Zoning
28,022 SF
9.19 AC
Address
Land Use
TOTAL SIZE
Lot Size
Zoning
59,561 SF
4.57 AC
Address
Land Use
TOTAL SIZE
Lot Size
Zoning
1,680 SF
43.63 AC
Address
Land Use
TOTAL SIZE
Lot Size
Zoning
31,002 SF
1.56 AC






