Property Record
3959 Highway 101, Florence, OR 97439
Property Detail
3959 Highway 101
Eugene-Springfield, OR
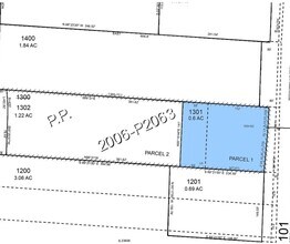
PARTITION PLAT 2006-P2063 PCL 1 TL 01301
1789831
LANE
Commercialbuilding
Oregon
H
1301
B and X Area of moderate flood hazard, usually the area between the limits of the 100-year and 500-year floods.
0.60 AC
2025
Lane County
2025
Portland
000706
NEARBY LISTINGS FOR SALE OR LEASE
DEMOGRAPHICS near 3959 Highway 101
1 mile
3 mile
5 mile
2025 Total Population
3,979
13,038
15,661
2030 Population
4,004
13,234
15,932
Pop Growth 2025-2030
+ 0.63%
+ 1.50%
+ 1.73%
Average Age
57
55
54
2025 Total Households
1,991
6,413
7,600
HH Growth 2025-2030
+ 0.55%
+ 1.53%
+ 1.76%
Median Household Inc
$62,032
$59,352
$60,759
Avg Household Size
2.00
2.00
2.00
2025 Avg HH Vehicles
2.00
2.00
2.00
Median Home Value
$394,754
$384,578
$397,258
Median Year Built
1994
1991
1990
Nearby Places
Map Layers
Listings with unknown addresses are not visible on the map
- Restaurants
- Banks
- Shops
- Fitness
- Groceries
SALE & LEASE HISTORY
LISTING DATE
SALE/LEASE
Nearby Properties
Address
Land Use
TOTAL SIZE
Lot Size
Zoning
Address
Land Use
TOTAL SIZE
Lot Size
Zoning
87.30 AC
M-F
Address
Land Use
TOTAL SIZE
Lot Size
Zoning
0.46 AC
R
Address
Land Use
TOTAL SIZE
Lot Size
Zoning
10.54 AC
NC
Address
Land Use
TOTAL SIZE
Lot Size
Zoning
2.66 AC
POI
Address
Land Use
TOTAL SIZE
Lot Size
Zoning
2.46 AC
H
Address
Land Use
TOTAL SIZE
Lot Size
Zoning
104.62 AC
F2
Address
Land Use
TOTAL SIZE
Lot Size
Zoning
2.61 AC
POI
Address
Land Use
TOTAL SIZE
Lot Size
Zoning
3.71 AC
MAA
Address
Land Use
TOTAL SIZE
Lot Size
Zoning
46.11 AC
C
Address
Land Use
TOTAL SIZE
Lot Size
Zoning
5.27 AC
R
Address
Land Use
TOTAL SIZE
Lot Size
Zoning
1.96 AC
POI
Address
Land Use
TOTAL SIZE
Lot Size
Zoning
4.12 AC
MAA
Address
Land Use
TOTAL SIZE
Lot Size
Zoning
9.07 AC
M-F
Address
Land Use
TOTAL SIZE
Lot Size
Zoning
1.47 AC
H
Address
Land Use
TOTAL SIZE
Lot Size
Zoning
2.45 AC
POI
Address
Land Use
TOTAL SIZE
Lot Size
Zoning
80 AC
CV
Address
Land Use
TOTAL SIZE
Lot Size
Zoning
2.75 AC
M-F
Address
Land Use
TOTAL SIZE
Lot Size
Zoning
1.77 AC
C
Address
Land Use
TOTAL SIZE
Lot Size
Zoning
49.68 AC
M
Address
Land Use
TOTAL SIZE
Lot Size
Zoning
1.17 AC
H
Address
Land Use
TOTAL SIZE
Lot Size
Zoning
142.14 AC
M-F
Address
Land Use
TOTAL SIZE
Lot Size
Zoning
1.20 AC
OTAA
Address
Land Use
TOTAL SIZE
Lot Size
Zoning
1.55 AC
M-F
Address
Land Use
TOTAL SIZE
Lot Size
Zoning
0.36 AC
POI
Address
Land Use
TOTAL SIZE
Lot Size
Zoning
3.24 AC
H
Address
Land Use
TOTAL SIZE
Lot Size
Zoning
26.49 AC
Address
Land Use
TOTAL SIZE
Lot Size
Zoning
4.54 AC
H
Address
Land Use
TOTAL SIZE
Lot Size
Zoning
0.66 AC
R
Address
Land Use
TOTAL SIZE
Lot Size
Zoning
1.33 AC
MAA
Address
Land Use
TOTAL SIZE
Lot Size
Zoning
0.98 AC
RC








