Property Record
4 Concord Dr, Williamstown, NJ 08094
Property Detail
4 Concord Dr
Philadelphia-Camden-Wilmington, PA-NJ-DE-MD
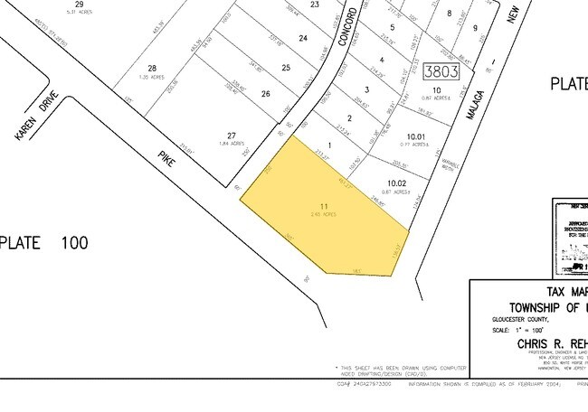
INCL BLK 3803 LOTS 11 & 12
11-03803-0000-00012
Gloucester
Religious
New Jersey
RGPR
12
B and X Area of moderate flood hazard, usually the area between the limits of the 100-year and 500-year floods.
2.65 AC
0
Gloucester County
2025
Philadelphia
501605
NEARBY LISTINGS FOR SALE OR LEASE
DEMOGRAPHICS near 4 Concord Dr
1 mile
3 mile
5 mile
2025 Total Population
4,879
26,481
63,751
2030 Population
5,019
27,284
65,587
Pop Growth 2025-2030
+ 2.87%
+ 3.03%
+ 2.88%
Average Age
40
41
41
2025 Total Households
1,677
9,570
23,376
HH Growth 2025-2030
+ 3.04%
+ 3.09%
+ 2.94%
Median Household Inc
$125,423
$100,162
$89,287
Avg Household Size
2.90
2.70
2.70
2025 Avg HH Vehicles
2.00
2.00
2.00
Median Home Value
$295,253
$277,529
$288,912
Median Year Built
1987
1978
1983
Nearby Places
Map Layers
Listings with unknown addresses are not visible on the map
- Restaurants
- Banks
- Shops
- Fitness
- Groceries
PUBLIC TRANSPORTATION
AIRPORT
Philadelphia International
Drive
Walk
Distance
Philadelphia International
46 min
29.7 mi
Atlantic City International
Drive
Walk
Distance
Atlantic City International
60 min
32.1 mi
Freight Ports
Broadway Terminal - Pier 5
Drive
Walk
Distance
Broadway Terminal - Pier 5
30 min
21.2 mi
SALE & LEASE HISTORY
LISTING DATE
SALE/LEASE
Nearby Properties
Address
Land Use
TOTAL SIZE
Lot Size
Zoning
Address
Land Use
TOTAL SIZE
Lot Size
Zoning
46.45 AC
RGMR
Address
Land Use
TOTAL SIZE
Lot Size
Zoning
74.69 AC
RGMR
Address
Land Use
TOTAL SIZE
Lot Size
Zoning
25.89 AC
RGPR
Address
Land Use
TOTAL SIZE
Lot Size
Zoning
19.53 AC
R2
Address
Land Use
TOTAL SIZE
Lot Size
Zoning
1 SF
19.71 AC
CC
Address
Land Use
TOTAL SIZE
Lot Size
Zoning
9.76 AC
R2
Address
Land Use
TOTAL SIZE
Lot Size
Zoning
29.50 AC
FD10
Address
Land Use
TOTAL SIZE
Lot Size
Zoning
7.69 AC
RG30
Address
Land Use
TOTAL SIZE
Lot Size
Zoning
10.98 AC
RGPR
Address
Land Use
TOTAL SIZE
Lot Size
Zoning
11.46 AC
RGPR
Address
Land Use
TOTAL SIZE
Lot Size
Zoning
2.80 AC
RG30
Address
Land Use
TOTAL SIZE
Lot Size
Zoning
0.92 AC
RGTC
Address
Land Use
TOTAL SIZE
Lot Size
Zoning
4.06 AC
RG40
Address
Land Use
TOTAL SIZE
Lot Size
Zoning
Address
Land Use
TOTAL SIZE
Lot Size
Zoning
5.30 AC
RGPR
Address
Land Use
TOTAL SIZE
Lot Size
Zoning
13.48 AC
RGPR
Address
Land Use
TOTAL SIZE
Lot Size
Zoning
2.13 AC
RGTC
Address
Land Use
TOTAL SIZE
Lot Size
Zoning
Address
Land Use
TOTAL SIZE
Lot Size
Zoning
10.62 AC
FD10
Address
Land Use
TOTAL SIZE
Lot Size
Zoning
7.51 AC
RGPR
Address
Land Use
TOTAL SIZE
Lot Size
Zoning
720.84 AC
PRC
Address
Land Use
TOTAL SIZE
Lot Size
Zoning
6.85 AC
R2
Address
Land Use
TOTAL SIZE
Lot Size
Zoning
9,981 SF
2.11 AC
CC
Address
Land Use
TOTAL SIZE
Lot Size
Zoning
2.45 AC
CC
Address
Land Use
TOTAL SIZE
Lot Size
Zoning
28.53 AC
RGNC
Address
Land Use
TOTAL SIZE
Lot Size
Zoning
2.30 AC
RG40
Address
Land Use
TOTAL SIZE
Lot Size
Zoning
6.97 AC
CC
Address
Land Use
TOTAL SIZE
Lot Size
Zoning
4,883 SF
14.40 AC
AG
Address
Land Use
TOTAL SIZE
Lot Size
Zoning
4.59 AC
CC
Address
Land Use
TOTAL SIZE
Lot Size
Zoning
5,794 SF
1.89 AC







